Benvenuto Ospite

Forum Entomologi Italiani

www.entomologiitaliani.net/forum
 
Oggi è 31/10/2025, 18:00

Tutti gli orari sono UTC + 1 ora [ ora legale ]

Filtro località

Filtro località

In questo pannello è possibile effettuare delle ricerche mirate in base alle località inserite nel forum.

Statistiche

Statistiche
In totale ci sono 89567 taxa:
- 85665 taxa con dati completi
- 2726 taxa con dati parziali, riconducibili ad un paese
- 1176 taxa con dati incompleti


escludi dalla ricerca i subforum
Distribuzione in Europa
Distribuzione in Italia
Filtro applicato: ITALIA - Toscana

Pagina 1 di 1 [ 8 messaggi ]

# A B C D E F G H I J K L M N O P Q R S T U V W X Y Z
 Argomenti   Autore   Risposte   Visite    Ultimo messaggio 
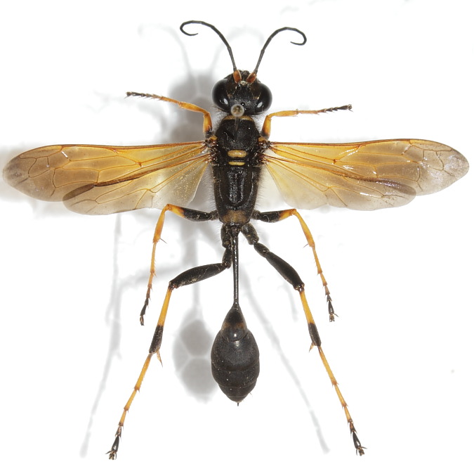
Ammophila heydeni Dahlbom, 1845 - Sphecidae
25.VIII.2018 - ITALIA - Toscana - FI, Il Casale
Allegato(i)
Ammophila heydeni Dahlbom, 1845 - Sphecidae

in Sphecidae


Dati di raccolta: 25.VIII.2018 - ITALIA - Toscana - FI, Il Casale

Arfem

2

1016

28/08/2018, 22:43

Arfem Vedi ultimo messaggio

Ammophila sabulosa (Linnaeus 1758) - Sphecidae - Toscana, Isola d'Elba
24.VII.2010 - ITALIA - Toscana - LI, Portoferraio
Allegato(i)
Ammophila sabulosa (Linnaeus 1758) - Sphecidae - Toscana, Isola d'Elba

in Sphecidae


Dati di raccolta: 24.VII.2010 - ITALIA - Toscana - LI, Portoferraio

FORBIX

2

762

29/07/2010, 10:10

FORBIX Vedi ultimo messaggio

Sceliphron (Hensenia) curvatum, F. Smith, 1870 - Sphecidae Sceliphrinae Sceliphrini
29.VIII.2020 - ITALIA - Toscana - LU, San Lorenzo a Vaccoli
Allegato(i)
Sceliphron (Hensenia) curvatum, F. Smith, 1870 - Sphecidae Sceliphrinae Sceliphrini

in Sphecidae


Dati di raccolta: 29.VIII.2020 - ITALIA - Toscana - LU, San Lorenzo a Vaccoli

Cible

2

439

20/05/2021, 0:02

Cible Vedi ultimo messaggio

Sceliphron caementarium (Drury, 1770) - Sphecidae
5.VII.2011 - ITALIA - Toscana - LI, Livorno
Allegato(i)
Sceliphron caementarium (Drury, 1770) - Sphecidae

in Sphecidae


Dati di raccolta: 5.VII.2011 - ITALIA - Toscana - LI, Livorno

Lucarelli

4

1022

07/07/2011, 9:33

Lucarelli Vedi ultimo messaggio

Sceliphron caementarium (Drury, 1770) - Sphecidae - Toscana, Isola d'Elba
23.VI.2010 - ITALIA - Toscana - LI, Capoliveri
Allegato(i)
Sceliphron caementarium (Drury, 1770) - Sphecidae - Toscana, Isola d'Elba

in Sphecidae


Dati di raccolta: 23.VI.2010 - ITALIA - Toscana - LI, Capoliveri

FORBIX

4

1014

01/07/2010, 11:32

Pietro Niolu Vedi ultimo messaggio

Sceliphron curvatum (F. Smith, 1870) - Sphecidae - Nido
26.VI.2011 - ITALIA - Toscana - SI, Monteguidi
Allegato(i)
Sceliphron curvatum (F. Smith, 1870) - Sphecidae - Nido

in Sphecidae


Dati di raccolta: 26.VI.2011 - ITALIA - Toscana - SI, Monteguidi

Carlo Monari

6

963

29/06/2011, 20:37

Carlo Monari Vedi ultimo messaggio

Sphex flavipennis Fabricius, 1793 (cf.) - Sphecidae
12.VIII.2012 - ITALIA - Toscana - PO, Vernio
Allegato(i)
Sphex flavipennis Fabricius, 1793 (cf.) - Sphecidae

in Sphecidae


Dati di raccolta: 12.VIII.2012 - ITALIA - Toscana - PO, Vernio

ssmacrophoto

6

831

15/08/2012, 21:40

ssmacrophoto Vedi ultimo messaggio

Sphex funerarius Gussakovskij, 1934 (cfr.) - Sphecidae
23.VI.2015 - ITALIA - Toscana - PI, Agnano
Allegato(i)
Sphex funerarius Gussakovskij, 1934 (cfr.) - Sphecidae

in Sphecidae


Dati di raccolta: 23.VI.2015 - ITALIA - Toscana - PI, Agnano

wgliinsetti

1

703

22/07/2016, 9:44

mauriziomei Vedi ultimo messaggio


Inserisci un link per questa ricerca

Inserisci un link per questa ricerca URL
BBCode
HTML
Vai a: