Benvenuto Ospite

Forum Entomologi Italiani

www.entomologiitaliani.net/forum
 
Oggi è 06/11/2025, 5:18

Tutti gli orari sono UTC + 1 ora [ ora legale ]

Filtro località

Filtro località

In questo pannello è possibile effettuare delle ricerche mirate in base alle località inserite nel forum.

Statistiche

Statistiche
In totale ci sono 89587 taxa:
- 85683 taxa con dati completi
- 2727 taxa con dati parziali, riconducibili ad un paese
- 1177 taxa con dati incompleti


escludi dalla ricerca i subforum
Distribuzione in Europa
Distribuzione in Italia
Filtro applicato: GERMANIA

Pagina 1 di 1 [ 3 messaggi ]

# A B C D E F G H I J K L M N O P Q R S T U V W X Y Z
 Argomenti   Autore   Risposte   Visite    Ultimo messaggio 
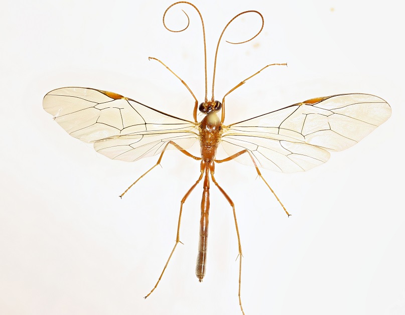
Dusona sp. ♀ - Ichneumonidae Campopleginae
25.V.2014 - GERMANIA - EE, Spreewald, Brandenburg
Allegato(i)
Dusona sp. ♀ - Ichneumonidae Campopleginae

in Ichneumonidae indeterminati


Dati di raccolta: 25.V.2014 - GERMANIA - EE, Spreewald, Brandenburg

matthew gandy

2

846

04/06/2014, 14:26

matthew gandy Vedi ultimo messaggio

ichneumon sp. - Ichneumonidae
2.XI.2012 - GERMANIA - EE, Northeim
Allegato(i)
ichneumon sp. - Ichneumonidae

in Ichneumonidae indeterminati


Dati di raccolta: 2.XI.2012 - GERMANIA - EE, Northeim

gstalker

1

733

08/03/2015, 19:57

gstalker Vedi ultimo messaggio

Ophion sp. - Ichneumonidae Ophioninae
4.IV.2016 - GERMANIA - EE, Northeim
Allegato(i)
Ophion sp. - Ichneumonidae Ophioninae

in Ichneumonidae indeterminati


Dati di raccolta: 4.IV.2016 - GERMANIA - EE, Northeim

gstalker

2

1042

10/06/2016, 18:57

gstalker Vedi ultimo messaggio


Inserisci un link per questa ricerca

Inserisci un link per questa ricerca URL
BBCode
HTML
Vai a: