Benvenuto Ospite

Forum Entomologi Italiani

www.entomologiitaliani.net/forum
 
Oggi è 15/10/2025, 16:09

Tutti gli orari sono UTC + 1 ora [ ora legale ]

Filtro località

Filtro località

In questo pannello è possibile effettuare delle ricerche mirate in base alle località inserite nel forum.

Statistiche

Statistiche
In totale ci sono 89502 taxa:
- 85605 taxa con dati completi
- 2722 taxa con dati parziali, riconducibili ad un paese
- 1175 taxa con dati incompleti


escludi dalla ricerca i subforum
Distribuzione in Europa
Distribuzione in Italia
Filtro applicato: BOSNIA ERZEGOVINA

Pagina 1 di 1 [ 4 messaggi ]

# A B C D E F G H I J K L M N O P Q R S T U V W X Y Z
 Argomenti   Autore   Risposte   Visite    Ultimo messaggio 
Antrosedes speluncarius Reitter, 1912 - Leiodidae
BOSNIA ERZEGOVINA - EE, Vysošica plan.,lgt.C.Setnik
Allegato(i)
Antrosedes speluncarius Reitter, 1912 - Leiodidae

in Leiodidae


Dati di raccolta: BOSNIA ERZEGOVINA - EE, Vysošica plan.,lgt.C.Setnik

Honza

1

1043

09/06/2015, 6:50

strepens Vedi ultimo messaggio

Charonites orlovacensis Reitter, 1913 - Leiodidae, Cholevinae
16.VI.2011 - BOSNIA ERZEGOVINA - EE, Orlovača cave (near Mokro, Sarajevo)
Allegato(i)
Charonites orlovacensis Reitter, 1913 - Leiodidae, Cholevinae

in Leiodidae


Dati di raccolta: 16.VI.2011 - BOSNIA ERZEGOVINA - EE, Orlovača cave (near Mokro, Sarajevo)

Lenny

1

498

25/02/2013, 18:42

Orotrechus Vedi ultimo messaggio

Charonites sp. - - Leiodidae Cholevinae
15.VI.2011 - BOSNIA ERZEGOVINA - EE, unknown cave near Pale, Sarajevo
Allegato(i)
Charonites sp. - - Leiodidae Cholevinae

in Leiodidae


Dati di raccolta: 15.VI.2011 - BOSNIA ERZEGOVINA - EE, unknown cave near Pale, Sarajevo

Lenny

4

676

28/02/2013, 23:06

Lenny Vedi ultimo messaggio

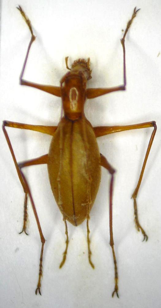
Hadesia asamo (Perreau & Pavicevic, 2008) - Leiodidae Cholevinae
VIII.2011 - BOSNIA ERZEGOVINA - EE, Brevenik Jama, near Trebinje
Allegato(i)
Hadesia asamo (Perreau & Pavicevic, 2008) - Leiodidae Cholevinae

in Leiodidae


Dati di raccolta: VIII.2011 - BOSNIA ERZEGOVINA - EE, Brevenik Jama, near Trebinje

Enrico Ruzzier

11

1358

17/02/2012, 22:21

Julodis Vedi ultimo messaggio


Inserisci un link per questa ricerca

Inserisci un link per questa ricerca URL
BBCode
HTML
Vai a: