Benvenuto Ospite

Forum Entomologi Italiani

www.entomologiitaliani.net/forum
 
Oggi è 09/10/2025, 6:04

Tutti gli orari sono UTC + 1 ora [ ora legale ]

Filtro località

Filtro località

In questo pannello è possibile effettuare delle ricerche mirate in base alle località inserite nel forum.

Statistiche

Statistiche
In totale ci sono 89477 taxa:
- 85580 taxa con dati completi
- 2722 taxa con dati parziali, riconducibili ad un paese
- 1175 taxa con dati incompleti


escludi dalla ricerca i subforum
Distribuzione in Europa
Distribuzione in Italia
Filtro applicato: ITALIA - Liguria

Pagina 1 di 10 [ 137 messaggi ]

# A B C D E F G H I J K L M N O P Q R S T U V W X Y Z
 Argomenti   Autore   Risposte   Visite    Ultimo messaggio 
Anthomyia sp. - Anthomyiidae
27.VII.2017 - ITALIA - Liguria - GE, Pontedecimo
Allegato(i)
Anthomyia sp. - Anthomyiidae

in Anthomyiidae


Dati di raccolta: 27.VII.2017 - ITALIA - Liguria - GE, Pontedecimo

Antonio Pareto

1

872

04/08/2017, 23:18

TheWings Vedi ultimo messaggio

Anthrax trifasciatus Meigen, 1804 - Bombyliidae
9.VIII.2020 - ITALIA - Liguria - GE, Ceranesi
Allegato(i)
Anthrax trifasciatus Meigen, 1804 - Bombyliidae

in Bombyliidae


Dati di raccolta: 9.VIII.2020 - ITALIA - Liguria - GE, Ceranesi

fiocchino

2

668

11/08/2020, 19:18

Pietro Niolu Vedi ultimo messaggio

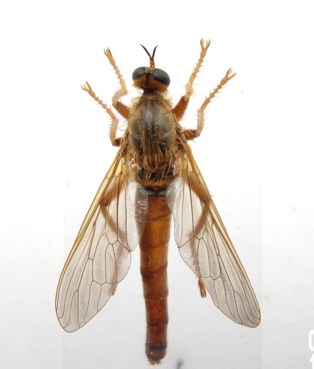
Asilidae Asilinae sp.
4.VI.2020 - ITALIA - Liguria - GE, pontedecimo val polcevera
Allegato(i)
Asilidae Asilinae sp.

in Asilidae


Dati di raccolta: 4.VI.2020 - ITALIA - Liguria - GE, pontedecimo val polcevera

Antonio Pareto

1

964

05/06/2020, 21:02

Mauro Vedi ultimo messaggio

Asilidae Asilinae sp.
1.VIII.2021 - ITALIA - Liguria - GE, Pontedecimo
Allegato(i)
Asilidae Asilinae sp.

in Asilidae


Dati di raccolta: 1.VIII.2021 - ITALIA - Liguria - GE, Pontedecimo

Antonio Pareto

1

517

01/08/2021, 21:15

Carlo Monari Vedi ultimo messaggio

Asilidae sp.
30.VI.2016 - ITALIA - Liguria - GE, MONTE FAIELLO
Allegato(i)
Asilidae sp.

in Asilidae


Dati di raccolta: 30.VI.2016 - ITALIA - Liguria - GE, MONTE FAIELLO

Antonio Pareto

2

1031

01/07/2016, 11:13

Antonio Pareto Vedi ultimo messaggio

Asilidae sp.
18.VI.2018 - ITALIA - Liguria - GE, Campomorone
Allegato(i)
Asilidae sp.

in Asilidae


Dati di raccolta: 18.VI.2018 - ITALIA - Liguria - GE, Campomorone

fiocchino

1

815

20/06/2018, 14:55

f.izzillo Vedi ultimo messaggio

Asilidae sp.
10.VII.2023 - ITALIA - Liguria - GE, Rezzoaglio
Allegato(i)
Asilidae sp.

in Asilidae


Dati di raccolta: 10.VII.2023 - ITALIA - Liguria - GE, Rezzoaglio

venturini

1

418

10/07/2023, 17:30

TheWings Vedi ultimo messaggio

Asilide sp.
5.V.2017 - ITALIA - Liguria - IM, Villatella/m. Grammondo, m 650
Allegato(i)
Asilide sp.

in Asilidae


Dati di raccolta: 5.V.2017 - ITALIA - Liguria - IM, Villatella/m. Grammondo, m 650

Chalybion

1

1160

10/11/2017, 21:35

Chalybion Vedi ultimo messaggio

Bibio sp. - Bibionidae
6.IV.2021 - ITALIA - Liguria - SV, Varazze
Allegato(i)
Bibio sp. - Bibionidae

in Bibionidae


Dati di raccolta: 6.IV.2021 - ITALIA - Liguria - SV, Varazze

SilviaP22

4

708

08/04/2021, 17:07

SilviaP22 Vedi ultimo messaggio

Bombylella atra (Scopoli, 1763) (cf.) - Bombyliidae
12.V.2018 - ITALIA - Liguria - GE, Campomorone
Allegato(i)
Bombylella atra (Scopoli, 1763) (cf.) - Bombyliidae

in Bombyliidae


Dati di raccolta: 12.V.2018 - ITALIA - Liguria - GE, Campomorone

Antonio Pareto

5

1331

15/05/2018, 8:15

Carlo Monari Vedi ultimo messaggio

Bombylius sp. - Bombyliidae
3.IV.2017 - ITALIA - Liguria - GE, paveto
Allegato(i)
Bombylius sp. - Bombyliidae

in Bombyliidae


Dati di raccolta: 3.IV.2017 - ITALIA - Liguria - GE, paveto

Antonio Pareto

3

1550

02/04/2017, 9:30

Chalybion Vedi ultimo messaggio

Brachypalpoides lentus (Meigen, 1822) ♀ - Syrphidae
17.VII.2025 - ITALIA - Liguria - GE, santo stefano d'aveto
Allegato(i)
Brachypalpoides lentus (Meigen, 1822) ♀ - Syrphidae

in Syrphidae


Dati di raccolta: 17.VII.2025 - ITALIA - Liguria - GE, santo stefano d'aveto

venturini

2

210

21/07/2025, 9:11

venturini Vedi ultimo messaggio

Calliphora sp. - Calliphoridae
2005 - ITALIA - Liguria - GE, Casanova di Rovegno:monte Arlone quota circa 1000m
Allegato(i)
Calliphora sp. - Calliphoridae

in Calliphoridae


Dati di raccolta: 2005 - ITALIA - Liguria - GE, Casanova di Rovegno:monte Arlone quota circa 1000m

nikoname

2

1050

18/03/2010, 23:38

Pietro Niolu Vedi ultimo messaggio

Calliphoridae sp.
13.VIII.2019 - ITALIA - Liguria - GE, Ceranesi Piani di Praglia
Allegato(i)
Calliphoridae sp.

in Calliphoridae


Dati di raccolta: 13.VIII.2019 - ITALIA - Liguria - GE, Ceranesi Piani di Praglia

fiocchino

1

840

20/08/2019, 15:04

TheWings Vedi ultimo messaggio

Ceratopogonidae
14.VIII.2014 - ITALIA - Liguria - GE, Genova
Allegato(i)
Ceratopogonidae

in Ceratopogonidae


Dati di raccolta: 14.VIII.2014 - ITALIA - Liguria - GE, Genova

pga

1

1496

20/08/2014, 20:31

Carlo Monari Vedi ultimo messaggio



Inserisci un link per questa ricerca

Inserisci un link per questa ricerca URL
BBCode
HTML
Vai a: