Benvenuto Ospite

Forum Entomologi Italiani

www.entomologiitaliani.net/forum
 
Oggi è 11/11/2025, 15:58

Tutti gli orari sono UTC + 1 ora [ ora legale ]

Filtro località

Filtro località

In questo pannello è possibile effettuare delle ricerche mirate in base alle località inserite nel forum.

Statistiche

Statistiche
In totale ci sono 89611 taxa:
- 85703 taxa con dati completi
- 2729 taxa con dati parziali, riconducibili ad un paese
- 1179 taxa con dati incompleti


escludi dalla ricerca i subforum
Distribuzione in Europa
Distribuzione in Italia
Filtro applicato: ITALIA - Emilia-Romagna

Pagina 1 di 2 [ 19 messaggi ]

# A B C D E F G H I J K L M N O P Q R S T U V W X Y Z
 Argomenti   Autore   Risposte   Visite    Ultimo messaggio 
Cephennium ? - Staphylinidae Scydmaeninae
13.II.2011 - ITALIA - Emilia-Romagna - BO, Sasso Marconi - Palazzo Rossi
Allegato(i)
Cephennium ? - Staphylinidae Scydmaeninae

in Staphylinidae Scydmaeninae


Dati di raccolta: 13.II.2011 - ITALIA - Emilia-Romagna - BO, Sasso Marconi - Palazzo Rossi

Loriscola

1

497

16/02/2011, 21:47

Tc70 Vedi ultimo messaggio

Cephennium sp. - Staphylinidae Scydmaeninae
19.III.2011 - ITALIA - Emilia-Romagna - BO, Monteveglio - Oliveto
Allegato(i)
Cephennium sp. - Staphylinidae Scydmaeninae

in Staphylinidae Scydmaeninae


Dati di raccolta: 19.III.2011 - ITALIA - Emilia-Romagna - BO, Monteveglio - Oliveto

Loriscola

1

505

22/03/2011, 23:27

Glaphyrus Vedi ultimo messaggio

Cephennium sp. - Staphylinidae Scydmaeninae
2.IV.2017 - ITALIA - Emilia-Romagna - RE, Canossa - loc. Votigno, rio Campola, 340 m.
Allegato(i)
Cephennium sp. - Staphylinidae Scydmaeninae

in Staphylinidae Scydmaeninae


Dati di raccolta: 2.IV.2017 - ITALIA - Emilia-Romagna - RE, Canossa - loc. Votigno, rio Campola, 340 m.

Mikiphasmide

9

2653

08/03/2018, 14:54

Mikiphasmide Vedi ultimo messaggio

Chevrolatia insignis Jacquelin du Val, 1850 - Staphylinidae Scydmaeninae
6.VI.2012 - ITALIA - Emilia-Romagna - FC, Cesenatico
Allegato(i)
Chevrolatia insignis Jacquelin du Val, 1850 - Staphylinidae Scydmaeninae

in Staphylinidae Scydmaeninae


Dati di raccolta: 6.VI.2012 - ITALIA - Emilia-Romagna - FC, Cesenatico

Loriscola

0

521

06/11/2012, 23:11

Loriscola Vedi ultimo messaggio

Euconnus (Euconnus) fimetarius (Chaudoir, 1845) - Staphylinidae Scydmaeninae
9.IV.2017 - ITALIA - Emilia-Romagna - RA, Ravenna, Bassura del Bardello
Allegato(i)
Euconnus (Euconnus) fimetarius (Chaudoir, 1845) - Staphylinidae Scydmaeninae

in Staphylinidae Scydmaeninae


Dati di raccolta: 9.IV.2017 - ITALIA - Emilia-Romagna - RA, Ravenna, Bassura del Bardello

marco villa

9

2045

12/07/2017, 17:40

marco villa Vedi ultimo messaggio

Euconnus (Euconnus) hirticollis (Illiger, 1798) - Scydmaeninae
6.VII.2017 - ITALIA - Emilia-Romagna - RA, Punte Alberete
Allegato(i)
Euconnus (Euconnus) hirticollis (Illiger, 1798) - Scydmaeninae

in Staphylinidae Scydmaeninae


Dati di raccolta: 6.VII.2017 - ITALIA - Emilia-Romagna - RA, Punte Alberete

marco villa

9

1973

12/07/2017, 10:09

marco villa Vedi ultimo messaggio

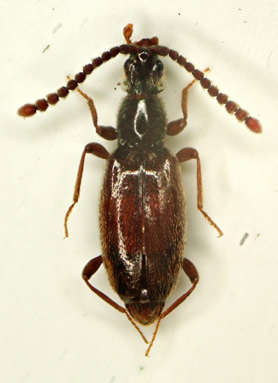
Euconnus (Psomophus) wetterhallii (Gyllenhal 1813) - Staphylinidae Scydmaeninae - Sasso Marconi (BO)
III.2010 - ITALIA - Emilia-Romagna - BO, Sasso Marconi - Palazzo Rossi
Allegato(i)
Euconnus (Psomophus) wetterhallii (Gyllenhal 1813) - Staphylinidae Scydmaeninae - Sasso Marconi (BO)

in Staphylinidae Scydmaeninae


Dati di raccolta: III.2010 - ITALIA - Emilia-Romagna - BO, Sasso Marconi - Palazzo Rossi

Loriscola

4

1155

08/04/2010, 9:23

Glaphyrus Vedi ultimo messaggio

Euconnus (Spanioconnus) wetterhalli (Gyllenhal, 1813) - Staphylinidae Scydmaeninae
9.IV.2017 - ITALIA - Emilia-Romagna - RA, Ravenna, Bassura del Bardello
Allegato(i)
Euconnus (Spanioconnus) wetterhalli (Gyllenhal, 1813) - Staphylinidae Scydmaeninae

in Staphylinidae Scydmaeninae


Dati di raccolta: 9.IV.2017 - ITALIA - Emilia-Romagna - RA, Ravenna, Bassura del Bardello

marco villa

8

1895

12/07/2017, 15:57

Julodis Vedi ultimo messaggio

Eutheia sp. - Staphylinidae Scydmaeninae
4.XII.2011 - ITALIA - Emilia-Romagna - BO, Sasso Marconi - Monte capra
Allegato(i)
Eutheia sp. - Staphylinidae Scydmaeninae

in Staphylinidae Scydmaeninae


Dati di raccolta: 4.XII.2011 - ITALIA - Emilia-Romagna - BO, Sasso Marconi - Monte capra

Loriscola

2

558

07/12/2011, 16:32

Loriscola Vedi ultimo messaggio

Larva di Cephennium sp. - Stapylinidae Scydameninae
1.XI.2013 - ITALIA - Emilia-Romagna - BO, Castel d'Aiano
Allegato(i)
Larva di Cephennium sp. - Stapylinidae Scydameninae

in Staphylinidae Scydmaeninae


Dati di raccolta: 1.XI.2013 - ITALIA - Emilia-Romagna - BO, Castel d'Aiano

Loriscola

4

1230

03/11/2013, 12:03

Loriscola Vedi ultimo messaggio

Microscydmus sp. - Staphylinidae Scydmaeninae
14.I.2012 - ITALIA - Emilia-Romagna - BO, Castel D'Aiano - mt. 900
Allegato(i)
Microscydmus sp. - Staphylinidae Scydmaeninae

in Staphylinidae Scydmaeninae


Dati di raccolta: 14.I.2012 - ITALIA - Emilia-Romagna - BO, Castel D'Aiano - mt. 900

Loriscola

12

2822

14/12/2015, 18:16

Honza Vedi ultimo messaggio

Neuraphes sp. - Staphylinidae Scydmaeninae
18.XII.2011 - ITALIA - Emilia-Romagna - BO, Castel D'Aiano - mt. 900
Allegato(i)
Neuraphes sp. - Staphylinidae Scydmaeninae

in Staphylinidae Scydmaeninae


Dati di raccolta: 18.XII.2011 - ITALIA - Emilia-Romagna - BO, Castel D'Aiano - mt. 900

Loriscola

0

515

07/01/2012, 10:56

Loriscola Vedi ultimo messaggio

Scydmaenidae da identificare - Scydmaenidae.
14.IX.2017 - ITALIA - Emilia-Romagna - RA, Bardello.
Allegato(i)
Scydmaenidae da identificare - Scydmaenidae.

in Staphylinidae Scydmaeninae


Dati di raccolta: 14.IX.2017 - ITALIA - Emilia-Romagna - RA, Bardello.

marco villa

6

1863

27/09/2017, 19:22

marco villa Vedi ultimo messaggio

Scydmaenide "al palo" - Staphylinidae Scydmaeninae
16.I.2011 - ITALIA - Emilia-Romagna - BO, Casalecchio di Reno - Tizzano
Allegato(i)
Scydmaenide "al palo" - Staphylinidae Scydmaeninae

in Staphylinidae Scydmaeninae


Dati di raccolta: 16.I.2011 - ITALIA - Emilia-Romagna - BO, Casalecchio di Reno - Tizzano

Loriscola

0

291

20/01/2011, 23:11

Loriscola Vedi ultimo messaggio

Scydmaenus cf. rufus - Staphylinidae Scydmaeninae
X.2009 - ITALIA - Emilia-Romagna - BO, Sasso Marconi - Palazzo Rossi
Allegato(i)
Scydmaenus cf. rufus - Staphylinidae Scydmaeninae

in Staphylinidae Scydmaeninae


Dati di raccolta: X.2009 - ITALIA - Emilia-Romagna - BO, Sasso Marconi - Palazzo Rossi

Loriscola

6

1488

27/01/2010, 20:47

Honza Vedi ultimo messaggio



Inserisci un link per questa ricerca

Inserisci un link per questa ricerca URL
BBCode
HTML
Vai a: