Benvenuto Ospite

Forum Entomologi Italiani

www.entomologiitaliani.net/forum
 
Oggi è 08/10/2025, 12:58

Tutti gli orari sono UTC + 1 ora [ ora legale ]

Filtro località

Filtro località

In questo pannello è possibile effettuare delle ricerche mirate in base alle località inserite nel forum.

Statistiche

Statistiche
In totale ci sono 89476 taxa:
- 85579 taxa con dati completi
- 2722 taxa con dati parziali, riconducibili ad un paese
- 1175 taxa con dati incompleti


escludi dalla ricerca i subforum
Distribuzione in Europa
Distribuzione in Italia
Filtro applicato: POLONIA

Pagina 1 di 2 [ 17 messaggi ]

# A B C D E F G H I J K L M N O P Q R S T U V W X Y Z
 Argomenti   Autore   Risposte   Visite    Ultimo messaggio 
Another green mirid
14.VIII.2015 - POLONIA - EE, Witkowice
Allegato(i)
Another green mirid

in Messaggi che non hanno avuto alcuna risposta


Dati di raccolta: 14.VIII.2015 - POLONIA - EE, Witkowice

GrzegorzG

0

293

18/11/2015, 11:38

GrzegorzG Vedi ultimo messaggio

Another Hymenoptera ?
23.V.2014 - POLONIA - EE, Soblowka
Allegato(i)
Another Hymenoptera ?

in Discussioni non ancora inserite nei forum sistematici


Dati di raccolta: 23.V.2014 - POLONIA - EE, Soblowka

GrzegorzG

1

437

10/07/2014, 14:15

elleelle Vedi ultimo messaggio

Cicadellidae - is that Acericerus vittifrons ?
29.XII.2013 - POLONIA - EE, Bielsko-Biala
Allegato(i)
Cicadellidae - is that Acericerus vittifrons ?

in Messaggi che non hanno avuto alcuna risposta


Dati di raccolta: 29.XII.2013 - POLONIA - EE, Bielsko-Biala

GrzegorzG

0

411

06/01/2014, 12:20

GrzegorzG Vedi ultimo messaggio

Cicadellidae to ID
3.IX.2013 - POLONIA - EE, Bielsko-Biala
Allegato(i)
Cicadellidae to ID

in Messaggi che non hanno avuto alcuna risposta


Dati di raccolta: 3.IX.2013 - POLONIA - EE, Bielsko-Biala

GrzegorzG

1

425

25/07/2017, 12:41

Nicarinus Vedi ultimo messaggio

Allegato(i)
Coleottero in ambra baltica

in Messaggi che non hanno avuto alcuna risposta


Dati di raccolta: POLONIA - EE

fdany

0

878

09/12/2019, 23:35

fdany Vedi ultimo messaggio

Geometridae
10.VI.2014 - POLONIA - EE, Bielsko-Biala
Allegato(i)
Geometridae

in Messaggi che non hanno avuto alcuna risposta


Dati di raccolta: 10.VI.2014 - POLONIA - EE, Bielsko-Biala

GrzegorzG

0

325

20/07/2014, 22:31

GrzegorzG Vedi ultimo messaggio

Is that Dicyphus stachydis ?
12.IV.2016 - POLONIA - EE, Bielsko-Biala
Allegato(i)
Is that Dicyphus stachydis ?

in Messaggi che non hanno avuto alcuna risposta


Dati di raccolta: 12.IV.2016 - POLONIA - EE, Bielsko-Biala

GrzegorzG

0

315

17/04/2016, 8:03

GrzegorzG Vedi ultimo messaggio

Leiodidae - Leiodes nigrita ?
14.VIII.2012 - POLONIA - EE, Karpacz WS52 50º45'N/15º43'E
Allegato(i)
Leiodidae - Leiodes nigrita ?

in Messaggi che non hanno avuto alcuna risposta


Dati di raccolta: 14.VIII.2012 - POLONIA - EE, Karpacz WS52 50º45'N/15º43'E

togaspain

0

325

19/12/2012, 22:56

togaspain Vedi ultimo messaggio

Lepidoptera to ID - nr 3
7.VII.2013 - POLONIA - EE, Bielsko-Biala
Allegato(i)
Lepidoptera to ID - nr 3

in Messaggi che non hanno avuto alcuna risposta


Dati di raccolta: 7.VII.2013 - POLONIA - EE, Bielsko-Biala

GrzegorzG

0

344

04/01/2014, 12:20

GrzegorzG Vedi ultimo messaggio

Little yellow/green bug to ID
17.VII.2015 - POLONIA - EE, Buczkowice
Allegato(i)
Little yellow/green bug to ID

in Messaggi che non hanno avuto alcuna risposta


Dati di raccolta: 17.VII.2015 - POLONIA - EE, Buczkowice

GrzegorzG

0

325

12/12/2015, 10:25

GrzegorzG Vedi ultimo messaggio

Lygocoris pabulinus ?
29.VIII.2015 - POLONIA - EE, Skała
Allegato(i)
Lygocoris pabulinus ?

in Messaggi che non hanno avuto alcuna risposta


Dati di raccolta: 29.VIII.2015 - POLONIA - EE, Skała

GrzegorzG

0

313

19/11/2015, 13:03

GrzegorzG Vedi ultimo messaggio

Plecoptera from Poland
10.IV.2013 - POLONIA - EE, Bielsko-Biała
Allegato(i)
Plecoptera from Poland

in Messaggi che non hanno avuto alcuna risposta


Dati di raccolta: 10.IV.2013 - POLONIA - EE, Bielsko-Biała

GrzegorzG

0

592

10/04/2013, 17:23

GrzegorzG Vedi ultimo messaggio

Pterophoridae to ID, from Poland
7.VII.2013 - POLONIA - EE, Bielsko-Biala
Allegato(i)
Pterophoridae to ID, from Poland

in Messaggi che non hanno avuto alcuna risposta


Dati di raccolta: 7.VII.2013 - POLONIA - EE, Bielsko-Biala

GrzegorzG

0

382

02/01/2014, 12:20

GrzegorzG Vedi ultimo messaggio

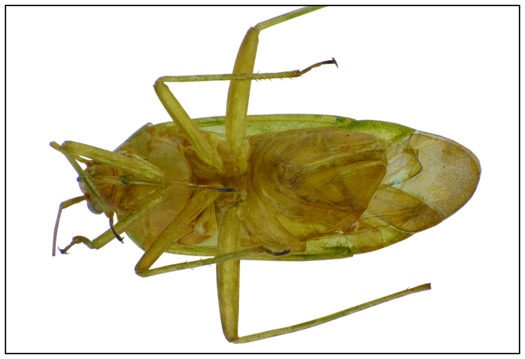
Stenodema laevigata ?
16.VIII.2015 - POLONIA - EE, Hucisko
Allegato(i)
Stenodema laevigata ?

in Messaggi che non hanno avuto alcuna risposta


Dati di raccolta: 16.VIII.2015 - POLONIA - EE, Hucisko

GrzegorzG

0

675

11/10/2015, 21:18

GrzegorzG Vedi ultimo messaggio

Water bug to ID
29.VII.2015 - POLONIA - EE, Bielsko-Biala
Allegato(i)
Water bug to ID

in Messaggi che non hanno avuto alcuna risposta


Dati di raccolta: 29.VII.2015 - POLONIA - EE, Bielsko-Biala

GrzegorzG

0

440

21/10/2015, 11:16

GrzegorzG Vedi ultimo messaggio



Inserisci un link per questa ricerca

Inserisci un link per questa ricerca URL
BBCode
HTML
Vai a: