Benvenuto Ospite

Forum Entomologi Italiani

www.entomologiitaliani.net/forum
 
Oggi è 08/10/2025, 5:59

Tutti gli orari sono UTC + 1 ora [ ora legale ]

Filtro località

Filtro località

In questo pannello è possibile effettuare delle ricerche mirate in base alle località inserite nel forum.

Statistiche

Statistiche
In totale ci sono 89474 taxa:
- 85577 taxa con dati completi
- 2722 taxa con dati parziali, riconducibili ad un paese
- 1175 taxa con dati incompleti


escludi dalla ricerca i subforum
Distribuzione in Europa
Distribuzione in Italia
Filtro applicato: SPAGNA

Pagina 1 di 1 [ 10 messaggi ]

# A B C D E F G H I J K L M N O P Q R S T U V W X Y Z
 Argomenti   Autore   Risposte   Visite    Ultimo messaggio 
Blepharopsis mendica Fabricius, 1775 - Mantodea
VI.2011 - SPAGNA - EE, Tenerife, dint. El Guincho
Allegato(i)
Blepharopsis mendica Fabricius, 1775 - Mantodea

in Mantodea


Dati di raccolta: VI.2011 - SPAGNA - EE, Tenerife, dint. El Guincho

Glaphyrus

4

1292

26/07/2011, 12:23

Lucanus tetraodon Vedi ultimo messaggio

Canarilabis maxima (Brullé, 1838) - Anisolabididae
17.XI.2015 - SPAGNA - EE, Canarie - Gran Canaria - Pico de la Nieves m 1900
Allegato(i)
Canarilabis maxima (Brullé, 1838) - Anisolabididae

in Dermaptera


Dati di raccolta: 17.XI.2015 - SPAGNA - EE, Canarie - Gran Canaria - Pico de la Nieves m 1900

ruzzpa

2

2181

24/11/2015, 18:34

Tenebrio Vedi ultimo messaggio

Labidura riparia (Pallas, 1773) - Labiduridae Labidurinae
27.IV.2016 - SPAGNA - EE, Playa de Valdevaqueros, Tarifa, Cádiz
Allegato(i)
Labidura riparia (Pallas, 1773) - Labiduridae Labidurinae

in Dermaptera


Dati di raccolta: 27.IV.2016 - SPAGNA - EE, Playa de Valdevaqueros, Tarifa, Cádiz

Antonio Verdugo

2

2340

03/05/2016, 12:32

Antonio Verdugo Vedi ultimo messaggio

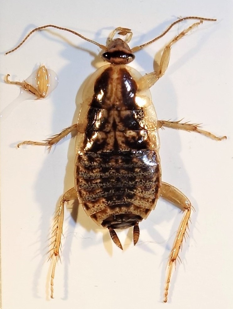
Larva di Periplaneta australasiae (Fabricius, 1775) . Blattidae
10.VIII.2019 - SPAGNA - EE, Tenerife
Allegato(i)
Larva di Periplaneta australasiae (Fabricius, 1775) . Blattidae

in Blattaria


Dati di raccolta: 10.VIII.2019 - SPAGNA - EE, Tenerife

Heinier

2

982

14/11/2020, 21:58

Heinier Vedi ultimo messaggio

Allegato(i)
Parameles (Leptameles) paradecolor Agabiti, Salvarice et Lombardo, 2010 (cf.) - Amelidae, Amelini

in Mantodea


Dati di raccolta: V.2002 - SPAGNA - EE, Monfrague, Plasencia, Extremadura

Il Baratelli

4

1509

17/07/2018, 14:30

Il Baratelli Vedi ultimo messaggio

Periplaneta americana (Linnaeus, 1758) - Blattidae
27.VII.2018 - SPAGNA - EE, Tenerife
Allegato(i)
Periplaneta americana (Linnaeus, 1758) - Blattidae

in Blattaria


Dati di raccolta: 27.VII.2018 - SPAGNA - EE, Tenerife

Heinier

3

965

16/11/2020, 17:35

Heinier Vedi ultimo messaggio

Periplaneta australasiae (Fabricius, 1775) - Blattidae
27.VII.2018 - SPAGNA - EE, Tenerife
Allegato(i)
Periplaneta australasiae (Fabricius, 1775) - Blattidae

in Blattaria


Dati di raccolta: 27.VII.2018 - SPAGNA - EE, Tenerife

Heinier

3

853

16/11/2020, 17:35

Heinier Vedi ultimo messaggio

Phyllodromica sp. - Blattellidae Ectobiinae
26.V.2012 - SPAGNA - EE, Arguis, Huesca, Pirenei montagne
Allegato(i)
Phyllodromica sp. - Blattellidae Ectobiinae

in Blattaria


Dati di raccolta: 26.V.2012 - SPAGNA - EE, Arguis, Huesca, Pirenei montagne

Isidro

0

1201

11/05/2018, 9:43

Isidro Vedi ultimo messaggio

Phyllodromica sp. (cf.) - Blattellidae
29.IX.2017 - SPAGNA - EE, Canarie - La Palma - Refugio El Pilar m 1450
Allegato(i)
Phyllodromica sp. (cf.) - Blattellidae

in Blattaria


Dati di raccolta: 29.IX.2017 - SPAGNA - EE, Canarie - La Palma - Refugio El Pilar m 1450

ruzzpa

3

1807

13/11/2017, 16:40

marco villa Vedi ultimo messaggio

Allegato(i)
Sphodromantis viridis (Forskal 1775), ninfa e adulto - Mantodea Mantidae - Spagna, Mallorca

in Mantodea


Dati di raccolta: 18.VII.2010 - SPAGNA - EE, Maiorca

Fabry8989

12

2361

17/10/2010, 17:40

carabus Vedi ultimo messaggio


Inserisci un link per questa ricerca

Inserisci un link per questa ricerca URL
BBCode
HTML
Vai a: