Benvenuto Ospite

Forum Entomologi Italiani

www.entomologiitaliani.net/forum
 
Oggi è 13/10/2025, 20:32

Tutti gli orari sono UTC + 1 ora [ ora legale ]

Filtro località

Filtro località

In questo pannello è possibile effettuare delle ricerche mirate in base alle località inserite nel forum.

Statistiche

Statistiche
In totale ci sono 89495 taxa:
- 85598 taxa con dati completi
- 2722 taxa con dati parziali, riconducibili ad un paese
- 1175 taxa con dati incompleti


escludi dalla ricerca i subforum
Distribuzione in Europa
Distribuzione in Italia
Filtro applicato: TURCHIA

Pagina 1 di 2 [ 23 messaggi ]

# A B C D E F G H I J K L M N O P Q R S T U V W X Y Z
 Argomenti   Autore   Risposte   Visite    Ultimo messaggio 
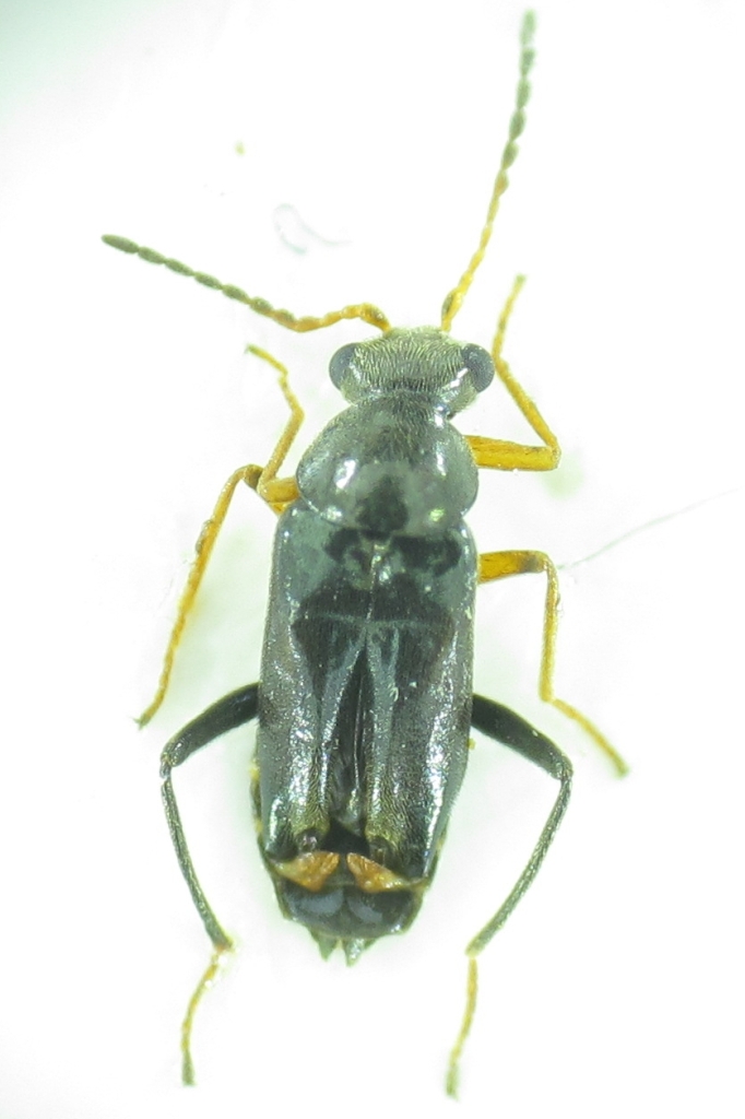
Chionotopus humeralis Rche, 1857 - Malachiidae
23.III.2014 - TURCHIA - EE, Karaman
Allegato(i)
Chionotopus humeralis Rche, 1857 - Malachiidae

in Malachiidae


Dati di raccolta: 23.III.2014 - TURCHIA - EE, Karaman

ozgur70

4

996

05/04/2014, 20:58

strepens Vedi ultimo messaggio

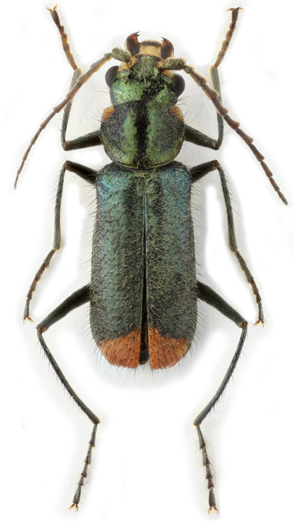
Clanoptilus (Hypoptilus) assimilis (Erichson, 1840) - Malachiidae
2.V.2017 - TURCHIA - EE, Mugla prov., Fethie distr., Oludeniz env.
Allegato(i)
Clanoptilus (Hypoptilus) assimilis (Erichson, 1840) - Malachiidae

in Malachiidae


Dati di raccolta: 2.V.2017 - TURCHIA - EE, Mugla prov., Fethie distr., Oludeniz env.

Maxim Smirnov

2

456

24/07/2023, 17:55

Maxim Smirnov Vedi ultimo messaggio

Clanoptilus heliophilus (Peyron, 1877) - Malachiidae
23.IV.2016 - TURCHIA - EE, Karaman
Allegato(i)
Clanoptilus heliophilus (Peyron, 1877) - Malachiidae

in Malachiidae


Dati di raccolta: 23.IV.2016 - TURCHIA - EE, Karaman

ozgur70

4

1379

22/05/2016, 19:54

ozgur70 Vedi ultimo messaggio

Clanoptilus heliophilus (Peyron, 1877) - Malachiidae
1.VI.2016 - TURCHIA - EE, Erzincan, Kemah, Sürek Köyü
Allegato(i)
Clanoptilus heliophilus (Peyron, 1877) - Malachiidae

in Malachiidae


Dati di raccolta: 1.VI.2016 - TURCHIA - EE, Erzincan, Kemah, Sürek Köyü

gokwolf

6

1410

05/06/2016, 17:58

gabrif Vedi ultimo messaggio

Clanoptilus sp. - Malachiidae
26.V.2011 - TURCHIA - EE, Burdur, 30 km E Aglasun, 37.609 N; 30.861 N, R. Rattu leg.
Allegato(i)
Clanoptilus sp. - Malachiidae

in Malachiidae


Dati di raccolta: 26.V.2011 - TURCHIA - EE, Burdur, 30 km E Aglasun, 37.609 N; 30.861 N, R. Rattu leg.

Fumea crassiorella

3

446

19/01/2016, 22:07

gabrif Vedi ultimo messaggio

Clanoptilus sp. - Malachiidae
7.V.2016 - TURCHIA - EE, Karaman
Allegato(i)
Clanoptilus sp. - Malachiidae

in Malachiidae


Dati di raccolta: 7.V.2016 - TURCHIA - EE, Karaman

ozgur70

2

399

31/05/2016, 7:32

Carlo Monari Vedi ultimo messaggio

Colorful Malachiidae from Turkey
23.VII.2019 - TURCHIA - EE, Ulukışla, Niğde (C Anatolia)
Allegato(i)
Colorful Malachiidae from Turkey

in Malachiidae


Dati di raccolta: 23.VII.2019 - TURCHIA - EE, Ulukışla, Niğde (C Anatolia)

Baris99

7

1778

29/07/2019, 21:41

Baris99 Vedi ultimo messaggio

Colotes (Psauter) obsoletus Erichson, 1840 - Malachiidae - Turkey
9.V.2018 - TURCHIA - EE, SW Turkey, Mugla pr., Marmaris distr., Ichmeler
Allegato(i)
Colotes (Psauter) obsoletus Erichson, 1840 - Malachiidae - Turkey

in Malachiidae


Dati di raccolta: 9.V.2018 - TURCHIA - EE, SW Turkey, Mugla pr., Marmaris distr., Ichmeler

Maxim Smirnov

3

649

23/12/2020, 16:31

Maxim Smirnov Vedi ultimo messaggio

Cordylepherus koenigi (Abeille de Perrin, 1900) - Malachiidae
11.VI.2000 - TURCHIA - EE, Levent Vadisi, 30 Km. W of Malatya, central Turkey
Allegato(i)
Cordylepherus koenigi (Abeille de Perrin, 1900) - Malachiidae

in Malachiidae


Dati di raccolta: 11.VI.2000 - TURCHIA - EE, Levent Vadisi, 30 Km. W of Malatya, central Turkey

strepens

2

1073

04/05/2020, 19:54

strepens Vedi ultimo messaggio

Ebaeus flavicornis Erichson, 1840 (cf.) - Malachiidae?
7.VI.2015 - TURCHIA - EE, Esenyurt
Allegato(i)
Ebaeus flavicornis Erichson, 1840 (cf.) - Malachiidae?

in Malachiidae


Dati di raccolta: 7.VI.2015 - TURCHIA - EE, Esenyurt

Baris99

2

403

16/06/2015, 10:28

Baris99 Vedi ultimo messaggio

Haplomalachius (Flabellomalachius) flabellatus (Frivaldzsky, 1835) (cf.) - Malachiidae
8.V.2011 - TURCHIA - EE, Turkey: Adana: Ceyhan: 2 km NW of Isali
Allegato(i)
Haplomalachius (Flabellomalachius) flabellatus (Frivaldzsky, 1835) (cf.) - Malachiidae

in Malachiidae


Dati di raccolta: 8.V.2011 - TURCHIA - EE, Turkey: Adana: Ceyhan: 2 km NW of Isali

cosmln

2

766

31/12/2012, 15:51

cosmln Vedi ultimo messaggio

Malachius aeneus (Linnaeus, 1758) (cf.) - Malachiidae
24.V.2011 - TURCHIA - EE, spiaggia di Pamucak, leg. R. Rattu
Allegato(i)
Malachius aeneus (Linnaeus, 1758) (cf.) - Malachiidae

in Malachiidae


Dati di raccolta: 24.V.2011 - TURCHIA - EE, spiaggia di Pamucak, leg. R. Rattu

Fumea crassiorella

5

607

21/01/2016, 22:57

Fumea crassiorella Vedi ultimo messaggio

Malachius cavifrons ssp. anatolicus Wittmer, 1974 -- Malachiidae
2.VI.1998 - TURCHIA - EE, MUS - Buglan gec. m 1650
Allegato(i)
Malachius cavifrons ssp. anatolicus Wittmer, 1974 -- Malachiidae

in Malachiidae


Dati di raccolta: 2.VI.1998 - TURCHIA - EE, MUS - Buglan gec. m 1650

gabrif

0

610

17/02/2019, 22:53

gabrif Vedi ultimo messaggio

Malachius coccineus Waltl 1838 - Malachidae
20.V.2011 - TURCHIA - EE, Esenyurt
Allegato(i)
Malachius coccineus Waltl 1838 - Malachidae

in Malachiidae


Dati di raccolta: 20.V.2011 - TURCHIA - EE, Esenyurt

Baris99

4

826

18/02/2015, 11:34

Baris99 Vedi ultimo messaggio

Malachius coccineus Waltl 1838 - Malachiidae
27.IV.2019 - TURCHIA - EE, Hatay / Iskenderun
Allegato(i)
Malachius coccineus Waltl 1838 - Malachiidae

in Malachiidae


Dati di raccolta: 27.IV.2019 - TURCHIA - EE, Hatay / Iskenderun

Tekilay

3

880

29/04/2019, 13:51

Tekilay Vedi ultimo messaggio



Inserisci un link per questa ricerca

Inserisci un link per questa ricerca URL
BBCode
HTML
Vai a: