| Argomenti | Autore | Risposte | Visite | Ultimo messaggio | 
		
			
				|   | Ammophila sabulosa (Linnaeus, 1758) - Sphecidae  [ Vai alla pagina: 1, 2 ]  in Sphecidae 
 
						Dati di raccolta: 10.VII.2017 - ITALIA - Sardegna - NU, Seui - Pranu Nanì
					 | Adriana49 | 15 | 1511 | 12/05/2021, 21:39 Chalybion
						  | 
		
			
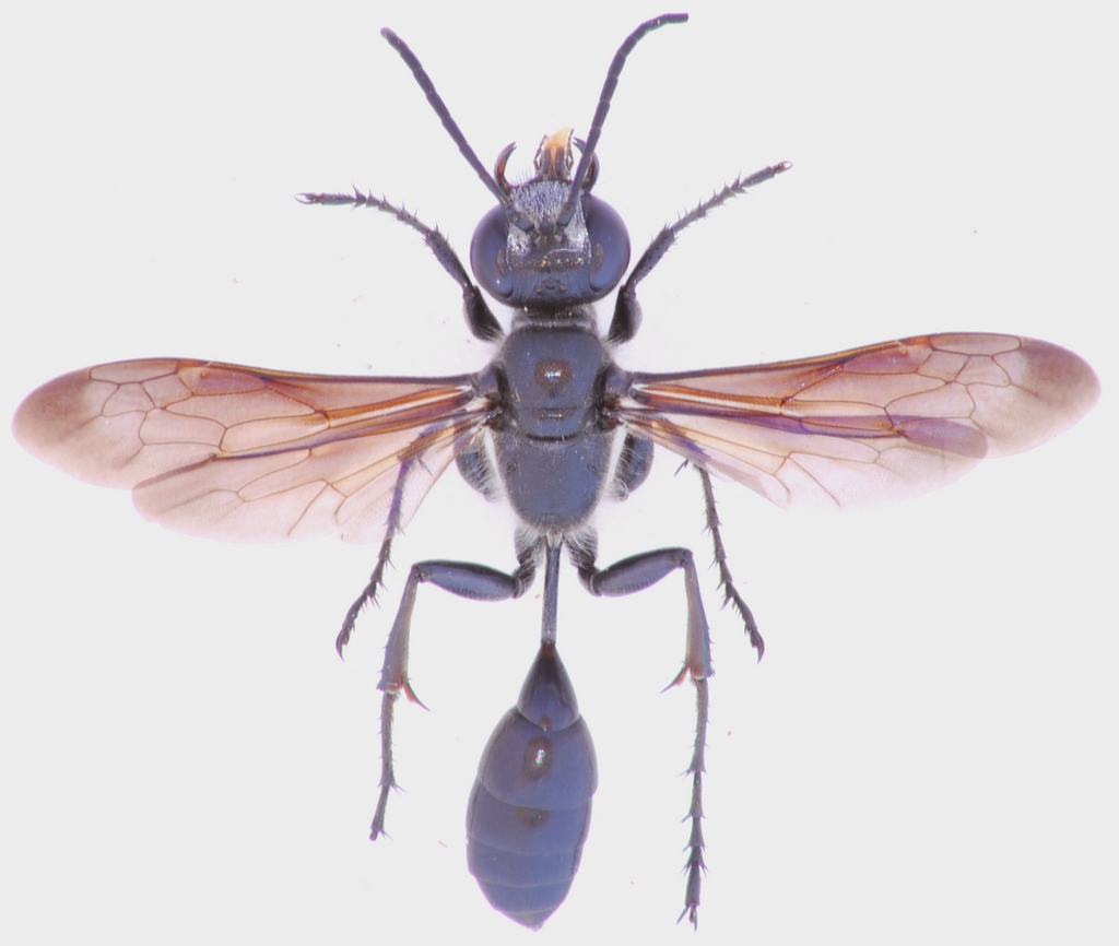
				|   | Ammophila sp. - Sphecidae in Sphecidae 
 
						Dati di raccolta: 1.IX.2013 - ITALIA - Sardegna - OT, Monte Limbara Tempio
					 | Mauro | 2 | 818 | 10/09/2013, 12:40 Mauro
						  | 
		
			
				|   
						Chalybion omissum?
						
						
							9.VIII.2010 - ITALIA - Sardegna - OT, Porto Liscia (Santa Teresa Gallura)
						 | Chalybion omissum? in Sphecidae indeterminati 
 
						Dati di raccolta: 9.VIII.2010 - ITALIA - Sardegna - OT, Porto Liscia (Santa Teresa Gallura)
					 | elleelle | 4 | 1395 | 30/08/2011, 16:07 mauriziomei
						  | 
		
			
				|   | Chalybion sp. - Sphecidae in Sphecidae indeterminati 
 
						Dati di raccolta: 26.VIII.2023 - ITALIA - Sardegna - CI, Nuxis
					 | Roberto-07 | 4 | 574 | 27/10/2023, 20:08 Roberto-07
						  | 
		
			
				|   | Isodontia mexicana (Saussure, 1867) - Sphecidae in Sphecidae 
 
						Dati di raccolta: 11.VIII.2014 - ITALIA - Sardegna - CA, Sinnai, loc. Bau Arrexini, leg. R. Rattu
					 | Fumea crassiorella | 11 | 2787 | 17/08/2014, 13:04 Fumea crassiorella
						  | 
		
			
				|   | Isodontia mexicana (Saussure, 1867) - Sphecidae in Sphecidae 
 
						Dati di raccolta: 2.VIII.2015 - ITALIA - Sardegna - OT, Bortigiadas
					 | Mauro | 2 | 695 | 16/10/2016, 21:53 Mauro
						  | 
		
			
				|   | Palmodes occitanicus (Lepeletier & Serville, 1828) ♂ - Sphecidae in Sphecidae 
 
						Dati di raccolta: 8.VII.2012 - ITALIA - Sardegna - SS, Villanova Monteleone
					 | Pietro Niolu | 1 | 385 | 27/02/2013, 19:09 mauriziomei
						  | 
		
			
				|   | Palmodes sp. - Sphecidae. Sardegna in Sphecidae 
 
						Dati di raccolta: 10.VIII.2010 - ITALIA - Sardegna - OT, M.te Limbara
					 | Mauro | 4 | 631 | 30/08/2010, 9:20 mauriziomei
						  | 
		
			
				|   | Podalonia hirsuta mervensis (Radoszkowski, 1887) ♂ ♀ - Sphecidae - Sardegna in Sphecidae 
 
						Dati di raccolta: 28.VI.2009 - ITALIA - Sardegna - NU, Siniscola, M.te Albo
					 | Pietro Niolu | 4 | 1403 | 31/01/2010, 17:37 mauriziomei
						  | 
		
			
				|   | Podalonia tydei (Le Guillou, 1841) (cf.) - Sphecidae in Sphecidae 
 
						Dati di raccolta: 4.VI.2016 - ITALIA - Sardegna - OT, Monte Limbara - Tempio Pausania
					 | Mauro | 4 | 1111 | 02/11/2016, 11:21 Mauro
						  | 
		
			
				|   | Prionyx kirbii (Vander Linden, 1827) - Sphecidae in Sphecidae 
 
						Dati di raccolta: 28.VI.2013 - ITALIA - Sardegna - OT, Olbia - Capo Ceraso
					 | Mauro | 2 | 590 | 16/07/2013, 10:06 Mauro
						  | 
		
			
				|   | Prionyx kirbii (Vander Linden, 1827) - Sphecidae in Sphecidae 
 
						Dati di raccolta: 26.VI.2023 - ITALIA - Sardegna - SS, La Maddalena
					 | micromondo1966 | 4 | 515 | 27/06/2023, 6:41 micromondo1966
						  | 
		
			
				|   | Prionyx lividocinctus (A. Costa, 1858) - Sphecidae in Sphecidae 
 
						Dati di raccolta: 17.VI.2019 - ITALIA - Sardegna - OT, Santa Teresa Gallura
					 | elleelle | 1 | 786 | 21/06/2019, 17:05 Pietro Niolu
						  | 
		
			
				|   | Prionyx lividocinctus (A. Costa, 1858) cf. - Sphecidae - Sardegna in Sphecidae 
 
						Dati di raccolta: 12.IX.2010 - ITALIA - Sardegna - NU, Posada
					 | Mauro | 8 | 1277 | 07/10/2010, 16:37 Mauro
						  | 
		
			
				|   | Prionyx subfuscatus (Dahlbom, 1845) ♀ - Sphecidae in Sphecidae 
 
						Dati di raccolta: 15.IX.2008 - ITALIA - Sardegna - OT, Porto San Paolo
					 | Mauro | 5 | 843 | 27/08/2011, 10:58 elleelle
						  |