Benvenuto Ospite

Forum Entomologi Italiani

www.entomologiitaliani.net/forum
 
Oggi è 08/10/2025, 12:59

Tutti gli orari sono UTC + 1 ora [ ora legale ]

Filtro località

Filtro località

In questo pannello è possibile effettuare delle ricerche mirate in base alle località inserite nel forum.

Statistiche

Statistiche
In totale ci sono 89476 taxa:
- 85579 taxa con dati completi
- 2722 taxa con dati parziali, riconducibili ad un paese
- 1175 taxa con dati incompleti


escludi dalla ricerca i subforum
Distribuzione in Europa
Distribuzione in Italia
Filtro applicato: INDONESIA - OVEST

Pagina 1 di 2 [ 17 messaggi ]

# A B C D E F G H I J K L M N O P Q R S T U V W X Y Z
 Argomenti   Autore   Risposte   Visite    Ultimo messaggio 
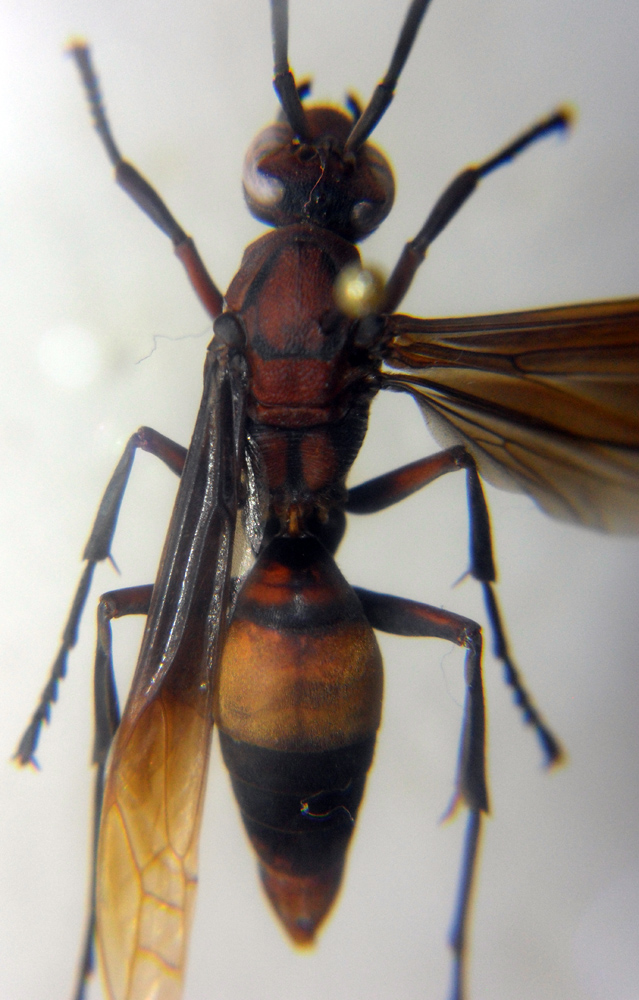
Delta campaniforme (Fabricius, 1775) - Vespidae Eumeninae Eumenini
IV.2011 - INDONESIA - OVEST - EE, Java, leg. raccoglitore sconosciuto
Allegato(i)
Delta campaniforme (Fabricius, 1775) - Vespidae Eumeninae Eumenini

in Vespidae


Dati di raccolta: IV.2011 - INDONESIA - OVEST - EE, Java, leg. raccoglitore sconosciuto

Andricus

0

692

13/01/2013, 21:22

Andricus Vedi ultimo messaggio

Delta pyriforme circinale (Fabricius, 1804) - Vespidae Eumeninae Eumenini
V.2013 - INDONESIA - OVEST - EE, Java, Argapura, leg. raccoglitore locale
Allegato(i)
Delta pyriforme circinale (Fabricius, 1804) - Vespidae Eumeninae Eumenini

in Vespidae


Dati di raccolta: V.2013 - INDONESIA - OVEST - EE, Java, Argapura, leg. raccoglitore locale

Andricus

0

893

14/01/2015, 21:42

Andricus Vedi ultimo messaggio

Delta pyriforme malayanum (Giordani Soika, 1958) - Vespidae Eumeninae Eumenini
III.1973 - INDONESIA - OVEST - EE, Sabah, Tuaran, leg. K.M. Guichard
Allegato(i)
Delta pyriforme malayanum (Giordani Soika, 1958) - Vespidae Eumeninae Eumenini

in Vespidae


Dati di raccolta: III.1973 - INDONESIA - OVEST - EE, Sabah, Tuaran, leg. K.M. Guichard

Andricus

0

759

15/06/2017, 16:48

Andricus Vedi ultimo messaggio

Euaspis diversicarinata Pasteels, 1980 - Megachilidae
15.I.2019 - INDONESIA - OVEST - EE, Kalimantan Barat Pr. |SW Kalimantan, 1000-1500 m Singkawang region | MT. BAWANG
Allegato(i)
Euaspis diversicarinata Pasteels, 1980 - Megachilidae

in Megachilidae


Dati di raccolta: 15.I.2019 - INDONESIA - OVEST - EE, Kalimantan Barat Pr. |SW Kalimantan, 1000-1500 m Singkawang region | MT. BAWANG

RicPan

5

655

05/04/2023, 23:09

Andricus Vedi ultimo messaggio

Phimenes flavopictus kalimantenus (van der Vecht, 1959) - Vespidae Eumeninae Eumenini
8.V.1973 - INDONESIA - OVEST - EE, Sabah, Poring Springs, 1600 ft., Leg. K.M. Guichard, collezione Antonio Giordani Soika (MSNVE)
Allegato(i)
Phimenes flavopictus kalimantenus (van der Vecht, 1959) - Vespidae Eumeninae Eumenini

in Vespidae


Dati di raccolta: 8.V.1973 - INDONESIA - OVEST - EE, Sabah, Poring Springs, 1600 ft., Leg. K.M. Guichard, collezione Antonio Giordani Soika (MSNVE)

Andricus

0

671

30/04/2016, 16:27

Andricus Vedi ultimo messaggio

Polistes (Gyrostoma) tenebricosus Lepeletier, 1836 - Vespidae Polistinae Polistini
III.2012 - INDONESIA - OVEST - EE, West Bali, leg. raccoglitore sconosciuto
Allegato(i)
Polistes (Gyrostoma) tenebricosus Lepeletier, 1836 - Vespidae Polistinae Polistini

in Vespidae


Dati di raccolta: III.2012 - INDONESIA - OVEST - EE, West Bali, leg. raccoglitore sconosciuto

Andricus

3

1077

14/01/2013, 14:50

Andricus Vedi ultimo messaggio

Polistes (Polistella) sagittarius Saussure, 1853 - Vespidae Polistinae Polistini
II.2013 - INDONESIA - OVEST - EE, Borneo, Kalimantan, Mt. Bawang, Leg. raccoglitore locale
Allegato(i)
Polistes (Polistella) sagittarius Saussure, 1853 - Vespidae Polistinae Polistini

in Vespidae


Dati di raccolta: II.2013 - INDONESIA - OVEST - EE, Borneo, Kalimantan, Mt. Bawang, Leg. raccoglitore locale

Andricus

1

1043

20/02/2015, 23:06

Andricus Vedi ultimo messaggio

Polybioides raphigastra (Saussure, 1854) - Vespidae Polistinae Ropalidiini
19.XI.2015 - INDONESIA - OVEST - EE, Sumatra, Maninjau Lake, 0° 16’ 30.73” S 100° 13’ 57.96” E
Allegato(i)
Polybioides raphigastra (Saussure, 1854) - Vespidae Polistinae Ropalidiini

in Vespidae


Dati di raccolta: 19.XI.2015 - INDONESIA - OVEST - EE, Sumatra, Maninjau Lake, 0° 16’ 30.73” S 100° 13’ 57.96” E

Andricus

0

489

18/02/2016, 22:02

Andricus Vedi ultimo messaggio

Polyrhachis abdominalis Smith, 1858 - Formicidae
XI.2007 - INDONESIA - OVEST - EE, Bali – Ubud – dintorni di Ubud – m 230
Allegato(i)
Polyrhachis abdominalis Smith, 1858 - Formicidae

in Formicidae


Dati di raccolta: XI.2007 - INDONESIA - OVEST - EE, Bali – Ubud – dintorni di Ubud – m 230

ruzzpa

5

1727

09/12/2015, 21:51

VincenzoGentile Vedi ultimo messaggio

Rhynchium bathyxanthum van der Vecht, 1963 - Vespidae Eumeninae Odynerini
V.1925 - INDONESIA - OVEST - EE, W-Sumba, Kananggar, 700m, leg. Dammerman, coll. Antonio Giordani Soika (MSNVE)
Allegato(i)
Rhynchium bathyxanthum van der Vecht, 1963 - Vespidae Eumeninae Odynerini

in Vespidae


Dati di raccolta: V.1925 - INDONESIA - OVEST - EE, W-Sumba, Kananggar, 700m, leg. Dammerman, coll. Antonio Giordani Soika (MSNVE)

Andricus

0

379

19/10/2015, 11:21

Andricus Vedi ultimo messaggio

Rhynchium haemorrhoidale haemorrhoidale (Fabricius, 1775) - Vespidae Eumeninae Odynerini
I.2014 - INDONESIA - OVEST - EE, Java, Argapura, leg. raccoglitore locale
Allegato(i)
Rhynchium haemorrhoidale haemorrhoidale (Fabricius, 1775) - Vespidae Eumeninae Odynerini

in Vespidae


Dati di raccolta: I.2014 - INDONESIA - OVEST - EE, Java, Argapura, leg. raccoglitore locale

Andricus

0

614

16/02/2015, 17:05

Andricus Vedi ultimo messaggio

Ropalidia artifex artifex (de Saussure, 1854) - Vespidae Polistinae Ropalidiini
1897 - INDONESIA - OVEST - EE, Ostjava, Lawang, Leg. Fruhstorfer, collezione Antonio Giordani Soika (MSNVE)
Allegato(i)
Ropalidia artifex artifex (de Saussure, 1854) - Vespidae Polistinae Ropalidiini

in Vespidae


Dati di raccolta: 1897 - INDONESIA - OVEST - EE, Ostjava, Lawang, Leg. Fruhstorfer, collezione Antonio Giordani Soika (MSNVE)

Andricus

0

513

23/08/2016, 17:08

Andricus Vedi ultimo messaggio

Ropalidia rufoplagiata (Cameron, 1905) - Vespidae Polistinae Ropalidiini
INDONESIA - OVEST - EE, Java or., Pasoeroean, collezione Antonio Giordani Soika (MSNVE)
Allegato(i)
Ropalidia rufoplagiata (Cameron, 1905) - Vespidae Polistinae Ropalidiini

in Vespidae


Dati di raccolta: INDONESIA - OVEST - EE, Java or., Pasoeroean, collezione Antonio Giordani Soika (MSNVE)

Andricus

0

675

29/04/2016, 16:27

Andricus Vedi ultimo messaggio

Ropalidia sumatrae (Weber, 1801) - Vespidae Polistinae Ropalidiini
22.II.2012 - INDONESIA - OVEST - EE, Sumatra, 22km SE Padang, Nagari Sungai Pinang, leg. V. Gromenko
Allegato(i)
Ropalidia sumatrae (Weber, 1801) - Vespidae Polistinae Ropalidiini

in Vespidae


Dati di raccolta: 22.II.2012 - INDONESIA - OVEST - EE, Sumatra, 22km SE Padang, Nagari Sungai Pinang, leg. V. Gromenko

Andricus

0

390

09/11/2015, 21:51

Andricus Vedi ultimo messaggio

Thyreus ceylonucus lilacinus (Cockerell, 1919) - Apidae
13.III.2015 - INDONESIA - OVEST - EE, West Sumatra, Mt. Sangull, 1250-1400m s.l.m.
Allegato(i)
Thyreus ceylonucus lilacinus (Cockerell, 1919) - Apidae

in Apidae


Dati di raccolta: 13.III.2015 - INDONESIA - OVEST - EE, West Sumatra, Mt. Sangull, 1250-1400m s.l.m.

Mattia D'Amato

0

1055

04/02/2020, 21:18

Mattia D'Amato Vedi ultimo messaggio



Inserisci un link per questa ricerca

Inserisci un link per questa ricerca URL
BBCode
HTML
Vai a: