Benvenuto Ospite

Forum Entomologi Italiani

www.entomologiitaliani.net/forum
 
Oggi è 08/10/2025, 5:55

Tutti gli orari sono UTC + 1 ora [ ora legale ]

Filtro località

Filtro località

In questo pannello è possibile effettuare delle ricerche mirate in base alle località inserite nel forum.

Statistiche

Statistiche
In totale ci sono 89474 taxa:
- 85577 taxa con dati completi
- 2722 taxa con dati parziali, riconducibili ad un paese
- 1175 taxa con dati incompleti


escludi dalla ricerca i subforum
Distribuzione in Europa
Distribuzione in Italia
Filtro applicato: ZAMBIA

Pagina 1 di 1 [ 5 messaggi ]

# A B C D E F G H I J K L M N O P Q R S T U V W X Y Z
 Argomenti   Autore   Risposte   Visite    Ultimo messaggio 
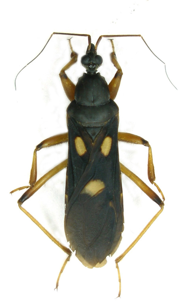
Ectomocoris cruciger (Fabricius, 1803) - Reduviidae - Zambia
14.XII.2008 - ZAMBIA - EE, Zambia, Western Province: 18 km W Kaoma, 1167m, 7/14.XII.2008
Allegato(i)
Ectomocoris cruciger (Fabricius, 1803) - Reduviidae - Zambia

in Reduviidae


Dati di raccolta: 14.XII.2008 - ZAMBIA - EE, Zambia, Western Province: 18 km W Kaoma, 1167m, 7/14.XII.2008

Isotomus

5

1878

26/04/2011, 17:40

Isotomus Vedi ultimo messaggio

Ectomocoris maculicrus (Fairmaire, 1858) - Reduviidae - Zambia
14.XII.2008 - ZAMBIA - EE, Zambia, Western Province: 18 km W Kaoma, 1167m, 7/14.XII.2008
Allegato(i)
Ectomocoris maculicrus (Fairmaire, 1858) - Reduviidae - Zambia

in Reduviidae


Dati di raccolta: 14.XII.2008 - ZAMBIA - EE, Zambia, Western Province: 18 km W Kaoma, 1167m, 7/14.XII.2008

Isotomus

5

1215

26/04/2011, 17:42

Isotomus Vedi ultimo messaggio

Lestomerus spinipes (Serville, 1831) - Reduviidae - Zambia
14.XII.2008 - ZAMBIA - EE, Zambia, Western Province: 18 km W Kaoma, 1167m, 7/14.XII.2008
Allegato(i)
Lestomerus spinipes (Serville, 1831) - Reduviidae - Zambia

in Reduviidae


Dati di raccolta: 14.XII.2008 - ZAMBIA - EE, Zambia, Western Province: 18 km W Kaoma, 1167m, 7/14.XII.2008

Isotomus

3

923

26/04/2011, 18:32

Isotomus Vedi ultimo messaggio

Lethocerus fakir (Gistel, 1848) - Belostomatidae - Zambia
14.XII.2008 - ZAMBIA - EE, Zambia, Western Province: 18 km W Kaoma, 1167m, 7/14.XII.2008
Allegato(i)
Lethocerus fakir (Gistel, 1848) - Belostomatidae - Zambia

in Belostomatidae


Dati di raccolta: 14.XII.2008 - ZAMBIA - EE, Zambia, Western Province: 18 km W Kaoma, 1167m, 7/14.XII.2008

Isotomus

6

1831

21/03/2011, 17:13

Isotomus Vedi ultimo messaggio

Stenozygum alienatum (Fabricius, 1803) - Pentatomidae Strachiini
14.XII.2008 - ZAMBIA - EE, Zambia, Western Province: 18 km W Kaoma, 1167m, 7/14.XII.2008
Allegato(i)
Stenozygum alienatum (Fabricius, 1803) - Pentatomidae Strachiini

in Pentatomidae


Dati di raccolta: 14.XII.2008 - ZAMBIA - EE, Zambia, Western Province: 18 km W Kaoma, 1167m, 7/14.XII.2008

Isotomus

4

1289

20/03/2011, 20:33

eremicus Vedi ultimo messaggio


Inserisci un link per questa ricerca

Inserisci un link per questa ricerca URL
BBCode
HTML
Vai a: