Benvenuto Ospite

Forum Entomologi Italiani

www.entomologiitaliani.net/forum
 
Oggi è 08/10/2025, 6:00

Tutti gli orari sono UTC + 1 ora [ ora legale ]

Filtro località

Filtro località

In questo pannello è possibile effettuare delle ricerche mirate in base alle località inserite nel forum.

Statistiche

Statistiche
In totale ci sono 89474 taxa:
- 85577 taxa con dati completi
- 2722 taxa con dati parziali, riconducibili ad un paese
- 1175 taxa con dati incompleti


escludi dalla ricerca i subforum
Distribuzione in Europa
Distribuzione in Italia
Filtro applicato: PORTO RICO

Pagina 1 di 1 [ 3 messaggi ]

# A B C D E F G H I J K L M N O P Q R S T U V W X Y Z
 Argomenti   Autore   Risposte   Visite    Ultimo messaggio 
Cerambycidae Prioninae Solenopterini # 2 - Puerto Rico
20.V.1985 - PORTO RICO - EE, San Sebastian
Allegato(i)
Cerambycidae Prioninae Solenopterini # 2 - Puerto Rico

in Cerambycidae


Dati di raccolta: 20.V.1985 - PORTO RICO - EE, San Sebastian

Julodis

5

2307

21/11/2010, 12:27

Julodis Vedi ultimo messaggio

Cerambycidae Prioninae Solenopterini # 3 - Puerto Rico
III.1985 - PORTO RICO - EE, San Sebastian, Bo. Hato Arriba
Allegato(i)
Cerambycidae Prioninae Solenopterini # 3 - Puerto Rico

in Cerambycidae


Dati di raccolta: III.1985 - PORTO RICO - EE, San Sebastian, Bo. Hato Arriba

Julodis

0

1015

23/11/2010, 0:30

Julodis Vedi ultimo messaggio

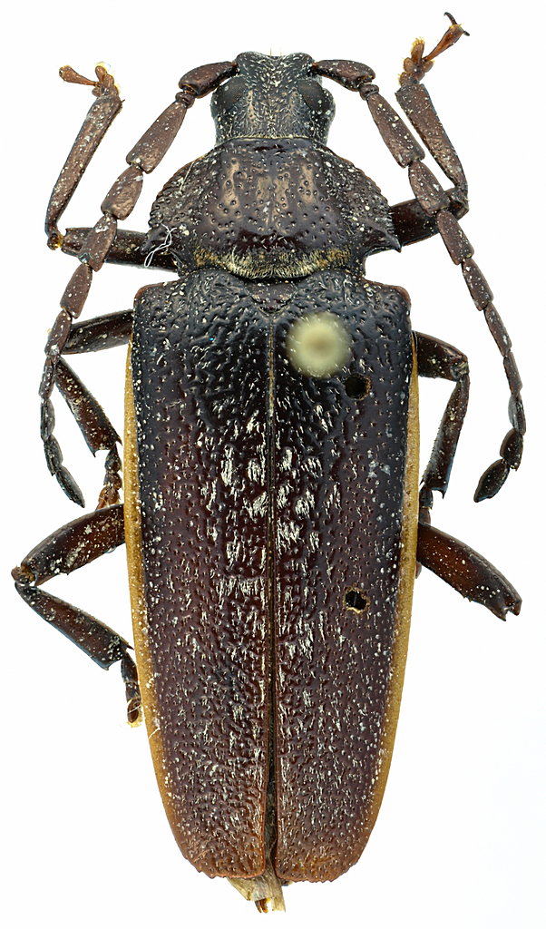
Prosternodes (cf.) - Cerambycidae Prioninae Solenopterini - Puerto Rico
10.III.1983 - PORTO RICO - EE, Puerto Rico, San Sebastian
Allegato(i)
Prosternodes (cf.) - Cerambycidae Prioninae Solenopterini - Puerto Rico

in Cerambycidae


Dati di raccolta: 10.III.1983 - PORTO RICO - EE, Puerto Rico, San Sebastian

Julodis

4

1743

06/11/2010, 19:15

Julodis Vedi ultimo messaggio


Inserisci un link per questa ricerca

Inserisci un link per questa ricerca URL
BBCode
HTML
Vai a: