Benvenuto Ospite

Forum Entomologi Italiani

www.entomologiitaliani.net/forum
 
Oggi è 08/10/2025, 5:59

Tutti gli orari sono UTC + 1 ora [ ora legale ]

Filtro località

Filtro località

In questo pannello è possibile effettuare delle ricerche mirate in base alle località inserite nel forum.

Statistiche

Statistiche
In totale ci sono 89474 taxa:
- 85577 taxa con dati completi
- 2722 taxa con dati parziali, riconducibili ad un paese
- 1175 taxa con dati incompleti


escludi dalla ricerca i subforum
Distribuzione in Europa
Distribuzione in Italia
Filtro applicato: ITALIA - Marche

Pagina 1 di 14 [ 199 messaggi ]

# A B C D E F G H I J K L M N O P Q R S T U V W X Y Z
 Argomenti   Autore   Risposte   Visite    Ultimo messaggio 
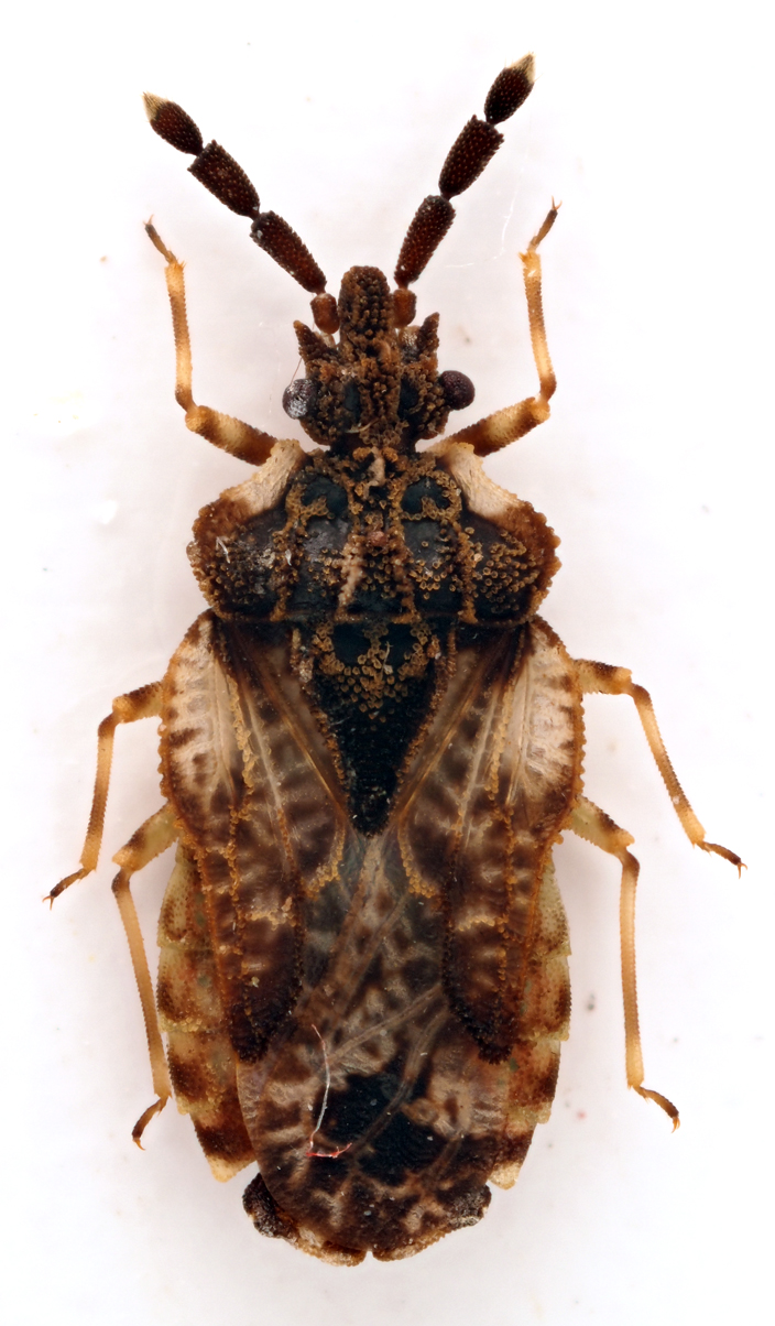
Acalypta parvula (Fallén, 1807) - Tingidae
17.XII.2013 - ITALIA - Marche - PU, Collina Baratoff
Allegato(i)
Acalypta parvula (Fallén, 1807) - Tingidae

in Tingidae


Dati di raccolta: 17.XII.2013 - ITALIA - Marche - PU, Collina Baratoff

marco paglialunga

0

2216

18/12/2013, 16:14

marco paglialunga Vedi ultimo messaggio

Adelphocoris lineolatus (Goeze, 1778) - Miridae
30.VIII.2019 - ITALIA - Marche - AN
Allegato(i)
Adelphocoris lineolatus (Goeze, 1778) - Miridae

in Miridae


Dati di raccolta: 30.VIII.2019 - ITALIA - Marche - AN

Gintor

4

1495

15/09/2019, 13:59

Gintor Vedi ultimo messaggio

Adelphocoris lineolatus (Goeze, 1778) - Miridae
12.X.2023 - ITALIA - Marche - PU, Torrette di Fano
Allegato(i)
Adelphocoris lineolatus (Goeze, 1778) - Miridae

in Miridae


Dati di raccolta: 12.X.2023 - ITALIA - Marche - PU, Torrette di Fano

plumipes

3

724

25/10/2023, 18:08

Palaemonetes Vedi ultimo messaggio

Adelphocoris seticornis (Fabricius, 1775) - Miridae
30.VI.2012 - ITALIA - Marche - PU, Pesaro, Collina Baratoff
Allegato(i)
Adelphocoris seticornis (Fabricius, 1775) - Miridae

in Miridae


Dati di raccolta: 30.VI.2012 - ITALIA - Marche - PU, Pesaro, Collina Baratoff

marco paglialunga

0

578

02/07/2012, 15:20

marco paglialunga Vedi ultimo messaggio

Agraphopus lethierryi Stål, 1872 - Rhopalidae
18.VI.2013 - ITALIA - Marche - PU, Collina Baratoff
Allegato(i)
Agraphopus lethierryi Stål, 1872 - Rhopalidae

in Rhopalidae


Dati di raccolta: 18.VI.2013 - ITALIA - Marche - PU, Collina Baratoff

marco paglialunga

0

933

11/03/2014, 19:27

marco paglialunga Vedi ultimo messaggio

Alloeorhynchus (Alloeorhynchus) flavipes (Fieber, 1836) - Nabidae Prostemmatinae
5.V.2013 - ITALIA - Marche - PU, Borgo Santa Maria
Allegato(i)
Alloeorhynchus (Alloeorhynchus) flavipes (Fieber, 1836) - Nabidae Prostemmatinae

in Nabidae


Dati di raccolta: 5.V.2013 - ITALIA - Marche - PU, Borgo Santa Maria

marco paglialunga

1

1755

13/03/2014, 7:52

marsal Vedi ultimo messaggio

Ancyrosoma leucogrammes (Gmelin, 1790) - Pentatomidae
VII.2014 - ITALIA - Marche - PU, Urbino - dintorni
Allegato(i)
Ancyrosoma leucogrammes (Gmelin, 1790) - Pentatomidae

in Pentatomidae


Dati di raccolta: VII.2014 - ITALIA - Marche - PU, Urbino - dintorni

Giuseppe

2

1214

31/05/2016, 21:56

Giuseppe Vedi ultimo messaggio

Anthocoridae - Ninfa
15.I.2012 - ITALIA - Marche - PU, Pesaro, Collina Baratoff
Allegato(i)
Anthocoridae - Ninfa

in Hemiptera Heteroptera


Dati di raccolta: 15.I.2012 - ITALIA - Marche - PU, Pesaro, Collina Baratoff

marco paglialunga

2

2925

22/01/2012, 8:36

marco paglialunga Vedi ultimo messaggio

Anthocoridae (ninfa)
1.VIII.2011 - ITALIA - Marche - PU, Pesaro Collina Baratoff
Allegato(i)
Anthocoridae (ninfa)

in Hemiptera Heteroptera


Dati di raccolta: 1.VIII.2011 - ITALIA - Marche - PU, Pesaro Collina Baratoff

marco paglialunga

2

1776

21/08/2011, 8:10

marco paglialunga Vedi ultimo messaggio

Aphanus rolandri (Linnaeus, 1758) - Lygaeidae
IV.1993 - ITALIA - Marche - PU, Pesaro - Collina Baratoff
Allegato(i)
Aphanus rolandri (Linnaeus, 1758) - Lygaeidae

in Lygaeidae


Dati di raccolta: IV.1993 - ITALIA - Marche - PU, Pesaro - Collina Baratoff

marco paglialunga

1

367

24/02/2010, 20:43

eremicus Vedi ultimo messaggio

Aradus cinnamomeus Panzer, 1806 - Aradidae
IX.1996 - ITALIA - Marche - PU, Pesaro
Allegato(i)
Aradus cinnamomeus Panzer, 1806 - Aradidae

in Aradidae


Dati di raccolta: IX.1996 - ITALIA - Marche - PU, Pesaro

marco paglialunga

2

2241

06/11/2010, 22:48

Dioli Vedi ultimo messaggio

Aradus cinnamomeus Panzer, 1806 - Aradidae
X.2012 - ITALIA - Marche - AN, Campocavallo di Osimo
Allegato(i)
Aradus cinnamomeus Panzer, 1806 - Aradidae

in Aradidae


Dati di raccolta: X.2012 - ITALIA - Marche - AN, Campocavallo di Osimo

StagBeetle

8

3249

04/12/2012, 17:02

StagBeetle Vedi ultimo messaggio

Aradus conspicuus Herrich-Schäffer, 1835 - Aradidae
5.VI.2011 - ITALIA - Marche - MC, Sefro
Allegato(i)
Aradus conspicuus Herrich-Schäffer, 1835 - Aradidae

in Aradidae


Dati di raccolta: 5.VI.2011 - ITALIA - Marche - MC, Sefro

StagBeetle

4

2518

11/08/2023, 19:04

Dioli Vedi ultimo messaggio

Aradus depressus (Fabricius, 1794) (cf.) - Aradidae
11.V.2014 - ITALIA - Marche - AN, Valdicastro, Fabriano
Allegato(i)
Aradus depressus (Fabricius, 1794) (cf.) - Aradidae

in Aradidae


Dati di raccolta: 11.V.2014 - ITALIA - Marche - AN, Valdicastro, Fabriano

StagBeetle

5

2554

11/08/2014, 9:02

Chalybion Vedi ultimo messaggio

Aradus pallescens frigidus Kiritshenko, 1913 - Aradidae
7.X.2012 - ITALIA - Marche - AP, Monte Sibilla
Allegato(i)
Aradus pallescens frigidus Kiritshenko, 1913 - Aradidae

in Aradidae


Dati di raccolta: 7.X.2012 - ITALIA - Marche - AP, Monte Sibilla

StagBeetle

5

2921

16/10/2012, 9:16

eremicus Vedi ultimo messaggio



Inserisci un link per questa ricerca

Inserisci un link per questa ricerca URL
BBCode
HTML
Vai a: