Benvenuto Ospite

Forum Entomologi Italiani

www.entomologiitaliani.net/forum
 
Oggi è 20/12/2025, 17:36

Tutti gli orari sono UTC + 1 ora [ ora legale ]

Filtro località

Filtro località

In questo pannello è possibile effettuare delle ricerche mirate in base alle località inserite nel forum.

Statistiche

Statistiche
In totale ci sono 89748 taxa:
- 85812 taxa con dati completi
- 2732 taxa con dati parziali, riconducibili ad un paese
- 1204 taxa con dati incompleti


escludi dalla ricerca i subforum
Distribuzione in Europa
Distribuzione in Italia
Filtro applicato: SUD AFRICA

Pagina 1 di 1 [ 1 messaggio ]

# A B C D E F G H I J K L M N O P Q R S T U V W X Y Z
 Argomenti   Autore   Risposte   Visite    Ultimo messaggio 
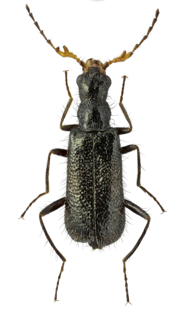
Dasytophasis sp. - Malachiidae - RSA
24.VIII.2019 - SUD AFRICA - EE, Western Cape, Biedouw Valley, Enjo Nature Farm, 24.08.2019
Allegato(i)
Dasytophasis sp. - Malachiidae - RSA

in Malachiidae


Dati di raccolta: 24.VIII.2019 - SUD AFRICA - EE, Western Cape, Biedouw Valley, Enjo Nature Farm, 24.08.2019

Maxim Smirnov

9

1400

28/03/2021, 11:45

Maxim Smirnov Vedi ultimo messaggio


Inserisci un link per questa ricerca

Inserisci un link per questa ricerca URL
BBCode
HTML
Vai a: