Login
Benvenuto Ospite
Forum Entomologi Italiani
www.entomologiitaliani.net/forum
HOME
COMUNICAZIONI
SEZIONE GENERALE
SEZIONE SISTEMATICA
SEZIONE AMBIENTI
SEZIONE BIBLIOGRAFICA
Filtro località
Checklist
Cerca
FAQ
Nome utente:
Password:
Messaggi senza risposta
|
Argomenti attivi
Oggi è 22/10/2025, 9:40
Indice
»
Checklist
»
Oedemeridae
Tutti gli orari sono UTC + 1 ora [
ora legale
]
Oedemeridae
Oedemeridae della Fauna d'Italia (estratto da Fauna Europaea - http://www.faunaeur.org, Version 1.0 — 27 September 2004)
Database
subfamily:
Calopodinae
tribe:
Calopodini
subfamily:
Nacerdinae
subfamily:
Oedemerinae
tribe:
Calopodini
Calopus
serraticornis
(Linnaeus, 1758)
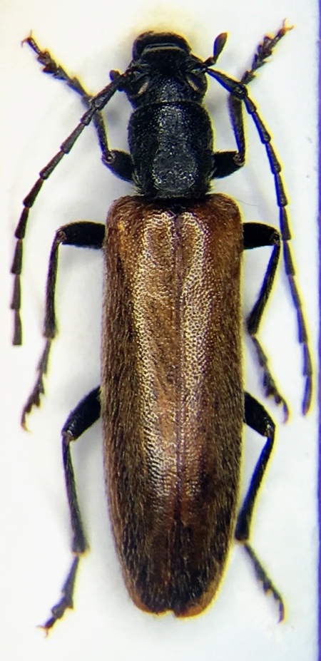
Calopus
serraticornis
(Linnaeus, 1758)
Sparedrus
orsinii
A.Costa, 1852
Sparedrus
orsinii
A.Costa, 1852
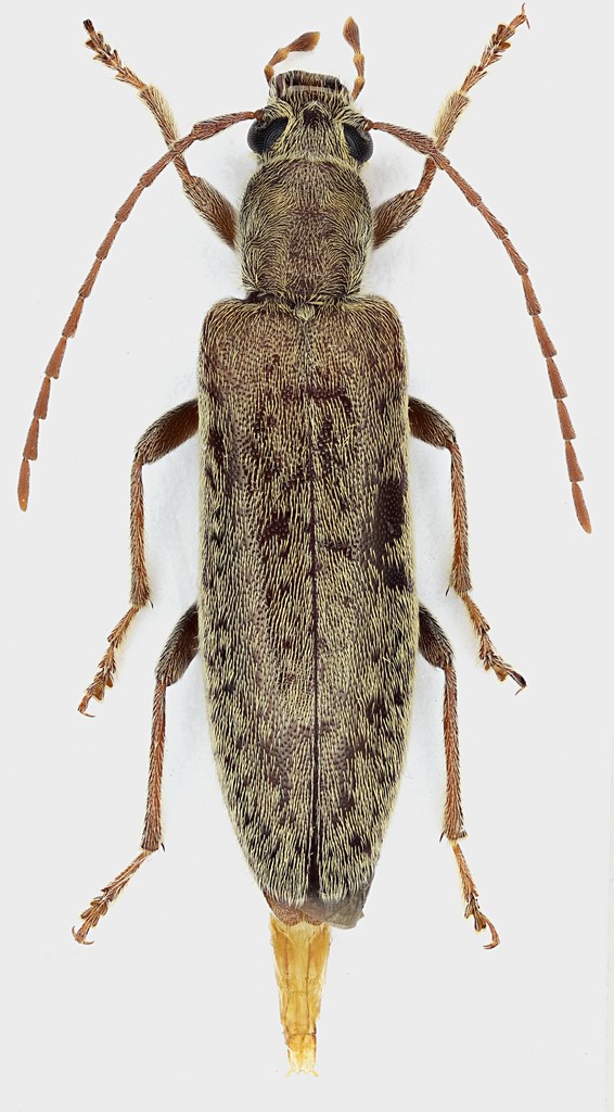
Sparedrus
testaceus
(Andersch in Hope, 1797)
Sparedrus
testaceus
(Andersch in Hope, 1797)
Permessi
Non puoi
inserire dati
Non puoi
modificare dati
Non puoi
eliminare dati
Messaggi senza risposta
|
Argomenti attivi