Benvenuto Ospite

Forum Entomologi Italiani

www.entomologiitaliani.net/forum
 
Oggi è 12/11/2025, 9:21

Tutti gli orari sono UTC + 1 ora [ ora legale ]

Filtro località

Filtro località

In questo pannello è possibile effettuare delle ricerche mirate in base alle località inserite nel forum.

Statistiche

Statistiche
In totale ci sono 89612 taxa:
- 85704 taxa con dati completi
- 2729 taxa con dati parziali, riconducibili ad un paese
- 1179 taxa con dati incompleti


escludi dalla ricerca i subforum
Distribuzione in Europa
Distribuzione in Italia
Filtro applicato: ITALIA - Emilia-Romagna

Pagina 1 di 1 [ 4 messaggi ]

# A B C D E F G H I J K L M N O P Q R S T U V W X Y Z
 Argomenti   Autore   Risposte   Visite    Ultimo messaggio 
Melasis buprestoides (Linnaeus, 1761) - Eucnemidae
8.III.2009 - ITALIA - Emilia-Romagna - BO, Sasso Marconi, Palazzo Rossi
Allegato(i)
Melasis buprestoides (Linnaeus, 1761) - Eucnemidae

in Eucnemidae


Dati di raccolta: 8.III.2009 - ITALIA - Emilia-Romagna - BO, Sasso Marconi, Palazzo Rossi

Loriscola

4

1601

11/03/2009, 22:49

Velvet Ant Vedi ultimo messaggio

Nematodes filum (Fabricius, 1801) - Eucnemidae
VII.2010 - ITALIA - Emilia-Romagna - MO, Guiglia
Allegato(i)
Nematodes filum (Fabricius, 1801) - Eucnemidae

in Eucnemidae


Dati di raccolta: VII.2010 - ITALIA - Emilia-Romagna - MO, Guiglia

Loriscola

8

1388

13/07/2010, 19:32

Loriscola Vedi ultimo messaggio

Nematodes filum (Fabricius, 1801) - Eucnemidae
VII.2011 - ITALIA - Emilia-Romagna - MO, Modena Guiglia 450m
Allegato(i)
Nematodes filum (Fabricius, 1801) - Eucnemidae

in Eucnemidae


Dati di raccolta: VII.2011 - ITALIA - Emilia-Romagna - MO, Modena Guiglia 450m

claudio sola

6

1008

04/09/2011, 19:48

krep Vedi ultimo messaggio

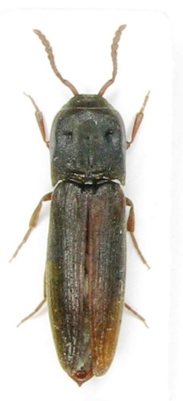
Rhacopus sahlbergi (Mannerheim, 1823) - Eucnemidae
30.VI.2016 - ITALIA - Emilia-Romagna - BO, Monte San Pietro - San Martino
Allegato(i)
Rhacopus sahlbergi (Mannerheim, 1823) - Eucnemidae

in Eucnemidae


Dati di raccolta: 30.VI.2016 - ITALIA - Emilia-Romagna - BO, Monte San Pietro - San Martino

Loriscola

2

785

04/07/2016, 15:56

Loriscola Vedi ultimo messaggio


Inserisci un link per questa ricerca

Inserisci un link per questa ricerca URL
BBCode
HTML
Vai a: