Benvenuto Ospite

Forum Entomologi Italiani

www.entomologiitaliani.net/forum
 
Oggi è 08/10/2025, 12:57

Tutti gli orari sono UTC + 1 ora [ ora legale ]

Filtro località

Filtro località

In questo pannello è possibile effettuare delle ricerche mirate in base alle località inserite nel forum.

Statistiche

Statistiche
In totale ci sono 89476 taxa:
- 85579 taxa con dati completi
- 2722 taxa con dati parziali, riconducibili ad un paese
- 1175 taxa con dati incompleti


escludi dalla ricerca i subforum
Distribuzione in Europa
Distribuzione in Italia
Filtro applicato: MAROCCO

Pagina 1 di 2 [ 16 messaggi ]

# A B C D E F G H I J K L M N O P Q R S T U V W X Y Z
 Argomenti   Autore   Risposte   Visite    Ultimo messaggio 
Allegato(i)
Acanthacris ruficornis citrina (Serville, 1838) - Cyrtacanthacridinae

in Acrididae


Dati di raccolta: 12.VI.1993 - MAROCCO - EE, Marrakesh

Chalybion

2

631

28/12/2015, 22:36

Chalybion Vedi ultimo messaggio

Allegato(i)
Amigus nigroadspersus (Bolívar, 1907) - Pamphagidae - Pamphaginae

in Pamphagidae


Dati di raccolta: 22.III.2005 - MAROCCO - EE, Aoulouz

Julodis

2

2047

04/05/2016, 16:34

marco villa Vedi ultimo messaggio

Diogena fausta (Burmeister, 1838) - Phaneropteridae
23.IV.2016 - MAROCCO - EE, vicino a Foum Zguid (Tata Province)
Allegato(i)
Diogena fausta (Burmeister, 1838) - Phaneropteridae

in Phaneropteridae


Dati di raccolta: 23.IV.2016 - MAROCCO - EE, vicino a Foum Zguid (Tata Province)

cosmln

4

1583

15/05/2016, 21:59

Alessio89 Vedi ultimo messaggio

Eugaster sp. - Tettigoniidae
22.III.2005 - MAROCCO - EE, Aoulouz
Allegato(i)
Eugaster sp. - Tettigoniidae

in Tettigoniidae


Dati di raccolta: 22.III.2005 - MAROCCO - EE, Aoulouz

Julodis

4

974

30/03/2014, 8:07

Julodis Vedi ultimo messaggio

Eugaster sp. - Tettigoniidae
22.V.2014 - MAROCCO - EE, Marrakech, 25 km N, 580 m, P. Leo leg.
Allegato(i)
Eugaster sp. - Tettigoniidae

in Tettigoniidae


Dati di raccolta: 22.V.2014 - MAROCCO - EE, Marrakech, 25 km N, 580 m, P. Leo leg.

Tenebrio

8

1395

11/09/2015, 9:44

marco villa Vedi ultimo messaggio

Eugaster sp. - Tettigoniidae Bradyporinae
22.III.2015 - MAROCCO - EE, deserto nei dintorni di Taliouine
Allegato(i)
Eugaster sp. - Tettigoniidae Bradyporinae

in Tettigoniidae


Dati di raccolta: 22.III.2015 - MAROCCO - EE, deserto nei dintorni di Taliouine

gigilmozzi

3

1048

16/04/2015, 16:57

gigilmozzi Vedi ultimo messaggio

Eugaster spp. - Tettigoniidae - Marocco
21.III.2005 - MAROCCO - EE, Sidi Bou Othmane
Allegato(i)
Eugaster spp. - Tettigoniidae - Marocco

[ Vai alla pagina: 1, 2 ]

in Tettigoniidae


Dati di raccolta: 21.III.2005 - MAROCCO - EE, Sidi Bou Othmane

Julodis

16

3650

13/09/2015, 17:31

marco villa Vedi ultimo messaggio

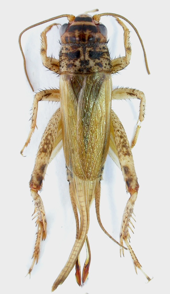
Eumodicogryllus sp. - Gryllidae
14.V.2017 - MAROCCO - EE, MEKNES-TAFILALT, Erg-Chebbi, 3.8 Km N di Merzouga, R. Rattu leg.
Allegato(i)
Eumodicogryllus sp. - Gryllidae

in Gryllidae


Dati di raccolta: 14.V.2017 - MAROCCO - EE, MEKNES-TAFILALT, Erg-Chebbi, 3.8 Km N di Merzouga, R. Rattu leg.

Fumea crassiorella

1

1701

10/08/2017, 15:55

marco villa Vedi ultimo messaggio

Euryparyphes sp. (cf.) - Pamphagidae
21.IV.2012 - MAROCCO - EE, (El Kelaa des Sraghna) 10 km N Ben Guerir, 500 m legit D.Sechi
Allegato(i)
Euryparyphes sp. (cf.) - Pamphagidae

in Pamphagidae


Dati di raccolta: 21.IV.2012 - MAROCCO - EE, (El Kelaa des Sraghna) 10 km N Ben Guerir, 500 m legit D.Sechi

Daniele Sechi

2

2141

07/08/2012, 21:47

Daniele Sechi Vedi ultimo messaggio

Gryllidae sp.
11.V.2017 - MAROCCO - EE, MEKNES-TAFILALT – Route touristique des Cedres – 10.2 Km a 65° da Aïn Leuh, R. Rattu leg.
Allegato(i)
Gryllidae sp.

in Gryllidae


Dati di raccolta: 11.V.2017 - MAROCCO - EE, MEKNES-TAFILALT – Route touristique des Cedres – 10.2 Km a 65° da Aïn Leuh, R. Rattu leg.

Fumea crassiorella

2

1710

08/06/2017, 11:49

Fumea crassiorella Vedi ultimo messaggio

Gryllotalpa sp. - Gryllotalpidae
17.V.2017 - MAROCCO - EE, EE, Meknes-Tafilalt, Ifrane (periferia), R. Rattu leg.
Allegato(i)
Gryllotalpa sp. - Gryllotalpidae

in Gryllotalpidae


Dati di raccolta: 17.V.2017 - MAROCCO - EE, EE, Meknes-Tafilalt, Ifrane (periferia), R. Rattu leg.

Fumea crassiorella

2

1770

01/11/2017, 8:30

Fumea crassiorella Vedi ultimo messaggio

Sciobia (Thliptoblemmus) CF. caliendra ambigua Bolívar, 1925 - Gryllidae
V.2010 - MAROCCO - EE, Alto Atlante, 1.600 m
Allegato(i)
Sciobia (Thliptoblemmus) CF. caliendra ambigua Bolívar, 1925 - Gryllidae

in Gryllidae


Dati di raccolta: V.2010 - MAROCCO - EE, Alto Atlante, 1.600 m

Valerio

11

2102

15/10/2011, 11:54

FORBIX Vedi ultimo messaggio

Sphingonotus (Sphingonotus) sp. - Acrididae - Oedipodinae
7.III.2015 - MAROCCO - EE, Meknès-Tafilalet, Errachidia prov. Merzouga vil. Erg Chebbi
Allegato(i)
Sphingonotus (Sphingonotus) sp. - Acrididae - Oedipodinae

in Acrididae


Dati di raccolta: 7.III.2015 - MAROCCO - EE, Meknès-Tafilalet, Errachidia prov. Merzouga vil. Erg Chebbi

Shizo

2

1020

04/05/2016, 16:43

marco villa Vedi ultimo messaggio

Sphingonotus (Sphingonotus) sp. - Acrididae - Oedipodinae
23.III.2015 - MAROCCO - EE, dinturni di Taliouine
Allegato(i)
Sphingonotus (Sphingonotus) sp. - Acrididae - Oedipodinae

in Acrididae


Dati di raccolta: 23.III.2015 - MAROCCO - EE, dinturni di Taliouine

gigilmozzi

1

706

04/05/2016, 16:41

marco villa Vedi ultimo messaggio

Truxalis nasuta (Linnaeus, 1758) - Acrididae
XI.2011 - MAROCCO - EE, sconosciuta
Allegato(i)
Truxalis nasuta (Linnaeus, 1758) - Acrididae

in Acrididae


Dati di raccolta: XI.2011 - MAROCCO - EE, sconosciuta

Bosu

5

1179

16/02/2012, 11:18

elleelle Vedi ultimo messaggio



Inserisci un link per questa ricerca

Inserisci un link per questa ricerca URL
BBCode
HTML
Vai a: