Benvenuto Ospite

Forum Entomologi Italiani

www.entomologiitaliani.net/forum
 
Oggi è 20/12/2025, 2:58

Tutti gli orari sono UTC + 1 ora [ ora legale ]

Filtro località

Filtro località

In questo pannello è possibile effettuare delle ricerche mirate in base alle località inserite nel forum.

Statistiche

Statistiche
In totale ci sono 89747 taxa:
- 85811 taxa con dati completi
- 2732 taxa con dati parziali, riconducibili ad un paese
- 1204 taxa con dati incompleti


escludi dalla ricerca i subforum
Distribuzione in Europa
Distribuzione in Italia
Filtro applicato: ITALIA - Emilia-Romagna

Pagina 1 di 2 [ 20 messaggi ]

# A B C D E F G H I J K L M N O P Q R S T U V W X Y Z
 Argomenti   Autore   Risposte   Visite    Ultimo messaggio 
Anthocomus equestris (Fabricius, 1781) - Malachidae
12.III.2011 - ITALIA - Emilia-Romagna - BO, Sasso Marconi - Palazzo Rossi
Allegato(i)
Anthocomus equestris (Fabricius, 1781) - Malachidae

in Malachiidae


Dati di raccolta: 12.III.2011 - ITALIA - Emilia-Romagna - BO, Sasso Marconi - Palazzo Rossi

Loriscola

3

1054

04/01/2015, 21:25

gabrif Vedi ultimo messaggio

Anthocomus rufus (Herbst 1784) - Malachiidae
X.2009 - ITALIA - Emilia-Romagna - BO, Sasso Marconi - Palazzo Rossi
Allegato(i)
Anthocomus rufus (Herbst 1784) - Malachiidae

in Malachiidae


Dati di raccolta: X.2009 - ITALIA - Emilia-Romagna - BO, Sasso Marconi - Palazzo Rossi

Loriscola

7

1546

01/01/2016, 22:34

gabrif Vedi ultimo messaggio

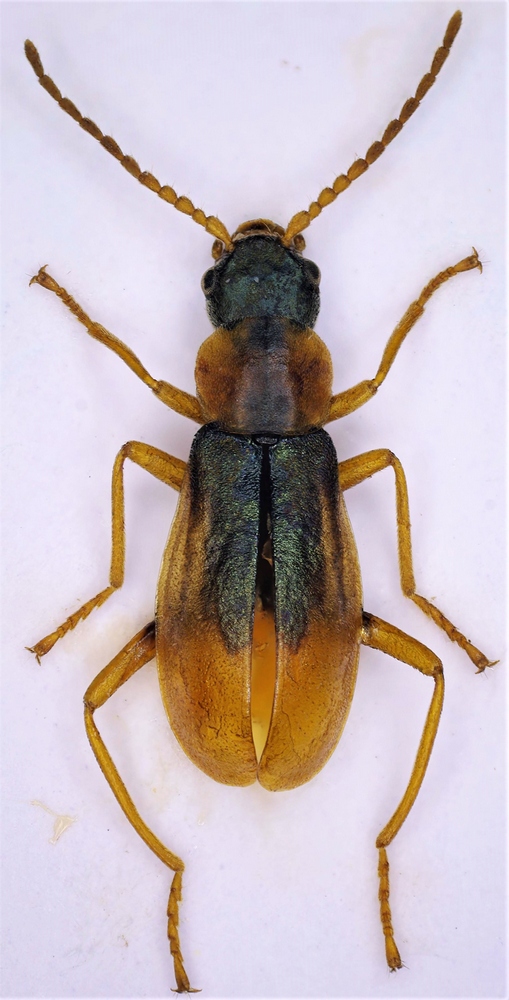
Antholinus minimus (Rossi, 1790) ♀ - Malachiidae
17.IV.2025 - ITALIA - Emilia-Romagna - RA, Villanova di Bagnacavallo
Allegato(i)
Antholinus minimus (Rossi, 1790) ♀ - Malachiidae

in Malachiidae


Dati di raccolta: 17.IV.2025 - ITALIA - Emilia-Romagna - RA, Villanova di Bagnacavallo

Chalybion

5

842

30/04/2025, 17:09

gabrif Vedi ultimo messaggio

Attalus (Attalus) nourrichelii (Laporte de Castelnau, 1836) - Malachiidae
12.VIII.2012 - ITALIA - Emilia-Romagna - BO, Ozzano dell'Emilia (BO), Colline
Allegato(i)
Attalus (Attalus) nourrichelii (Laporte de Castelnau, 1836) - Malachiidae

in Malachiidae


Dati di raccolta: 12.VIII.2012 - ITALIA - Emilia-Romagna - BO, Ozzano dell'Emilia (BO), Colline

Olaffio

3

609

19/03/2013, 0:29

Olaffio Vedi ultimo messaggio

Attalus (Attalus) nourrichelii (Laporte de Castelnau, 1836) - Malachiidae
14.VII.2018 - ITALIA - Emilia-Romagna - BO, Castel d'Aiano mt. 700
Allegato(i)
Attalus (Attalus) nourrichelii (Laporte de Castelnau, 1836) - Malachiidae

in Malachiidae


Dati di raccolta: 14.VII.2018 - ITALIA - Emilia-Romagna - BO, Castel d'Aiano mt. 700

Loriscola

2

1199

17/07/2018, 22:04

Loriscola Vedi ultimo messaggio

Attalus minimus (Rossi, 1790) - Malachiidae
25.IV.2018 - ITALIA - Emilia-Romagna - BO, san giovanni in persiceto
Allegato(i)
Attalus minimus (Rossi, 1790) - Malachiidae

in Malachiidae


Dati di raccolta: 25.IV.2018 - ITALIA - Emilia-Romagna - BO, san giovanni in persiceto

emmebix

5

1265

25/04/2018, 22:03

Mattia D'Amato Vedi ultimo messaggio

Axinotarsus (Axinotarsus) ruficollis (Olivier 1790) - Malachiidae
18.VI.2015 - ITALIA - Emilia-Romagna - BO, Pian del Voglio - P. Balestra
Allegato(i)
Axinotarsus (Axinotarsus) ruficollis (Olivier 1790) - Malachiidae

in Malachiidae


Dati di raccolta: 18.VI.2015 - ITALIA - Emilia-Romagna - BO, Pian del Voglio - P. Balestra

gabrif

0

570

08/10/2015, 21:51

gabrif Vedi ultimo messaggio

Cerapheles lateplagiatus (Fairmaire, 1862) - Malachiidae
18.V.2016 - ITALIA - Emilia-Romagna - BO, Mordano - Bubano
Allegato(i)
Cerapheles lateplagiatus (Fairmaire, 1862) - Malachiidae

in Malachiidae


Dati di raccolta: 18.V.2016 - ITALIA - Emilia-Romagna - BO, Mordano - Bubano

gabrif

1

1079

26/09/2016, 16:08

marco villa Vedi ultimo messaggio

Cerapheles lateplagiatus (Fairmaire, 1862) - Malachiidae
28.IV.2017 - ITALIA - Emilia-Romagna - BO, Mordano - Bubano
Allegato(i)
Cerapheles lateplagiatus (Fairmaire, 1862) - Malachiidae

in Malachiidae


Dati di raccolta: 28.IV.2017 - ITALIA - Emilia-Romagna - BO, Mordano - Bubano

Loriscola

2

2321

06/03/2020, 19:01

gabrif Vedi ultimo messaggio

Cerapheles lateplagiatus (Fairmaire, 1862) ♀ - Malachiidae
1.V.2021 - ITALIA - Emilia-Romagna - RA, Pineta San Vitale (RA) 01.V.2021 A. Degiovanni leg
Allegato(i)
Cerapheles lateplagiatus (Fairmaire, 1862) ♀ - Malachiidae

in Malachiidae


Dati di raccolta: 1.V.2021 - ITALIA - Emilia-Romagna - RA, Pineta San Vitale (RA) 01.V.2021 A. Degiovanni leg

Notoxus59

2

510

10/02/2022, 16:19

Notoxus59 Vedi ultimo messaggio

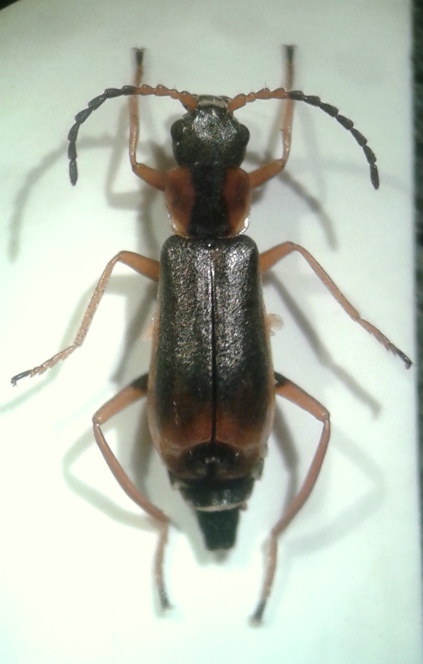
Charopus concolor (Fabricius, 1801) - Malachiidae
5.V.2022 - ITALIA - Emilia-Romagna - PC, Bobbio
Allegato(i)
Charopus concolor (Fabricius, 1801) - Malachiidae

in Malachiidae


Dati di raccolta: 5.V.2022 - ITALIA - Emilia-Romagna - PC, Bobbio

UlpiNov

6

949

06/12/2023, 12:14

UlpiNov Vedi ultimo messaggio

Clanoptilus (Clanoptilus) emarginatus (Krauss 1902) - Malachiidae
31.V.2014 - ITALIA - Emilia-Romagna - PC, rabbini
Allegato(i)
Clanoptilus (Clanoptilus) emarginatus (Krauss 1902) - Malachiidae

in Malachiidae


Dati di raccolta: 31.V.2014 - ITALIA - Emilia-Romagna - PC, rabbini

betelges

1

568

08/05/2016, 19:29

gabrif Vedi ultimo messaggio

Clanoptilus (Clanoptilus) geniculatus (Germar, 1824) - Malachiidae
4.VI.2016 - ITALIA - Emilia-Romagna - BO, Quartiere San Donato
Allegato(i)
Clanoptilus (Clanoptilus) geniculatus (Germar, 1824) - Malachiidae

in Malachiidae


Dati di raccolta: 4.VI.2016 - ITALIA - Emilia-Romagna - BO, Quartiere San Donato

lorenzo12

9

2349

12/06/2017, 22:14

lorenzo12 Vedi ultimo messaggio

Clanoptilus (Clanoptilus) spinipennis (Germar 1824) - Malachiidae
17.IV.2014 - ITALIA - Emilia-Romagna - FE, Mesola
Allegato(i)
Clanoptilus (Clanoptilus) spinipennis (Germar 1824) - Malachiidae

in Malachiidae


Dati di raccolta: 17.IV.2014 - ITALIA - Emilia-Romagna - FE, Mesola

gabrif

3

831

27/12/2015, 23:50

Daniele Maccapani Vedi ultimo messaggio

Colotes maculatus (Laporte de Castelnau, 1838) - Malachiidae
28.IV.2017 - ITALIA - Emilia-Romagna - BO, Mordano - Bubano
Allegato(i)
Colotes maculatus (Laporte de Castelnau, 1838) - Malachiidae

in Malachiidae


Dati di raccolta: 28.IV.2017 - ITALIA - Emilia-Romagna - BO, Mordano - Bubano

Loriscola

2

806

05/05/2017, 18:24

gabrif Vedi ultimo messaggio



Inserisci un link per questa ricerca

Inserisci un link per questa ricerca URL
BBCode
HTML
Vai a: