Benvenuto Ospite

Forum Entomologi Italiani

www.entomologiitaliani.net/forum
 
Oggi è 08/10/2025, 13:18

Tutti gli orari sono UTC + 1 ora [ ora legale ]

Filtro località

Filtro località

In questo pannello è possibile effettuare delle ricerche mirate in base alle località inserite nel forum.

Statistiche

Statistiche
In totale ci sono 89476 taxa:
- 85579 taxa con dati completi
- 2722 taxa con dati parziali, riconducibili ad un paese
- 1175 taxa con dati incompleti


escludi dalla ricerca i subforum
Distribuzione in Europa
Distribuzione in Italia
Filtro applicato: TANZANIA, REPUBBLICA UNITA DI

Pagina 1 di 1 [ 5 messaggi ]

# A B C D E F G H I J K L M N O P Q R S T U V W X Y Z
 Argomenti   Autore   Risposte   Visite    Ultimo messaggio 
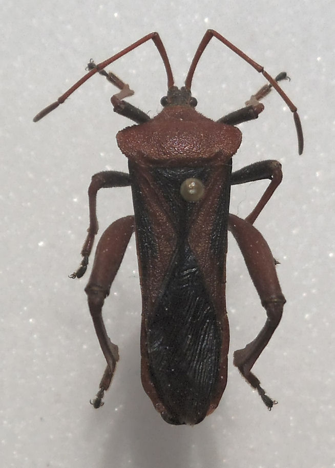
Clavigralla wittei (Schouteden, 1928) -Tanzania, border Iringa-Morogoro prov. -Sforzi e Bartolotti leg.
15.VII.2004 - TANZANIA, REPUBBLICA UNITA DI - EE, Morogoro prov.-border Iringa
Allegato(i)
Clavigralla wittei (Schouteden, 1928) -Tanzania, border Iringa-Morogoro prov. -Sforzi e Bartolotti leg.

in Coreidae


Dati di raccolta: 15.VII.2004 - TANZANIA, REPUBBLICA UNITA DI - EE, Morogoro prov.-border Iringa

marsal

0

897

08/05/2015, 0:06

marsal Vedi ultimo messaggio

Lygaeidae sp.
8.I.1991 - TANZANIA, REPUBBLICA UNITA DI - EE, Mto-wa-Mbu (Lake Manyara)
Allegato(i)
Lygaeidae sp.

in Lygaeidae


Dati di raccolta: 8.I.1991 - TANZANIA, REPUBBLICA UNITA DI - EE, Mto-wa-Mbu (Lake Manyara)

Chalybion

0

557

22/04/2014, 21:20

Chalybion Vedi ultimo messaggio

Platymeris sp. "Mombo" - Reduviidae
VII.2011 - TANZANIA, REPUBBLICA UNITA DI - EE
Allegato(i)
Platymeris sp. "Mombo" - Reduviidae

in Reduviidae


Dati di raccolta: VII.2011 - TANZANIA, REPUBBLICA UNITA DI - EE

Fabio23@

8

3183

28/11/2011, 3:38

Dioli Vedi ultimo messaggio

Plectropoda bicolor (Haglund, 1895) (cf.) - Coreidae
4.I.1991 - TANZANIA, REPUBBLICA UNITA DI - EE, Ngoro Ngoro crater
Allegato(i)
Plectropoda bicolor (Haglund, 1895) (cf.) - Coreidae

in Coreidae


Dati di raccolta: 4.I.1991 - TANZANIA, REPUBBLICA UNITA DI - EE, Ngoro Ngoro crater

Chalybion

6

1506

07/04/2014, 0:40

Chalybion Vedi ultimo messaggio

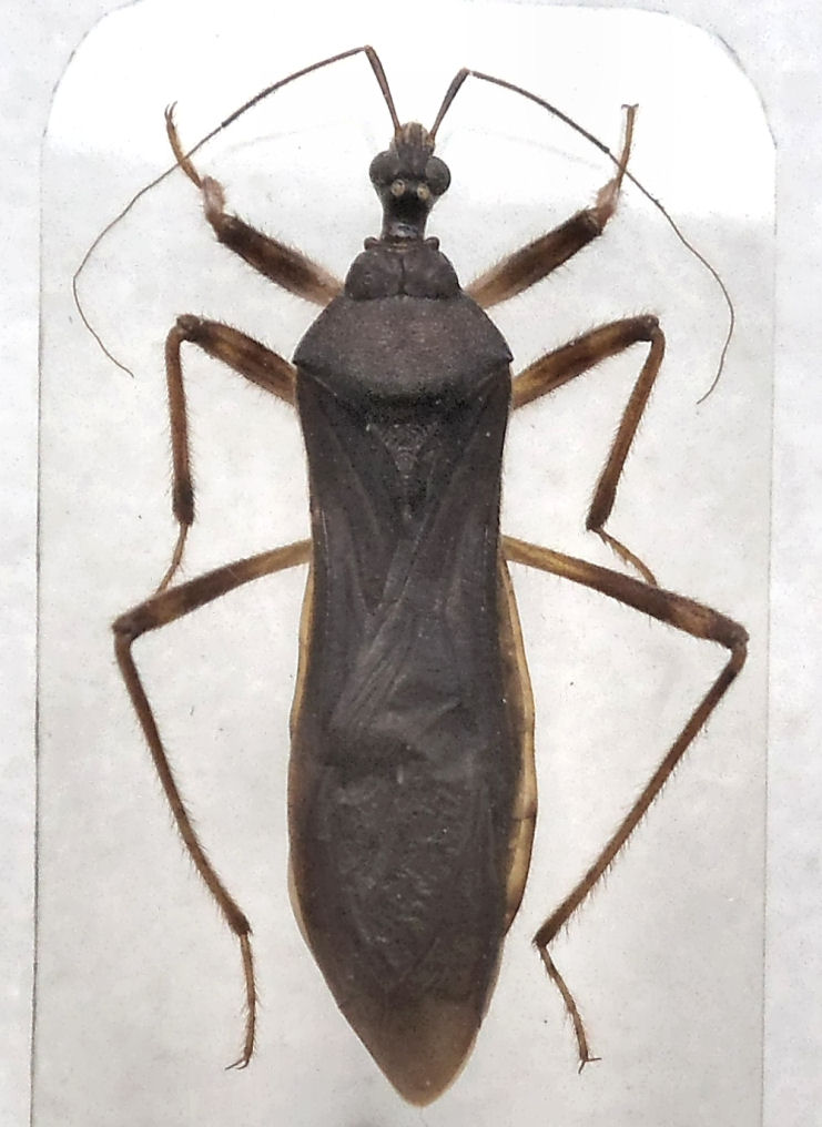
Reduviide sp.
7.I.1991 - TANZANIA, REPUBBLICA UNITA DI - EE, Serengeti, Seronera lodge
Allegato(i)
Reduviide sp.

in Reduviidae


Dati di raccolta: 7.I.1991 - TANZANIA, REPUBBLICA UNITA DI - EE, Serengeti, Seronera lodge

Chalybion

0

611

24/03/2014, 10:01

Chalybion Vedi ultimo messaggio


Inserisci un link per questa ricerca

Inserisci un link per questa ricerca URL
BBCode
HTML
Vai a: