Benvenuto Ospite

Forum Entomologi Italiani

www.entomologiitaliani.net/forum
 
Oggi è 08/10/2025, 5:59

Tutti gli orari sono UTC + 1 ora [ ora legale ]

Filtro località

Filtro località

In questo pannello è possibile effettuare delle ricerche mirate in base alle località inserite nel forum.

Statistiche

Statistiche
In totale ci sono 89474 taxa:
- 85577 taxa con dati completi
- 2722 taxa con dati parziali, riconducibili ad un paese
- 1175 taxa con dati incompleti


escludi dalla ricerca i subforum
Distribuzione in Europa
Distribuzione in Italia
Filtro applicato: ITALIA - Veneto

Pagina 1 di 3 [ 39 messaggi ]

# A B C D E F G H I J K L M N O P Q R S T U V W X Y Z
 Argomenti   Autore   Risposte   Visite    Ultimo messaggio 
Ameles spallanzania (Rossi, 1792) - Mantidae
12.X.2017 - ITALIA - Veneto - VE, Salzano
Allegato(i)
Ameles spallanzania (Rossi, 1792) - Mantidae

in Mantodea


Dati di raccolta: 12.X.2017 - ITALIA - Veneto - VE, Salzano

Seba

4

1559

25/10/2017, 20:49

Seba Vedi ultimo messaggio

Ameles spallanzania (Rossi, 1792) - Mantodea
IX.2014 - ITALIA - Veneto - PD, dintorni
Allegato(i)
Ameles spallanzania (Rossi, 1792) - Mantodea

in Mantodea


Dati di raccolta: IX.2014 - ITALIA - Veneto - PD, dintorni

macrocaccia

5

1640

07/02/2016, 20:23

aug Vedi ultimo messaggio

Apterygida albipennis Megerle, 1825 (cf) - Forficulidae
1.III.2012 - ITALIA - Veneto - VR, Castagnaro, Sponda Adige (dx), Sotto corteccia
Allegato(i)
Apterygida albipennis Megerle, 1825 (cf) - Forficulidae

in Dermaptera


Dati di raccolta: 1.III.2012 - ITALIA - Veneto - VR, Castagnaro, Sponda Adige (dx), Sotto corteccia

Umbro

7

3476

04/11/2012, 19:09

Umbro Vedi ultimo messaggio

Blatta orientalis Linnaeus, 1758 - Blattodea Blattidae
27.VII.2015 - ITALIA - Veneto - VE, San Michele al Tagliamento (VE), loc.: Bibione
Allegato(i)
Blatta orientalis Linnaeus, 1758 - Blattodea Blattidae

in Blattaria


Dati di raccolta: 27.VII.2015 - ITALIA - Veneto - VE, San Michele al Tagliamento (VE), loc.: Bibione

gstalker

2

1648

02/12/2015, 17:20

gstalker Vedi ultimo messaggio

Blattaria da det.
6.IV.2012 - ITALIA - Veneto - PD, Montegrotto Terme (M. Alto)
Allegato(i)
Blattaria da det.

in Blattaria


Dati di raccolta: 6.IV.2012 - ITALIA - Veneto - PD, Montegrotto Terme (M. Alto)

Osmoderma

3

1428

17/04/2012, 22:34

Osmoderma Vedi ultimo messaggio

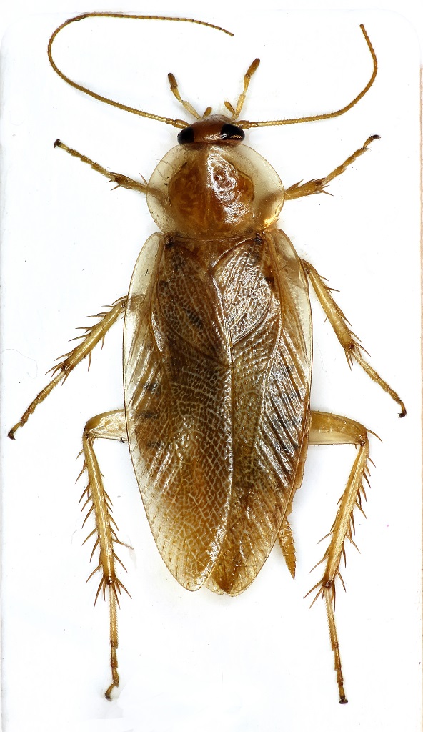
Capraiellus sp. - Blattellidae
27.XI.2020 - ITALIA - Veneto - VE, Lido di Venezia
Allegato(i)
Capraiellus sp. - Blattellidae

in Blattaria


Dati di raccolta: 27.XI.2020 - ITALIA - Veneto - VE, Lido di Venezia

ghebo

4

1134

29/11/2020, 9:29

ghebo Vedi ultimo messaggio

Ectobius pallidus (Olivier 1789) - Blattellidae
2.XII.2015 - ITALIA - Veneto - VE, Lido di Venezia
Allegato(i)
Ectobius pallidus (Olivier 1789) - Blattellidae

in Blattaria


Dati di raccolta: 2.XII.2015 - ITALIA - Veneto - VE, Lido di Venezia

ghebo

3

1920

03/12/2015, 15:14

ghebo Vedi ultimo messaggio

Ectobius pallidus (Olivier, 1789) -
2.X.2015 - ITALIA - Veneto - VE, Lido di Venezia
Allegato(i) Dettagli della specie
Ectobius pallidus (Olivier, 1789) - Blattodea

in Blattaria


Dati di raccolta: 2.X.2015 - ITALIA - Veneto - VE, Lido di Venezia

ghebo

4

1971

04/10/2015, 20:12

ghebo Vedi ultimo messaggio

Ectobius pallidus (Olivier, 1789) cf. - Blattodea
12.I.2011 - ITALIA - Veneto - BL, Feltre: Farra, casa
Allegato(i) Dettagli della specie
Ectobius pallidus (Olivier, 1789) - Blattodea cf.

in Blattaria


Dati di raccolta: 12.I.2011 - ITALIA - Veneto - BL, Feltre: Farra, casa

Maw89

7

2169

14/01/2011, 1:05

Maw89 Vedi ultimo messaggio

Ectobius sp. - Blattelidae Ectobiinae
31.VII.2015 - ITALIA - Veneto - VE, San Michele al Tagliamento (VE), loc.: Bibione
Allegato(i)
Ectobius sp. - Blattelidae Ectobiinae

in Blattaria


Dati di raccolta: 31.VII.2015 - ITALIA - Veneto - VE, San Michele al Tagliamento (VE), loc.: Bibione

gstalker

4

1808

20/10/2015, 20:03

gstalker Vedi ultimo messaggio

Ectobius sp. - Blattelidae Ectobiinae
14.XI.2015 - ITALIA - Veneto - VE, Lido di Venezia
Allegato(i)
Ectobius sp. - Blattelidae Ectobiinae

in Blattaria


Dati di raccolta: 14.XI.2015 - ITALIA - Veneto - VE, Lido di Venezia

ghebo

4

2306

16/11/2015, 15:01

ghebo Vedi ultimo messaggio

Ectobius sp. - Blattellidae
19.VI.2017 - ITALIA - Veneto - VE, Lido di Venezia
Allegato(i)
Ectobius sp. - Blattellidae

in Blattaria


Dati di raccolta: 19.VI.2017 - ITALIA - Veneto - VE, Lido di Venezia

ghebo

2

1724

26/07/2017, 10:28

ghebo Vedi ultimo messaggio

Ectobius sp. - Blattellidae
24.VIII.2016 - ITALIA - Veneto - VE, Lido di Venezia
Allegato(i)
Ectobius sp. - Blattellidae

in Blattaria


Dati di raccolta: 24.VIII.2016 - ITALIA - Veneto - VE, Lido di Venezia

ghebo

3

1878

02/09/2017, 13:49

ghebo Vedi ultimo messaggio

Ectobius sp. - Blattellidae
7.XI.2019 - ITALIA - Veneto - VE, Lido di Venezia
Allegato(i)
Ectobius sp. - Blattellidae

in Blattaria


Dati di raccolta: 7.XI.2019 - ITALIA - Veneto - VE, Lido di Venezia

ghebo

2

1489

17/11/2019, 20:40

ghebo Vedi ultimo messaggio

Ectobius sp. - Blattellidae
1.VI.2021 - ITALIA - Veneto - VE, Lido di Venezia
Allegato(i)
Ectobius sp. - Blattellidae

in Blattaria


Dati di raccolta: 1.VI.2021 - ITALIA - Veneto - VE, Lido di Venezia

ghebo

0

783

06/06/2021, 18:09

ghebo Vedi ultimo messaggio



Inserisci un link per questa ricerca

Inserisci un link per questa ricerca URL
BBCode
HTML
Vai a: