Benvenuto Ospite

Forum Entomologi Italiani

www.entomologiitaliani.net/forum
 
Oggi è 11/11/2025, 13:33

Tutti gli orari sono UTC + 1 ora [ ora legale ]

Filtro località

Filtro località

In questo pannello è possibile effettuare delle ricerche mirate in base alle località inserite nel forum.

Statistiche

Statistiche
In totale ci sono 89611 taxa:
- 85703 taxa con dati completi
- 2729 taxa con dati parziali, riconducibili ad un paese
- 1179 taxa con dati incompleti


escludi dalla ricerca i subforum
Distribuzione in Europa
Distribuzione in Italia
Filtro applicato: TURCHIA

Pagina 1 di 1 [ 2 messaggi ]

# A B C D E F G H I J K L M N O P Q R S T U V W X Y Z
 Argomenti   Autore   Risposte   Visite    Ultimo messaggio 
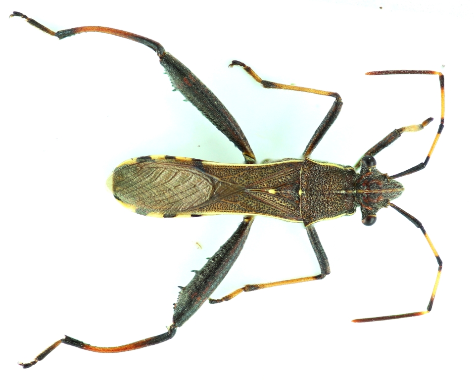
Camptopus lateralis (Germar 1817) - Alydidae
1.VI.2013 - TURCHIA - EE, Karaman
Allegato(i)
Camptopus lateralis (Germar 1817) - Alydidae

in Alydidae


Dati di raccolta: 1.VI.2013 - TURCHIA - EE, Karaman

ozgur70

2

2352

17/12/2013, 22:05

ozgur70 Vedi ultimo messaggio

Heegeria tangirica (Saunders, 1877) - Alydidae
24.VIII.2016 - TURCHIA - EE, Izmir
Allegato(i)
Heegeria tangirica (Saunders, 1877) - Alydidae

in Alydidae


Dati di raccolta: 24.VIII.2016 - TURCHIA - EE, Izmir

Baris99

2

1951

27/12/2016, 18:32

Baris99 Vedi ultimo messaggio


Inserisci un link per questa ricerca

Inserisci un link per questa ricerca URL
BBCode
HTML
Vai a: