Benvenuto Ospite

Forum Entomologi Italiani

www.entomologiitaliani.net/forum
 
Oggi è 08/10/2025, 6:00

Tutti gli orari sono UTC + 1 ora [ ora legale ]

Filtro località

Filtro località

In questo pannello è possibile effettuare delle ricerche mirate in base alle località inserite nel forum.

Statistiche

Statistiche
In totale ci sono 89474 taxa:
- 85577 taxa con dati completi
- 2722 taxa con dati parziali, riconducibili ad un paese
- 1175 taxa con dati incompleti


escludi dalla ricerca i subforum
Distribuzione in Europa
Distribuzione in Italia
Filtro applicato: ITALIA - Marche

Pagina 1 di 22 [ 322 messaggi ]

# A B C D E F G H I J K L M N O P Q R S T U V W X Y Z
 Argomenti   Autore   Risposte   Visite    Ultimo messaggio 
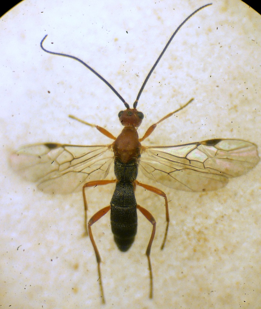
Acroricnus seductor (Scopoli, 1786) - Ichneumonidae
28.VII.2016 - ITALIA - Marche - AN, portonovo
Allegato(i)
Acroricnus seductor (Scopoli, 1786) - Ichneumonidae

in Ichneumonidae


Dati di raccolta: 28.VII.2016 - ITALIA - Marche - AN, portonovo

emmebix

4

1679

16/07/2017, 21:32

emmebix Vedi ultimo messaggio

Aleiodes sp. - Braconidae (cf.)
21.VII.2018 - ITALIA - Marche - AN, Agugliano
Allegato(i)
Aleiodes sp. - Braconidae (cf.)

in Braconidae


Dati di raccolta: 21.VII.2018 - ITALIA - Marche - AN, Agugliano

mbondini

3

1317

27/04/2020, 22:13

Davide Dal Pos Vedi ultimo messaggio

Aleiodes sp. (cf.) - Braconidae
1.VIII.2011 - ITALIA - Marche - PU, Pesaro Collina Baratoff
Allegato(i)
Aleiodes sp. (cf.) - Braconidae

in Braconidae


Dati di raccolta: 1.VIII.2011 - ITALIA - Marche - PU, Pesaro Collina Baratoff

marco paglialunga

3

1148

03/10/2011, 20:41

FORBIX Vedi ultimo messaggio

Aleiodes sp.? Braconidae Rogadinae Förster,1862
25.V.2011 - ITALIA - Marche - PU, Pesaro, Collina Baratoff
Allegato(i)
Aleiodes sp.? Braconidae Rogadinae Förster,1862

in Braconidae


Dati di raccolta: 25.V.2011 - ITALIA - Marche - PU, Pesaro, Collina Baratoff

marco paglialunga

0

626

27/05/2011, 10:02

marco paglialunga Vedi ultimo messaggio

Allodynerus floricola (Saussure, 1853) -
20.VIII.2012 - ITALIA - Marche - AN, Polverigi
Allegato(i) Dettagli della specie
Allodynerus floricola (Saussure, 1853) - Vespidae

in Vespidae


Dati di raccolta: 20.VIII.2012 - ITALIA - Marche - AN, Polverigi

mbondini

2

480

04/09/2022, 14:18

mbondini Vedi ultimo messaggio

Allodynerus floricola (Saussure, 1853) - Vespidae
16.VII.2020 - ITALIA - Marche - AN, Agugliano
Allegato(i) Dettagli della specie
Allodynerus floricola (Saussure, 1853) - Vespidae

in Vespidae


Dati di raccolta: 16.VII.2020 - ITALIA - Marche - AN, Agugliano

mbondini

2

541

10/08/2022, 12:00

mbondini Vedi ultimo messaggio

Allodynerus floricola (Saussure, 1853) - Vespidae
20.VIII.2012 - ITALIA - Marche - AN, Polverigi
Allegato(i) Dettagli della specie
Allodynerus floricola (Saussure, 1853) - Vespidae

in Vespidae


Dati di raccolta: 20.VIII.2012 - ITALIA - Marche - AN, Polverigi

mbondini

4

580

04/09/2022, 14:23

mbondini Vedi ultimo messaggio

Amegilla albigena (Lepeletier, 1841) - Apidae ♂
7.VIII.2013 - ITALIA - Marche - PU, Colle Ardizio, Pesaro
Allegato(i)
Amegilla albigena (Lepeletier, 1841) - Apidae ♂

in Apidae


Dati di raccolta: 7.VIII.2013 - ITALIA - Marche - PU, Colle Ardizio, Pesaro

marco paglialunga

1

735

02/09/2013, 18:49

Pietro Niolu Vedi ultimo messaggio

Amegilla sp. - Apidae Apinae Anthophorini
11.IX.2024 - ITALIA - Marche - PU, Fano
Allegato(i)
Amegilla sp. - Apidae Apinae Anthophorini

in Apidae indeterminati


Dati di raccolta: 11.IX.2024 - ITALIA - Marche - PU, Fano

plumipes

6

511

13/09/2024, 10:15

plumipes Vedi ultimo messaggio

Ammophila sabulosa (Linnaeus, 1758) - Sphecidae Sphecinae Ammophilini
14.X.2022 - ITALIA - Marche - AN, Osimo, F. Musone
Allegato(i)
Ammophila sabulosa (Linnaeus, 1758) - Sphecidae Sphecinae Ammophilini

in Sphecidae


Dati di raccolta: 14.X.2022 - ITALIA - Marche - AN, Osimo, F. Musone

dorbodervus

2

453

31/10/2022, 9:03

dorbodervus Vedi ultimo messaggio

Ancistrocerus auctus (Fabricius, 1793) - Vespidae
7.V.2022 - ITALIA - Marche - AN, Agugliano
Allegato(i) Dettagli della specie
Ancistrocerus auctus (Fabricius, 1793) - Vespidae

in Vespidae


Dati di raccolta: 7.V.2022 - ITALIA - Marche - AN, Agugliano

mbondini

2

443

26/06/2022, 15:29

mbondini Vedi ultimo messaggio

Ancistrocerus gazella (Panzer, 1798) cf. - Vespidae
10.X.2022 - ITALIA - Marche - PU, Fano
Allegato(i) Dettagli della specie
Ancistrocerus gazella (Panzer, 1798) - Vespidae cf.

in Vespidae


Dati di raccolta: 10.X.2022 - ITALIA - Marche - PU, Fano

plumipes

2

570

21/10/2022, 1:12

TheWings Vedi ultimo messaggio

Ancistrocerus longispinosus longispinosus (de Saussure, 1855) - Vespidae
17.II.2019 - ITALIA - Marche - AN, Agugliano
Allegato(i) Dettagli della specie
Ancistrocerus longispinosus longispinosus (de Saussure, 1855) - Vespidae

in Vespidae


Dati di raccolta: 17.II.2019 - ITALIA - Marche - AN, Agugliano

mbondini

2

446

09/05/2022, 19:49

mbondini Vedi ultimo messaggio

Ancistrocerus sp. - Vespidae
31.VII.2022 - ITALIA - Marche - PU, Fano
Allegato(i)
Ancistrocerus sp. - Vespidae

in Vespidae indeterminati


Dati di raccolta: 31.VII.2022 - ITALIA - Marche - PU, Fano

plumipes

5

780

04/08/2022, 18:01

plumipes Vedi ultimo messaggio

Ancistrocerus sp. - Vespidae
25.VIII.2022 - ITALIA - Marche - AN, Agugliano
Allegato(i)
Ancistrocerus sp. - Vespidae

in Vespidae indeterminati


Dati di raccolta: 25.VIII.2022 - ITALIA - Marche - AN, Agugliano

mbondini

2

502

26/08/2022, 9:26

mbondini Vedi ultimo messaggio



Inserisci un link per questa ricerca

Inserisci un link per questa ricerca URL
BBCode
HTML
Vai a: