Benvenuto Ospite

Forum Entomologi Italiani

www.entomologiitaliani.net/forum
 
Oggi è 08/10/2025, 5:55

Tutti gli orari sono UTC + 1 ora [ ora legale ]

Filtro località

Filtro località

In questo pannello è possibile effettuare delle ricerche mirate in base alle località inserite nel forum.

Statistiche

Statistiche
In totale ci sono 89474 taxa:
- 85577 taxa con dati completi
- 2722 taxa con dati parziali, riconducibili ad un paese
- 1175 taxa con dati incompleti


escludi dalla ricerca i subforum
Distribuzione in Europa
Distribuzione in Italia
Filtro applicato: MALTA

Pagina 1 di 1 [ 3 messaggi ]

# A B C D E F G H I J K L M N O P Q R S T U V W X Y Z
 Argomenti   Autore   Risposte   Visite    Ultimo messaggio 
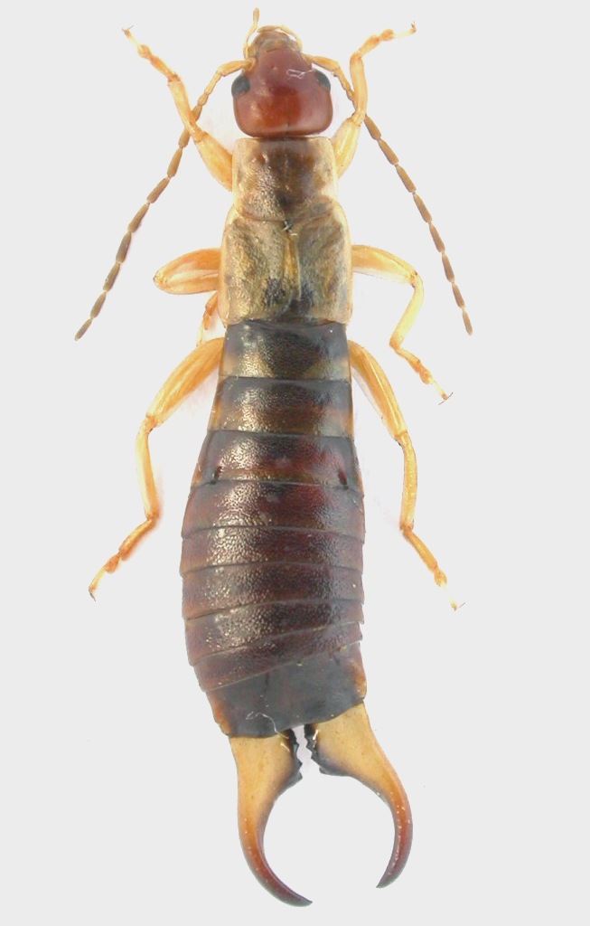
Dermaptera sp.
23.IV.2015 - MALTA - EE, isola di Gozo, Dweira, R. Rattu leg.
Allegato(i)
Dermaptera sp.

in Dermaptera


Dati di raccolta: 23.IV.2015 - MALTA - EE, isola di Gozo, Dweira, R. Rattu leg.

Fumea crassiorella

1

1937

07/11/2022, 20:33

Lucanus tetraodon Vedi ultimo messaggio

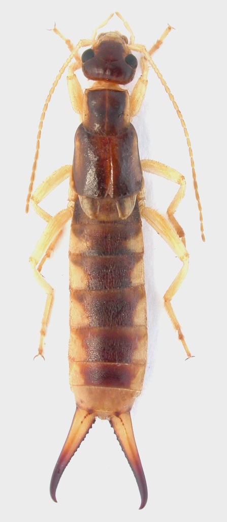
Labidura riparia (Pallas, 1773) - Labiduriidae
25.IV.2015 - MALTA - EE, isola di Gozo, dune di Ramla, R. Rattu leg.
Allegato(i)
Labidura riparia (Pallas, 1773) - Labiduriidae

in Dermaptera


Dati di raccolta: 25.IV.2015 - MALTA - EE, isola di Gozo, dune di Ramla, R. Rattu leg.

Fumea crassiorella

1

1884

17/07/2015, 15:16

Andricus Vedi ultimo messaggio

Polyphaga aegyptiaca (Linnaeus, 1758) - Blattodea
5.III.2015 - MALTA - EE, Malta, Il-Qaliet, San Ġiljan, R. Rattu leg.
Allegato(i) Dettagli della specie
Polyphaga aegyptiaca (Linnaeus, 1758) - Blattodea

in Blattaria


Dati di raccolta: 5.III.2015 - MALTA - EE, Malta, Il-Qaliet, San Ġiljan, R. Rattu leg.

Fumea crassiorella

3

1326

05/03/2015, 22:33

marco villa Vedi ultimo messaggio


Inserisci un link per questa ricerca

Inserisci un link per questa ricerca URL
BBCode
HTML
Vai a: