Benvenuto Ospite

Forum Entomologi Italiani

www.entomologiitaliani.net/forum
 
Oggi è 08/10/2025, 5:56

Tutti gli orari sono UTC + 1 ora [ ora legale ]

Filtro località

Filtro località

In questo pannello è possibile effettuare delle ricerche mirate in base alle località inserite nel forum.

Statistiche

Statistiche
In totale ci sono 89474 taxa:
- 85577 taxa con dati completi
- 2722 taxa con dati parziali, riconducibili ad un paese
- 1175 taxa con dati incompleti


escludi dalla ricerca i subforum
Distribuzione in Europa
Distribuzione in Italia
Filtro applicato: ITALIA - Piemonte

Pagina 1 di 2 [ 20 messaggi ]

# A B C D E F G H I J K L M N O P Q R S T U V W X Y Z
 Argomenti   Autore   Risposte   Visite    Ultimo messaggio 
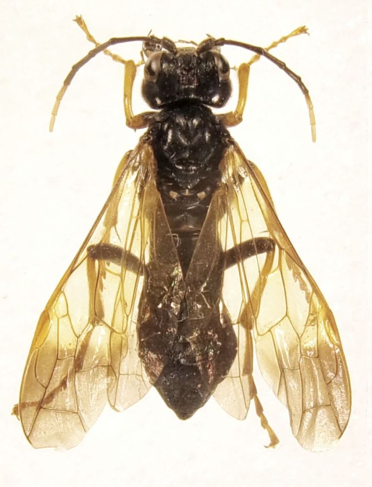
Abia fasciata (Linnaeus, 1758) - Cimbicidae
5.VIII.2021 - ITALIA - Piemonte - BI, Oropa
Allegato(i)
Abia fasciata (Linnaeus, 1758) - Cimbicidae

in Cimbicidae


Dati di raccolta: 5.VIII.2021 - ITALIA - Piemonte - BI, Oropa

StagBeetle

3

1123

07/08/2021, 22:09

StagBeetle Vedi ultimo messaggio

Arge enodis (Linné, 1767) (cf.) - Argidae
27.V.2022 - ITALIA - Piemonte - CN, Sanfrè
Allegato(i)
Arge enodis (Linné, 1767) (cf.) - Argidae

in Argidae


Dati di raccolta: 27.V.2022 - ITALIA - Piemonte - CN, Sanfrè

Autarcontes

3

1034

09/06/2022, 11:41

Autarcontes Vedi ultimo messaggio

Cimbex fagi Zaddach 1863, larva - Cimbicidae
18.VIII.2010 - ITALIA - Piemonte - TO, Val di Viù, faggeta di Civrari, m.1100
Allegato(i)
Cimbex fagi Zaddach 1863, larva - Cimbicidae

in Cimbicidae


Dati di raccolta: 18.VIII.2010 - ITALIA - Piemonte - TO, Val di Viù, faggeta di Civrari, m.1100

Gremu

7

2082

20/08/2010, 18:13

Gremu Vedi ultimo messaggio

Larva di Hymenoptera Symphyta
6.VI.2013 - ITALIA - Piemonte - AL, Lobbi (AL)
Allegato(i)
Larva di Hymenoptera Symphyta

in Hymenoptera Symphyta


Dati di raccolta: 6.VI.2013 - ITALIA - Piemonte - AL, Lobbi (AL)

Danilo Bausano

2

2167

18/06/2013, 13:11

Danilo Bausano Vedi ultimo messaggio

Larva di Symphyta sp.
18.VII.2016 - ITALIA - Piemonte - TO, Pragelato
Allegato(i)
Larva di Symphyta sp.

in Hymenoptera Symphyta


Dati di raccolta: 18.VII.2016 - ITALIA - Piemonte - TO, Pragelato

hectorinus

2

1739

13/08/2016, 9:53

hectorinus Vedi ultimo messaggio

larve di Arge sp. - Argidae
1.X.2013 - ITALIA - Piemonte - AT, Isola d'Asti
Allegato(i)
larve di Arge sp. - Argidae

[ Vai alla pagina: 1, 2 ]

in Argidae


Dati di raccolta: 1.X.2013 - ITALIA - Piemonte - AT, Isola d'Asti

Pandaproject

17

5907

24/10/2013, 17:32

Pandaproject Vedi ultimo messaggio

Megalodontes cephalotes (Fabricius, 1781) - Megalodontesidae
8.VII.2016 - ITALIA - Piemonte - TO, Val Susa, Oulx, verso Desertes,
Allegato(i)
Megalodontes cephalotes (Fabricius, 1781) - Megalodontesidae

in Hymenoptera Symphyta


Dati di raccolta: 8.VII.2016 - ITALIA - Piemonte - TO, Val Susa, Oulx, verso Desertes,

Chalybion

2

1760

07/11/2017, 19:05

Chalybion Vedi ultimo messaggio

Megalodontes sp. - Megalodontesidae
16.VII.2016 - ITALIA - Piemonte - NO, Pragelato
Allegato(i)
Megalodontes sp. - Megalodontesidae

in Hymenoptera Symphyta


Dati di raccolta: 16.VII.2016 - ITALIA - Piemonte - NO, Pragelato

hectorinus

1

1628

29/08/2016, 12:09

Chalybion Vedi ultimo messaggio

Periclista sp. - larva - Tenthredinidae
18.IV.2011 - ITALIA - Piemonte - TO, Colle della Maddalena
Allegato(i)
Periclista sp. - larva - Tenthredinidae

in Tenthredinidae


Dati di raccolta: 18.IV.2011 - ITALIA - Piemonte - TO, Colle della Maddalena

Gremu

3

806

19/04/2011, 19:23

Gremu Vedi ultimo messaggio

Pontania sp. - Tenthredinidae
19.VIII.2017 - ITALIA - Piemonte - CN, Bellino
Allegato(i)
Pontania sp. - Tenthredinidae

in Tenthredinidae


Dati di raccolta: 19.VIII.2017 - ITALIA - Piemonte - CN, Bellino

silviana

2

1107

01/10/2017, 11:33

silviana Vedi ultimo messaggio

Tenthredo (Cephaledo) bifasciata O. F. Muller, 1766 (cf.) - Tentredinidae
21.VII.2016 - ITALIA - Piemonte - TO, Bousson
Allegato(i)
Tenthredo (Cephaledo) bifasciata O. F. Muller, 1766 (cf.) - Tentredinidae

in Tenthredinidae


Dati di raccolta: 21.VII.2016 - ITALIA - Piemonte - TO, Bousson

hectorinus

5

1731

01/09/2016, 15:21

D & JP Balmer Vedi ultimo messaggio

Tenthredo (Endotethryx) crassa Scopoli, 1763 - Tenthredinidae
18.VII.2017 - ITALIA - Piemonte - VB, Val Formazza, sopra Riale, m 1825
Allegato(i)
Tenthredo (Endotethryx) crassa Scopoli, 1763 - Tenthredinidae

in Tenthredinidae


Dati di raccolta: 18.VII.2017 - ITALIA - Piemonte - VB, Val Formazza, sopra Riale, m 1825

Chalybion

2

1207

09/08/2017, 21:31

Chalybion Vedi ultimo messaggio

Tenthredo (Eurogaster) mesomela L. 1758 ♀ - Tenthredinidae - Tenthredininae
8.VI.2015 - ITALIA - Piemonte - TO, Balme - dintorni m 1400 - G.Ruzzante leg.
Allegato(i)
Tenthredo (Eurogaster) mesomela L. 1758 ♀ - Tenthredinidae - Tenthredininae

in Tenthredinidae


Dati di raccolta: 8.VI.2015 - ITALIA - Piemonte - TO, Balme - dintorni m 1400 - G.Ruzzante leg.

ruzzpa

12

2136

13/10/2015, 21:33

D & JP Balmer Vedi ultimo messaggio

Tenthredo (T.) vespa Retzius 1783 ♀ - Tenthredinidae - Tenthredininae
19.VIII.2013 - ITALIA - Piemonte - CN, Vernante - Palanfrè m 1350 - G.Ruzzante leg.
Allegato(i)
Tenthredo (T.) vespa Retzius 1783 ♀ - Tenthredinidae - Tenthredininae

in Tenthredinidae


Dati di raccolta: 19.VIII.2013 - ITALIA - Piemonte - CN, Vernante - Palanfrè m 1350 - G.Ruzzante leg.

ruzzpa

1

895

27/02/2016, 11:41

D & JP Balmer Vedi ultimo messaggio

Tenthredo (Temuledo) temula Scopoli, 1763 - Tenthredinidae
2.V.2016 - ITALIA - Piemonte - AL, Cerreto R.
Allegato(i)
Tenthredo (Temuledo) temula Scopoli, 1763 - Tenthredinidae

in Tenthredinidae


Dati di raccolta: 2.V.2016 - ITALIA - Piemonte - AL, Cerreto R.

hectorinus

3

1478

08/03/2018, 17:50

hectorinus Vedi ultimo messaggio



Inserisci un link per questa ricerca

Inserisci un link per questa ricerca URL
BBCode
HTML
Vai a: