Benvenuto Ospite

Forum Entomologi Italiani

www.entomologiitaliani.net/forum
 
Oggi è 08/10/2025, 5:57

Tutti gli orari sono UTC + 1 ora [ ora legale ]

Filtro località

Filtro località

In questo pannello è possibile effettuare delle ricerche mirate in base alle località inserite nel forum.

Statistiche

Statistiche
In totale ci sono 89474 taxa:
- 85577 taxa con dati completi
- 2722 taxa con dati parziali, riconducibili ad un paese
- 1175 taxa con dati incompleti


escludi dalla ricerca i subforum
Distribuzione in Europa
Distribuzione in Italia
Filtro applicato: VENEZUELA

Pagina 1 di 1 [ 9 messaggi ]

# A B C D E F G H I J K L M N O P Q R S T U V W X Y Z
 Argomenti   Autore   Risposte   Visite    Ultimo messaggio 
Eligmoderma sp.? venezuelano da ID.
11.V.2009 - VENEZUELA - EE, S. Juan Lagunillas, 450 m, E.do Mérida, leg. Rivalta G.
Allegato(i)
Eligmoderma sp.? venezuelano da ID.

in Messaggi che non hanno avuto alcuna risposta


Dati di raccolta: 11.V.2009 - VENEZUELA - EE, S. Juan Lagunillas, 450 m, E.do Mérida, leg. Rivalta G.

Chalybion

0

412

06/04/2014, 15:25

Chalybion Vedi ultimo messaggio

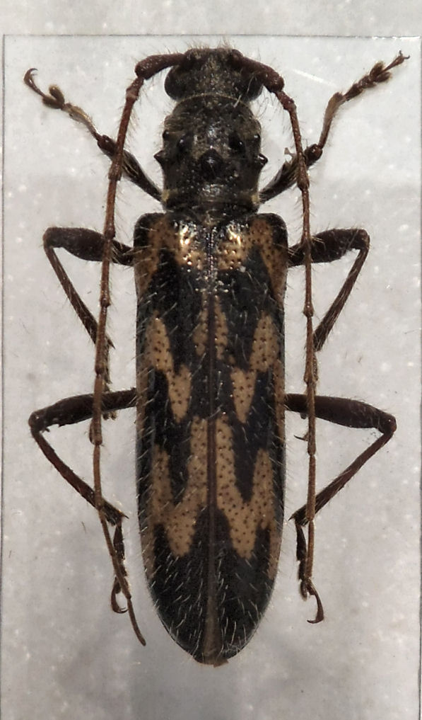
Grosso curco andino da ID
1.VIII.1995 - VENEZUELA - EE, E.do Mérida, Mérida, sopra La Mucuy, 2300 m, foresta
Allegato(i)
Grosso curco andino da ID

in Messaggi che non hanno avuto alcuna risposta


Dati di raccolta: 1.VIII.1995 - VENEZUELA - EE, E.do Mérida, Mérida, sopra La Mucuy, 2300 m, foresta

Chalybion

0

756

21/03/2014, 10:01

Chalybion Vedi ultimo messaggio

Ophiderina del Venezuela da ID
31.XII.2001 - VENEZUELA - EE, Monterrey el Valle, stato Mérida, 2400 m
Allegato(i)
Ophiderina del Venezuela da ID

in Messaggi che non hanno avuto alcuna risposta


Dati di raccolta: 31.XII.2001 - VENEZUELA - EE, Monterrey el Valle, stato Mérida, 2400 m

Chalybion

0

438

14/01/2014, 2:11

Chalybion Vedi ultimo messaggio

Ophiderina venezuelana da ID
6.I.2002 - VENEZUELA - EE, Aragua, Rancho Grande, PN H.Pittier
Allegato(i)
Ophiderina venezuelana da ID

in Messaggi che non hanno avuto alcuna risposta


Dati di raccolta: 6.I.2002 - VENEZUELA - EE, Aragua, Rancho Grande, PN H.Pittier

Chalybion

0

345

14/01/2014, 2:04

Chalybion Vedi ultimo messaggio

Opilionide Venezuela
6.I.2002 - VENEZUELA - EE, Rancho Grande, ARAGUA
Allegato(i)
Opilionide Venezuela

in Messaggi che non hanno avuto alcuna risposta


Dati di raccolta: 6.I.2002 - VENEZUELA - EE, Rancho Grande, ARAGUA

Chalybion

0

432

04/01/2014, 21:03

Chalybion Vedi ultimo messaggio

scarabeoidae
VII.1994 - VENEZUELA - EE, Choroni Aragua
Allegato(i)
scarabeoidae

in Messaggi che non hanno avuto alcuna risposta


Dati di raccolta: VII.1994 - VENEZUELA - EE, Choroni Aragua

tala

0

669

03/04/2013, 17:04

tala Vedi ultimo messaggio

Strymon ? venezuelana da ID
31.XII.2001 - VENEZUELA - EE, E.do Mérida, La Mucuy, 1900 m
Allegato(i)
Strymon ? venezuelana da ID

in Discussioni non ancora inserite nei forum sistematici


Dati di raccolta: 31.XII.2001 - VENEZUELA - EE, E.do Mérida, La Mucuy, 1900 m

Chalybion

3

969

20/02/2014, 20:35

Chalybion Vedi ultimo messaggio

Tegosa sp. da ID
28.XII.2001 - VENEZUELA - EE, e.do Aragua, El Limòn (Maracay), m 550.
Allegato(i)
Tegosa sp. da ID

in Messaggi che non hanno avuto alcuna risposta


Dati di raccolta: 28.XII.2001 - VENEZUELA - EE, e.do Aragua, El Limòn (Maracay), m 550.

Chalybion

0

626

28/03/2014, 10:01

Chalybion Vedi ultimo messaggio

Tethystola sp.? venezuelano da ID.
30.XII.2001 - VENEZUELA - EE, E.do Mérida, dint. di S.Cruz de Mora, 2300 m
Allegato(i)
Tethystola sp.? venezuelano da ID.

in Messaggi che non hanno avuto alcuna risposta


Dati di raccolta: 30.XII.2001 - VENEZUELA - EE, E.do Mérida, dint. di S.Cruz de Mora, 2300 m

Chalybion

0

363

06/04/2014, 15:25

Chalybion Vedi ultimo messaggio


Inserisci un link per questa ricerca

Inserisci un link per questa ricerca URL
BBCode
HTML
Vai a: