Benvenuto Ospite

Forum Entomologi Italiani

www.entomologiitaliani.net/forum
 
Oggi è 11/11/2025, 13:33

Tutti gli orari sono UTC + 1 ora [ ora legale ]

Filtro località

Filtro località

In questo pannello è possibile effettuare delle ricerche mirate in base alle località inserite nel forum.

Statistiche

Statistiche
In totale ci sono 89611 taxa:
- 85703 taxa con dati completi
- 2729 taxa con dati parziali, riconducibili ad un paese
- 1179 taxa con dati incompleti


escludi dalla ricerca i subforum
Distribuzione in Europa
Distribuzione in Italia
Filtro applicato: ITALIA - Sicilia

Pagina 1 di 1 [ 4 messaggi ]

# A B C D E F G H I J K L M N O P Q R S T U V W X Y Z
 Argomenti   Autore   Risposte   Visite    Ultimo messaggio 
Nabis (Tropiconabis) capsiformis Germar, 1838 - Nabidae
1.VIII.2013 - ITALIA - Sicilia - TP, Marausa
Allegato(i)
Nabis (Tropiconabis) capsiformis Germar, 1838 - Nabidae

in Nabidae


Dati di raccolta: 1.VIII.2013 - ITALIA - Sicilia - TP, Marausa

gigi58

9

2914

08/08/2013, 8:29

gigi58 Vedi ultimo messaggio

Ninfa di Himacerus sp. - Nabidae
19.V.2021 - ITALIA - Sicilia - TP, Mazara del Vallo
Allegato(i)
Ninfa di Himacerus sp. - Nabidae

in Nabidae


Dati di raccolta: 19.V.2021 - ITALIA - Sicilia - TP, Mazara del Vallo

angelo.ditta

1

841

22/05/2021, 22:12

angelo.ditta Vedi ultimo messaggio

Allegato(i)
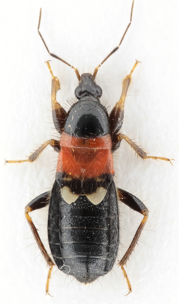
Prostemma (Prostemma) guttula (Fabricius, 1787) - Nabidae - (Particolare morfologia dei tarsi anteriori)

in Nabidae


Dati di raccolta: 1.IV.2021 - ITALIA - Sicilia - PA, Capaci, contrada Zarcati

Velvet Ant

4

1361

04/04/2021, 20:55

Enzo.C Vedi ultimo messaggio

Prostemma sanguineum (Rossi, 1790) - Nabidae
29.IX.2012 - ITALIA - Sicilia - PA, Bosco Ficuzza
Allegato(i)
Prostemma sanguineum (Rossi, 1790) - Nabidae

in Nabidae


Dati di raccolta: 29.IX.2012 - ITALIA - Sicilia - PA, Bosco Ficuzza

Caliddo

6

1956

31/10/2012, 16:52

Umbro Vedi ultimo messaggio


Inserisci un link per questa ricerca

Inserisci un link per questa ricerca URL
BBCode
HTML
Vai a: