Benvenuto Ospite

Forum Entomologi Italiani

www.entomologiitaliani.net/forum
 
Oggi è 04/11/2025, 3:20

Tutti gli orari sono UTC + 1 ora [ ora legale ]

Filtro località

Filtro località

In questo pannello è possibile effettuare delle ricerche mirate in base alle località inserite nel forum.

Statistiche

Statistiche
In totale ci sono 89578 taxa:
- 85674 taxa con dati completi
- 2727 taxa con dati parziali, riconducibili ad un paese
- 1177 taxa con dati incompleti


escludi dalla ricerca i subforum
Distribuzione in Europa
Distribuzione in Italia
Filtro applicato: ITALIA - Lazio

Pagina 1 di 7 [ 98 messaggi ]

# A B C D E F G H I J K L M N O P Q R S T U V W X Y Z
 Argomenti   Autore   Risposte   Visite    Ultimo messaggio 
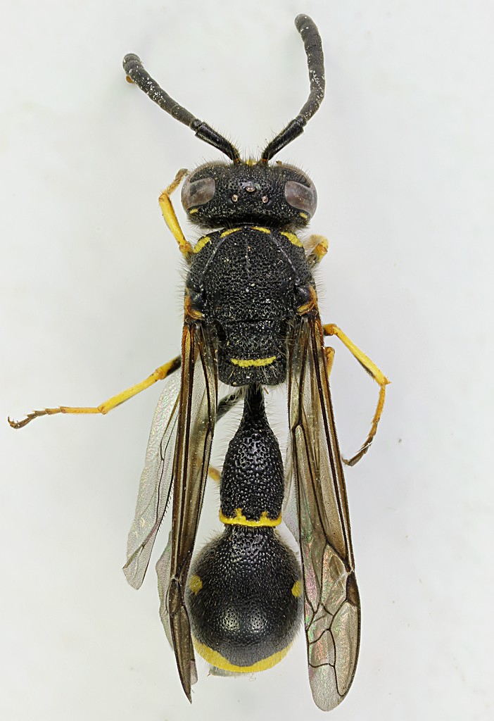
Alastor (Alastor) atropos Lepeletier, 1841 - Vespidae
26.VII.2015 - ITALIA - Lazio - RM, Nemi
Allegato(i) Dettagli della specie
Alastor (Alastor) atropos Lepeletier, 1841 - Vespidae cf.

in Vespidae


Dati di raccolta: 26.VII.2015 - ITALIA - Lazio - RM, Nemi

giuseppe55

2

1081

02/08/2015, 18:18

giuseppe55 Vedi ultimo messaggio

Allodynerus delphinalis delphinalis (Giraud, 1866) - Vespidae
16.VII.2017 - ITALIA - Lazio - RM, Nemi
Allegato(i) Dettagli della specie
Allodynerus delphinalis delphinalis (Giraud, 1866) - Vespidae

in Vespidae


Dati di raccolta: 16.VII.2017 - ITALIA - Lazio - RM, Nemi

giuseppe55

2

1311

20/08/2017, 19:07

giuseppe55 Vedi ultimo messaggio

Ancistrocerus gazella (Panzer, 1798) - Vespidae
16.IX.2012 - ITALIA - Lazio - RM, Anzio
Allegato(i) Dettagli della specie
Ancistrocerus gazella (Panzer, 1798) - Vespidae cf.

in Vespidae


Dati di raccolta: 16.IX.2012 - ITALIA - Lazio - RM, Anzio

soken

4

1580

23/06/2013, 11:04

soken Vedi ultimo messaggio

Ancistrocerus gazella (Panzer, 1798) - Vespidae
16.IX.2013 - ITALIA - Lazio - VT, Viterbo
Allegato(i) Dettagli della specie
Ancistrocerus gazella (Panzer, 1798) - Vespidae

in Vespidae


Dati di raccolta: 16.IX.2013 - ITALIA - Lazio - VT, Viterbo

Andricus

0

889

19/10/2013, 16:51

Andricus Vedi ultimo messaggio

Ancistrocerus gazella/longispinosus? - Vespidae Eumeninae
2.VIII.2015 - ITALIA - Lazio - RM, Nemi
Allegato(i)
Ancistrocerus gazella/longispinosus? - Vespidae Eumeninae

in Vespidae


Dati di raccolta: 2.VIII.2015 - ITALIA - Lazio - RM, Nemi

giuseppe55

10

2246

12/08/2015, 18:41

giuseppe55 Vedi ultimo messaggio

Ancistrocerus nigricornis (Curtis, 1826) - Vespidae
20.VI.2012 - ITALIA - Lazio - VT, Bomarzo, ex pupa(6-VI-2012)
Allegato(i) Dettagli della specie
Ancistrocerus nigricornis (Curtis, 1826) - Vespidae

in Vespidae


Dati di raccolta: 20.VI.2012 - ITALIA - Lazio - VT, Bomarzo, ex pupa(6-VI-2012)

Andricus

0

831

03/03/2013, 23:35

Andricus Vedi ultimo messaggio

Ancistrocerus sp.
20.V.2018 - ITALIA - Lazio - RM, Parco
Allegato(i)
Ancistrocerus sp.

in Vespidae indeterminati


Dati di raccolta: 20.V.2018 - ITALIA - Lazio - RM, Parco

walter

4

1609

07/06/2018, 16:57

walter Vedi ultimo messaggio

Ancistrocerus sp. - Vespidae
6.VIII.2010 - ITALIA - Lazio - RM, Anzio, da stecche in legno
Allegato(i)
Ancistrocerus sp. - Vespidae

in Vespidae indeterminati


Dati di raccolta: 6.VIII.2010 - ITALIA - Lazio - RM, Anzio, da stecche in legno

soken

7

1463

08/12/2012, 16:58

soken Vedi ultimo messaggio

Antepipona deflenda (S. S. Saunders, 1853) - Vespidae
11.X.2015 - ITALIA - Lazio - RM, Torrimpietra
Allegato(i) Dettagli della specie
Antepipona deflenda (S. S. Saunders, 1853) - Vespidae

in Vespidae


Dati di raccolta: 11.X.2015 - ITALIA - Lazio - RM, Torrimpietra

giuseppe55

4

1092

15/10/2015, 18:13

giuseppe55 Vedi ultimo messaggio

Celonites (Celonites) abbreviatus (Villers, 1789) - Vespidae
8.VIII.2019 - ITALIA - Lazio - RM, Roma Caffarella
Allegato(i) Dettagli della specie
Celonites (Celonites) abbreviatus (Villers, 1789) - Vespidae

in Vespidae


Dati di raccolta: 8.VIII.2019 - ITALIA - Lazio - RM, Roma Caffarella

giuseppe55

0

890

08/08/2019, 18:53

giuseppe55 Vedi ultimo messaggio

Delta unguiculatum unguiculatum (Villers, 1789) - Vespidae
25.VIII.2010 - ITALIA - Lazio - FR, Serrone, m.650, alla luce nera
Allegato(i) Dettagli della specie
Delta unguiculatum unguiculatum (Villers, 1789) - Vespidae

in Vespidae


Dati di raccolta: 25.VIII.2010 - ITALIA - Lazio - FR, Serrone, m.650, alla luce nera

Julodis

7

2398

11/10/2010, 19:02

Pippistrello Vedi ultimo messaggio

Delta unguiculatum unguiculatum (Villers, 1789) - Vespidae
22.VIII.2013 - ITALIA - Lazio - VT, Gradoli, Lago di Bolsena
Allegato(i) Dettagli della specie
Delta unguiculatum unguiculatum (Villers, 1789) - Vespidae

in Vespidae


Dati di raccolta: 22.VIII.2013 - ITALIA - Lazio - VT, Gradoli, Lago di Bolsena

Andricus

0

664

25/08/2013, 17:53

Andricus Vedi ultimo messaggio

Delta unguiculatum unguiculatum (Villers, 1789) - Vespidae
27.VI.2014 - ITALIA - Lazio - VT, Valle dell'Arcionello
Allegato(i) Dettagli della specie
Delta unguiculatum unguiculatum (Villers, 1789) - Vespidae

in Vespidae


Dati di raccolta: 27.VI.2014 - ITALIA - Lazio - VT, Valle dell'Arcionello

Andricus

5

2132

01/07/2014, 21:21

Daniele Maccapani Vedi ultimo messaggio

Dolichovespula media (Retzius, 1783) - Vespidae
19.VII.2020 - ITALIA - Lazio - RM, Rocca Priora
Allegato(i) Dettagli della specie
Dolichovespula media (Retzius, 1783) - Vespidae

in Vespidae


Dati di raccolta: 19.VII.2020 - ITALIA - Lazio - RM, Rocca Priora

giuseppe55

2

496

21/07/2020, 19:42

giuseppe55 Vedi ultimo messaggio

Eumenes (Eumenes) coronatus coronatus (Panzer, 1799) - Vespidae
30.VIII.2011 - ITALIA - Lazio - RM, Cervara di Roma, 1000 m
Allegato(i) Dettagli della specie
Eumenes (Eumenes) coronatus coronatus (Panzer, 1799) - Vespidae

in Vespidae


Dati di raccolta: 30.VIII.2011 - ITALIA - Lazio - RM, Cervara di Roma, 1000 m

Julodis

5

1081

25/01/2016, 14:22

Andricus Vedi ultimo messaggio



Inserisci un link per questa ricerca

Inserisci un link per questa ricerca URL
BBCode
HTML
Vai a: