Benvenuto Ospite

Forum Entomologi Italiani

www.entomologiitaliani.net/forum
 
Oggi è 22/10/2025, 1:19

Tutti gli orari sono UTC + 1 ora [ ora legale ]

Filtro località

Filtro località

In questo pannello è possibile effettuare delle ricerche mirate in base alle località inserite nel forum.

Statistiche

Statistiche
In totale ci sono 89530 taxa:
- 85631 taxa con dati completi
- 2724 taxa con dati parziali, riconducibili ad un paese
- 1175 taxa con dati incompleti


escludi dalla ricerca i subforum
Distribuzione in Europa
Distribuzione in Italia
Filtro applicato: ITALIA - Emilia-Romagna

Pagina 1 di 2 [ 19 messaggi ]

# A B C D E F G H I J K L M N O P Q R S T U V W X Y Z
 Argomenti   Autore   Risposte   Visite    Ultimo messaggio 
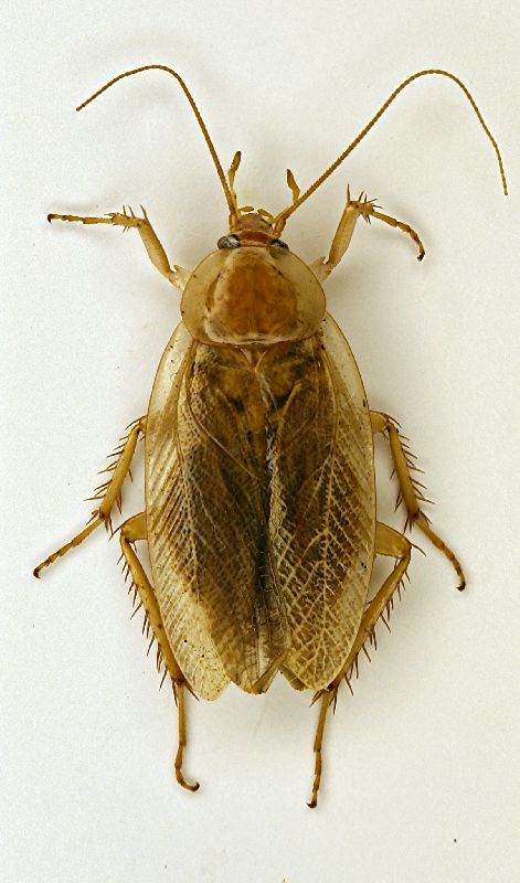
Blatta orientalis Linnaeus, 1758 - Blattidae
15.IV.2019 - ITALIA - Emilia-Romagna - RE, Reggio Emilia
Allegato(i)
Blatta orientalis Linnaeus, 1758 - Blattidae

in Blattaria


Dati di raccolta: 15.IV.2019 - ITALIA - Emilia-Romagna - RE, Reggio Emilia

paolofon

1

910

14/11/2021, 18:50

Livio Vedi ultimo messaggio

Blattella germanica (Linnaeus, 1767) - Blattellidae
20.XI.2012 - ITALIA - Emilia-Romagna - FE, Ferrara
Allegato(i)
Blattella germanica (Linnaeus, 1767) - Blattellidae

in Blattaria


Dati di raccolta: 20.XI.2012 - ITALIA - Emilia-Romagna - FE, Ferrara

Francy_medical_student

12

11177

26/11/2012, 20:42

Livio Vedi ultimo messaggio

Ectobius (Ectobius) vittiventris (Costa, 1847) (cf.) - Blattellidae Ectobinae
5.VII.2014 - ITALIA - Emilia-Romagna - RE, Fosso del Faieto (RE)
Allegato(i)
Ectobius (Ectobius) vittiventris (Costa, 1847) (cf.) - Blattellidae Ectobinae

in Blattaria


Dati di raccolta: 5.VII.2014 - ITALIA - Emilia-Romagna - RE, Fosso del Faieto (RE)

paolofon

3

1647

30/09/2014, 10:27

Livio Vedi ultimo messaggio

Ectobius montanus Costa, 1866 cf. - Blattodea
IX.2010 - ITALIA - Emilia-Romagna - BO, Vidiciatico
Allegato(i) Dettagli della specie
Ectobius montanus Costa, 1866 - Blattodea cf.

in Blattaria


Dati di raccolta: IX.2010 - ITALIA - Emilia-Romagna - BO, Vidiciatico

Loriscola

1

1486

13/07/2010, 14:33

Livio Vedi ultimo messaggio

Ectobius pallidus (Olivier, 1789) - Blattodea
14.V.2010 - ITALIA - Emilia-Romagna - BO, Zola Pedrosa
Allegato(i) Dettagli della specie
Ectobius pallidus (Olivier, 1789) - Blattodea

in Blattaria


Dati di raccolta: 14.V.2010 - ITALIA - Emilia-Romagna - BO, Zola Pedrosa

Loriscola

6

2092

17/05/2010, 19:30

Livio Vedi ultimo messaggio

Ectobius pallidus (Olivier, 1789) - Blattodea
7.V.2011 - ITALIA - Emilia-Romagna - RE, Montecchio Emilia
Allegato(i) Dettagli della specie
Ectobius pallidus (Olivier, 1789) - Blattodea

in Blattaria


Dati di raccolta: 7.V.2011 - ITALIA - Emilia-Romagna - RE, Montecchio Emilia

Mikiphasmide

2

1276

08/05/2011, 14:25

Mikiphasmide Vedi ultimo messaggio

Ectobius pallidus (Olivier, 1789) - Blattodea
18.V.2011 - ITALIA - Emilia-Romagna - RE, Montecchio Emilia
Allegato(i) Dettagli della specie
Ectobius pallidus (Olivier, 1789) - Blattodea

in Blattaria


Dati di raccolta: 18.V.2011 - ITALIA - Emilia-Romagna - RE, Montecchio Emilia

Mikiphasmide

2

1395

20/05/2011, 19:37

Mikiphasmide Vedi ultimo messaggio

Ectobius pallidus (Olivier, 1789) cf. - Blattodea
15.II.2010 - ITALIA - Emilia-Romagna - BO, Sasso Marconi, loc. Palazzo Rossi
Allegato(i) Dettagli della specie
Ectobius pallidus (Olivier, 1789) - Blattodea cf.

in Blattaria


Dati di raccolta: 15.II.2010 - ITALIA - Emilia-Romagna - BO, Sasso Marconi, loc. Palazzo Rossi

Loriscola

3

1206

16/02/2010, 22:08

Livio Vedi ultimo messaggio

Ectobius sp - Blattellidae Ectobiinae
20.II.2010 - ITALIA - Emilia-Romagna - BO, Sassi Marconi, loc. Palazzo Rossi
Allegato(i)
Ectobius sp - Blattellidae Ectobiinae

in Blattaria


Dati di raccolta: 20.II.2010 - ITALIA - Emilia-Romagna - BO, Sassi Marconi, loc. Palazzo Rossi

Loriscola

1

968

21/02/2010, 1:56

Livio Vedi ultimo messaggio

Ectobius sp. - Blattelidae Ectobiinae
31.VIII.2015 - ITALIA - Emilia-Romagna - MO, Fiume Panaro
Allegato(i)
Ectobius sp. - Blattelidae Ectobiinae

in Blattaria


Dati di raccolta: 31.VIII.2015 - ITALIA - Emilia-Romagna - MO, Fiume Panaro

Giadabas

7

2124

08/09/2015, 15:51

Baris99 Vedi ultimo messaggio

Ectobius sp. - Blattellidae
25.VIII.2017 - ITALIA - Emilia-Romagna - BO, san giovanni in persiceto
Allegato(i)
Ectobius sp. - Blattellidae

in Blattaria


Dati di raccolta: 25.VIII.2017 - ITALIA - Emilia-Romagna - BO, san giovanni in persiceto

emmebix

2

1634

09/11/2017, 16:15

TheWings Vedi ultimo messaggio

Ectobius sp. - Blattellidae Ectobiinae
28.IX.2012 - ITALIA - Emilia-Romagna - PR, Fornovo di Taro dint.
Allegato(i)
Ectobius sp. - Blattellidae Ectobiinae

in Blattaria


Dati di raccolta: 28.IX.2012 - ITALIA - Emilia-Romagna - PR, Fornovo di Taro dint.

Gian Luca Agnoli

2

1277

26/09/2013, 21:49

Gian Luca Agnoli Vedi ultimo messaggio

Ectobius sylvestris (Poda, 1761) - Blattodea
VII.2010 - ITALIA - Emilia-Romagna - BO, Vidiciatico
Allegato(i) Dettagli della specie
Ectobius sylvestris (Poda, 1761) - Blattodea

in Blattaria


Dati di raccolta: VII.2010 - ITALIA - Emilia-Romagna - BO, Vidiciatico

Loriscola

1

1235

13/07/2010, 14:53

Livio Vedi ultimo messaggio

Loboptera decipiens decipiens (Germar, 1817) - Blattodea
IX.2010 - ITALIA - Emilia-Romagna - RN, Centro commerciale
Allegato(i) Dettagli della specie
Loboptera decipiens decipiens (Germar, 1817) - Blattodea

in Blattaria


Dati di raccolta: IX.2010 - ITALIA - Emilia-Romagna - RN, Centro commerciale

marco paglialunga

8

2307

23/10/2010, 13:12

Plagionotus Vedi ultimo messaggio

Loboptera decipiens decipiens (Germar, 1817) - Blattodea
20.III.2011 - ITALIA - Emilia-Romagna - RE, Montecchio Emilia
Allegato(i) Dettagli della specie
Loboptera decipiens decipiens (Germar, 1817) - Blattodea

in Blattaria


Dati di raccolta: 20.III.2011 - ITALIA - Emilia-Romagna - RE, Montecchio Emilia

Mikiphasmide

7

2497

21/03/2011, 15:55

Mikiphasmide Vedi ultimo messaggio



Inserisci un link per questa ricerca

Inserisci un link per questa ricerca URL
BBCode
HTML
Vai a: