Benvenuto Ospite

Forum Entomologi Italiani

www.entomologiitaliani.net/forum
 
Oggi è 08/10/2025, 5:57

Tutti gli orari sono UTC + 1 ora [ ora legale ]

Filtro località

Filtro località

In questo pannello è possibile effettuare delle ricerche mirate in base alle località inserite nel forum.

Statistiche

Statistiche
In totale ci sono 89474 taxa:
- 85577 taxa con dati completi
- 2722 taxa con dati parziali, riconducibili ad un paese
- 1175 taxa con dati incompleti


escludi dalla ricerca i subforum
Distribuzione in Europa
Distribuzione in Italia
Filtro applicato: CROAZIA

Pagina 1 di 1 [ 11 messaggi ]

# A B C D E F G H I J K L M N O P Q R S T U V W X Y Z
 Argomenti   Autore   Risposte   Visite    Ultimo messaggio 
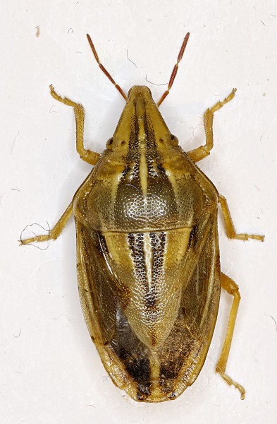
Aelia rostrata Boheman, 1852 - Pentatomidae
4.VI.2017 - CROAZIA - EE, Krivi Put 53271
Allegato(i)
Aelia rostrata Boheman, 1852 - Pentatomidae

in Pentatomidae


Dati di raccolta: 4.VI.2017 - CROAZIA - EE, Krivi Put 53271

gstalker

4

1388

12/08/2017, 19:03

gstalker Vedi ultimo messaggio

Apodiphus amygdali (Germar, 1817) - Pentatomidae
26.VIII.2012 - CROAZIA - EE, Orebic
Allegato(i)
Apodiphus amygdali (Germar, 1817) - Pentatomidae

in Pentatomidae


Dati di raccolta: 26.VIII.2012 - CROAZIA - EE, Orebic

GrzegorzG

3

890

24/11/2015, 23:26

GrzegorzG Vedi ultimo messaggio

Allegato(i)
Carpocoris (Carpocoris) mediterraneus mediterraneus Tamanini, 1959 - Pentatomidae

in Pentatomidae


Dati di raccolta: 2013 - CROAZIA - EE, Peljesac

Palaemonetes

0

842

17/01/2015, 13:56

Palaemonetes Vedi ultimo messaggio

Carpocoris (Carpocoris) pudicus (Poda, 1761) - Pentatomidae
1.VII.2017 - CROAZIA - EE, Vrataruša
Allegato(i)
Carpocoris (Carpocoris) pudicus (Poda, 1761) - Pentatomidae

in Pentatomidae


Dati di raccolta: 1.VII.2017 - CROAZIA - EE, Vrataruša

gstalker

3

1279

30/07/2017, 18:59

Dioli Vedi ultimo messaggio

Allegato(i)
Carpocoris mediterraneus mediterraneus Tamanini 1958 (cf.) - Pentatomidae

in Pentatomidae


Dati di raccolta: 2013 - CROAZIA - EE, Peljesac

Palaemonetes

7

2019

21/01/2015, 20:34

Palaemonetes Vedi ultimo messaggio

Coriomeris hirticornis (Fabricius, 1794) - Coreidae
4.VII.2017 - CROAZIA - EE, Krivi Put 53271
Allegato(i)
Coriomeris hirticornis (Fabricius, 1794) - Coreidae

in Coreidae


Dati di raccolta: 4.VII.2017 - CROAZIA - EE, Krivi Put 53271

gstalker

2

1656

12/08/2017, 16:30

gstalker Vedi ultimo messaggio

Liolobus walkeri (Saunders, 1876) - Lygaeidae
20.II.2021 - CROAZIA - EE, Donje Sitno
Allegato(i)
Liolobus walkeri (Saunders, 1876) - Lygaeidae

in Lygaeidae


Dati di raccolta: 20.II.2021 - CROAZIA - EE, Donje Sitno

Antonjo

2

545

22/02/2021, 14:47

Antonjo Vedi ultimo messaggio

Lygaeus equestris (Linnaeus, 1758) - Lygaeidae
1.VII.2017 - CROAZIA - EE, Vrataruša
Allegato(i)
Lygaeus equestris (Linnaeus, 1758) - Lygaeidae

in Lygaeidae


Dati di raccolta: 1.VII.2017 - CROAZIA - EE, Vrataruša

gstalker

2

1191

13/07/2017, 10:40

gstalker Vedi ultimo messaggio

Macroscytus brunneus (Fabricius 1803) - Cydndae
19.VIII.2015 - CROAZIA - EE, Gornji okrug
Allegato(i)
Macroscytus brunneus (Fabricius 1803) - Cydndae

in Cydnidae


Dati di raccolta: 19.VIII.2015 - CROAZIA - EE, Gornji okrug

GrzegorzG

3

2120

01/12/2015, 21:08

Baris99 Vedi ultimo messaggio

Rhynocoris sp. - Reduviidae
1.VII.2017 - CROAZIA - EE, Vrataruša
Allegato(i)
Rhynocoris sp. - Reduviidae

in Reduviidae


Dati di raccolta: 1.VII.2017 - CROAZIA - EE, Vrataruša

gstalker

2

1249

14/07/2017, 19:08

Baris99 Vedi ultimo messaggio

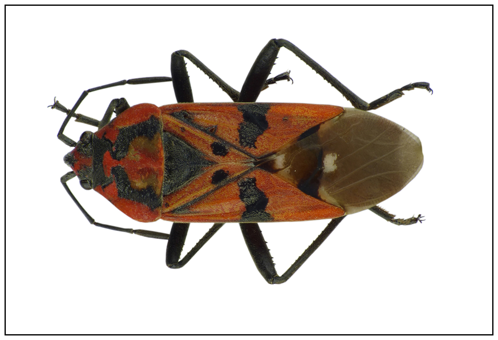
Spilostethus pandurus (Scopoli, 1763) - Lygeidae
26.VIII.2012 - CROAZIA - EE, Orebic
Allegato(i)
Spilostethus pandurus (Scopoli, 1763) - Lygeidae

in Lygaeidae


Dati di raccolta: 26.VIII.2012 - CROAZIA - EE, Orebic

GrzegorzG

2

859

26/11/2015, 12:53

GrzegorzG Vedi ultimo messaggio


Inserisci un link per questa ricerca

Inserisci un link per questa ricerca URL
BBCode
HTML
Vai a: