Benvenuto Ospite

Forum Entomologi Italiani

www.entomologiitaliani.net/forum
 
Oggi è 11/11/2025, 13:34

Tutti gli orari sono UTC + 1 ora [ ora legale ]

Filtro località

Filtro località

In questo pannello è possibile effettuare delle ricerche mirate in base alle località inserite nel forum.

Statistiche

Statistiche
In totale ci sono 89611 taxa:
- 85703 taxa con dati completi
- 2729 taxa con dati parziali, riconducibili ad un paese
- 1179 taxa con dati incompleti


escludi dalla ricerca i subforum
Distribuzione in Europa
Distribuzione in Italia
Filtro applicato: ITALIA - Emilia-Romagna

Pagina 1 di 1 [ 4 messaggi ]

# A B C D E F G H I J K L M N O P Q R S T U V W X Y Z
 Argomenti   Autore   Risposte   Visite    Ultimo messaggio 
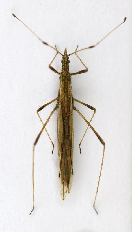
Berytinus (s. str.) hirticornis (Brullé, 1835). Sasso Marconi (BO)
15.III.2010 - ITALIA - Emilia-Romagna - BO, Sasso Marconi - Palazzo Rossi
Allegato(i)
Berytinus (s. str.) hirticornis (Brullé, 1835). Sasso Marconi (BO)

in Berytidae


Dati di raccolta: 15.III.2010 - ITALIA - Emilia-Romagna - BO, Sasso Marconi - Palazzo Rossi

Loriscola

2

2091

19/03/2010, 11:03

Loriscola Vedi ultimo messaggio

Berytinus montivagus (Meyer-Dür, 1841) Berytidae
17.III.2009 - ITALIA - Emilia-Romagna - BO, Sasso Marconi - sfalcio su prato
Allegato(i)
Berytinus montivagus (Meyer-Dür, 1841) Berytidae

in Berytidae


Dati di raccolta: 17.III.2009 - ITALIA - Emilia-Romagna - BO, Sasso Marconi - sfalcio su prato

Loriscola

3

2185

21/02/2010, 15:55

Loriscola Vedi ultimo messaggio

Gampsocoris culicinus culicinus Seidenstücker, 1948 - Berytidae
9.VIII.2012 - ITALIA - Emilia-Romagna - BO, Castel d'Aiano - mt. 950 -
Allegato(i)
Gampsocoris culicinus culicinus Seidenstücker, 1948 - Berytidae

in Berytidae


Dati di raccolta: 9.VIII.2012 - ITALIA - Emilia-Romagna - BO, Castel d'Aiano - mt. 950 -

Loriscola

4

2613

29/08/2012, 8:45

Loriscola Vedi ultimo messaggio

Metacanthus meridionalis (Costa, 1844) - Berytidae - Sasso Marconi (BO)
V.2010 - ITALIA - Emilia-Romagna - BO, Sasso Marconi - Palazzo Rossi
Allegato(i)
Metacanthus meridionalis (Costa, 1844) - Berytidae - Sasso Marconi (BO)

in Berytidae


Dati di raccolta: V.2010 - ITALIA - Emilia-Romagna - BO, Sasso Marconi - Palazzo Rossi

Loriscola

4

2559

09/06/2010, 19:37

eremicus Vedi ultimo messaggio


Inserisci un link per questa ricerca

Inserisci un link per questa ricerca URL
BBCode
HTML
Vai a: