Benvenuto Ospite

Forum Entomologi Italiani

www.entomologiitaliani.net/forum
 
Oggi è 08/10/2025, 5:55

Tutti gli orari sono UTC + 1 ora [ ora legale ]

Filtro località

Filtro località

In questo pannello è possibile effettuare delle ricerche mirate in base alle località inserite nel forum.

Statistiche

Statistiche
In totale ci sono 89474 taxa:
- 85577 taxa con dati completi
- 2722 taxa con dati parziali, riconducibili ad un paese
- 1175 taxa con dati incompleti


escludi dalla ricerca i subforum
Distribuzione in Europa
Distribuzione in Italia
Filtro applicato: ITALIA - Sardegna

Pagina 1 di 9 [ 131 messaggi ]

# A B C D E F G H I J K L M N O P Q R S T U V W X Y Z
 Argomenti   Autore   Risposte   Visite    Ultimo messaggio 
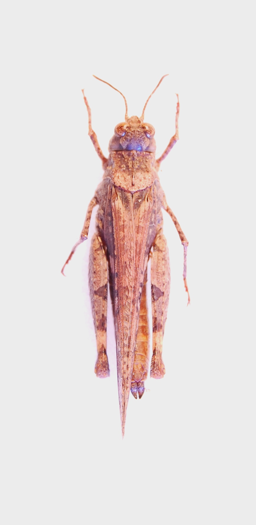
Acrida cf. ungarica (Herbst, 1786) - Acrididae
25.III.2011 - ITALIA - Sardegna - CA, loc. Mela Murgia Quartucciu
Allegato(i)
Acrida cf. ungarica (Herbst, 1786) - Acrididae

in Acrididae


Dati di raccolta: 25.III.2011 - ITALIA - Sardegna - CA, loc. Mela Murgia Quartucciu

PierFrancescoMurgia

3

1381

25/03/2011, 21:11

PierFrancescoMurgia Vedi ultimo messaggio

Acrida sp. - Acrididae - Sardegna
20.IX.2009 - ITALIA - Sardegna - OT, Olbia "Li Cuncheddi"
Allegato(i)
Acrida sp. - Acrididae - Sardegna

in Acrididae


Dati di raccolta: 20.IX.2009 - ITALIA - Sardegna - OT, Olbia "Li Cuncheddi"

Mauro

3

1469

15/10/2009, 14:30

Danius Vedi ultimo messaggio

Acrida ungarica mediterranea Dirsh, 1949 - Acrididae
6.IX.2012 - ITALIA - Sardegna - SS, Olmedo
Allegato(i)
Acrida ungarica mediterranea Dirsh, 1949 - Acrididae

in Acrididae


Dati di raccolta: 6.IX.2012 - ITALIA - Sardegna - SS, Olmedo

skero74

4

1864

25/09/2012, 16:21

skero74 Vedi ultimo messaggio

Acrida ungarica mediterranea Dirsh, 1949 - Acrididae - Acridinae - Acridini
8.X.2016 - ITALIA - Sardegna - CA, Località Mela Murgia Quartucciu (CA)
Allegato(i)
Acrida ungarica mediterranea Dirsh, 1949 - Acrididae - Acridinae - Acridini

in Acrididae


Dati di raccolta: 8.X.2016 - ITALIA - Sardegna - CA, Località Mela Murgia Quartucciu (CA)

PierFrancescoMurgia

6

2090

13/10/2016, 21:19

PierFrancescoMurgia Vedi ultimo messaggio

Acrida ungarica mediterranea Dirsh, 1949 - Acrididae - Sardegna
21.VIII.2009 - ITALIA - Sardegna - SS, Villanova Monteleone
Allegato(i)
Acrida ungarica mediterranea Dirsh, 1949 - Acrididae - Sardegna

in Acrididae


Dati di raccolta: 21.VIII.2009 - ITALIA - Sardegna - SS, Villanova Monteleone

Pietro Niolu

2

1311

22/09/2009, 13:16

Mantis Vedi ultimo messaggio

Acrometopa italica Ramme, 1927 - Phaneropteridae Phaneropterinae Acrometopini
6.VII.2016 - ITALIA - Sardegna - CA, San Gregorio (Sìnnai)
Allegato(i)
Acrometopa italica Ramme, 1927 - Phaneropteridae Phaneropterinae Acrometopini

in Phaneropteridae


Dati di raccolta: 6.VII.2016 - ITALIA - Sardegna - CA, San Gregorio (Sìnnai)

Palaemonetes

2

1358

10/07/2016, 19:39

Palaemonetes Vedi ultimo messaggio

Acroneuroptila puddui Cadeddu, 1970 (Orthoptera Gryllidae)
5.IV.2011 - ITALIA - Sardegna - CA, Monte Cudias
Allegato(i)
Acroneuroptila puddui Cadeddu, 1970 (Orthoptera Gryllidae)

in Gryllidae


Dati di raccolta: 5.IV.2011 - ITALIA - Sardegna - CA, Monte Cudias

ErikaB

4

1980

08/04/2011, 12:50

cosmln Vedi ultimo messaggio

Acrotylus insubricus insubricus (Scopoli, 1786) - Acrididae
6.VIII.2015 - ITALIA - Sardegna - OT, Arzachena, Stazzi Sarraiola, Pietro Leo leg.
Allegato(i)
Acrotylus insubricus insubricus (Scopoli, 1786) - Acrididae

in Acrididae


Dati di raccolta: 6.VIII.2015 - ITALIA - Sardegna - OT, Arzachena, Stazzi Sarraiola, Pietro Leo leg.

Tenebrio

4

1340

22/10/2015, 22:23

Tenebrio Vedi ultimo messaggio

Acrotylus insubricus insubricus (Scopoli, 1786) - Acrididae - Oedipodinae - Acrotylini
8.X.2016 - ITALIA - Sardegna - CA, Località Mela Murgia Quartucciu (CA)
Allegato(i)
Acrotylus insubricus insubricus (Scopoli, 1786) - Acrididae - Oedipodinae - Acrotylini

in Acrididae


Dati di raccolta: 8.X.2016 - ITALIA - Sardegna - CA, Località Mela Murgia Quartucciu (CA)

PierFrancescoMurgia

2

1196

15/10/2016, 1:35

PierFrancescoMurgia Vedi ultimo messaggio

Acrotylus insubricus insubricus (Scopoli, 1786) - Acrididae Oedipodinae
4.V.2013 - ITALIA - Sardegna - OT, isola di Tavolara, leg. R. Rattu
Allegato(i)
Acrotylus insubricus insubricus (Scopoli, 1786) - Acrididae Oedipodinae

in Acrididae


Dati di raccolta: 4.V.2013 - ITALIA - Sardegna - OT, isola di Tavolara, leg. R. Rattu

Fumea crassiorella

1

1183

27/09/2017, 22:00

marco villa Vedi ultimo messaggio

Aiolopus strepens (Latreille, 1804) - Acrididae
8.XII.2011 - ITALIA - Sardegna - OG, Rio Pardu Jerzu
Allegato(i)
Aiolopus strepens (Latreille, 1804) - Acrididae

in Acrididae


Dati di raccolta: 8.XII.2011 - ITALIA - Sardegna - OG, Rio Pardu Jerzu

PierFrancescoMurgia

3

1241

11/12/2011, 13:08

PierFrancescoMurgia Vedi ultimo messaggio

Aiolopus strepens (Latreille, 1804) - Acrididae
29.VII.2019 - ITALIA - Sardegna - CI, Fluminimaggiore
Allegato(i)
Aiolopus strepens (Latreille, 1804) - Acrididae

in Acrididae


Dati di raccolta: 29.VII.2019 - ITALIA - Sardegna - CI, Fluminimaggiore

CesareBrizio

2

1313

01/08/2019, 11:52

CesareBrizio Vedi ultimo messaggio

Aiolopus strepens (Latreille, 1804) - Acrididae, Oedipodinae, Epacromiini
10.V.2021 - ITALIA - Sardegna - OT, Tempio Pausania
Allegato(i)
Aiolopus strepens (Latreille, 1804) - Acrididae, Oedipodinae, Epacromiini

in Acrididae


Dati di raccolta: 10.V.2021 - ITALIA - Sardegna - OT, Tempio Pausania

Mauro

2

645

14/05/2021, 13:58

Mauro Vedi ultimo messaggio

Aiolopus strepens strepens (Latreille, 1804) - Acrididae - Oedipodinae
17.VIII.2015 - ITALIA - Sardegna - OT, Arzachena, Stazzi Sarraiola, Pietro Leo leg.
Allegato(i)
Aiolopus strepens strepens (Latreille, 1804) - Acrididae - Oedipodinae

in Acrididae


Dati di raccolta: 17.VIII.2015 - ITALIA - Sardegna - OT, Arzachena, Stazzi Sarraiola, Pietro Leo leg.

Tenebrio

4

1078

19/10/2015, 22:38

Tenebrio Vedi ultimo messaggio

Aiolopus strepens strepens (Latreille, 1804) - Acrididae - Oedipodinae
16.IV.2016 - ITALIA - Sardegna - OR, Laconi
Allegato(i)
Aiolopus strepens strepens (Latreille, 1804) - Acrididae - Oedipodinae

in Acrididae


Dati di raccolta: 16.IV.2016 - ITALIA - Sardegna - OR, Laconi

Mauro

2

1169

11/06/2016, 21:27

Mauro Vedi ultimo messaggio



Inserisci un link per questa ricerca

Inserisci un link per questa ricerca URL
BBCode
HTML
Vai a: