Benvenuto Ospite

Forum Entomologi Italiani

www.entomologiitaliani.net/forum
 
Oggi è 25/10/2025, 3:04

Tutti gli orari sono UTC + 1 ora [ ora legale ]

Filtro località

Filtro località

In questo pannello è possibile effettuare delle ricerche mirate in base alle località inserite nel forum.

Statistiche

Statistiche
In totale ci sono 89542 taxa:
- 85643 taxa con dati completi
- 2724 taxa con dati parziali, riconducibili ad un paese
- 1175 taxa con dati incompleti


escludi dalla ricerca i subforum
Distribuzione in Europa
Distribuzione in Italia
Filtro applicato: AUSTRIA

Pagina 1 di 1 [ 14 messaggi ]

# A B C D E F G H I J K L M N O P Q R S T U V W X Y Z
 Argomenti   Autore   Risposte   Visite    Ultimo messaggio 
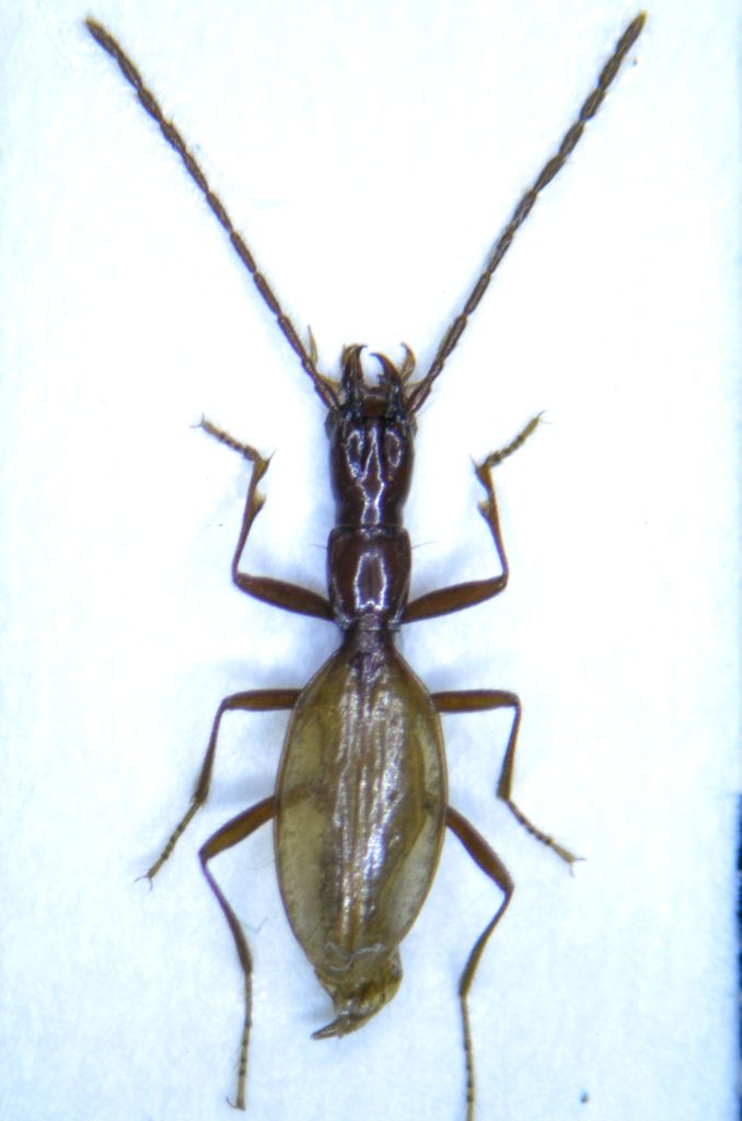
Abax (Abax) ovalis (Duftschmid, 1812) - Carabidae
18.IX.2021 - AUSTRIA - EE, Vienna
Allegato(i) Dettagli della specie
Abax (Abax) ovalis (Duftschmid, 1812) - Carabidae

in Carabidae


Dati di raccolta: 18.IX.2021 - AUSTRIA - EE, Vienna

Isidro

4

427

12/10/2021, 7:54

Isidro Vedi ultimo messaggio

Abax sp. - Carabidae
18.IX.2021 - AUSTRIA - EE, Vienna
Allegato(i)
Abax sp. - Carabidae

in Carabidae indeterminati


Dati di raccolta: 18.IX.2021 - AUSTRIA - EE, Vienna

Isidro

4

604

12/10/2021, 7:54

Isidro Vedi ultimo messaggio

Carabidae for identification
VI.2017 - AUSTRIA - EE
Allegato(i)
Carabidae for identification

in Carabidae


Dati di raccolta: VI.2017 - AUSTRIA - EE

karabidek

12

2270

20/06/2020, 10:32

f.izzillo Vedi ultimo messaggio

Allegato(i)
Carabus (Carabus) granulatus granulatus Linnaeus, 1758 - Carabidae

[ Vai alla pagina: 1, 2 ]

in Carabidae


Dati di raccolta: AUSTRIA - EE, St. Aegyd

Stefano79

22

3560

14/03/2011, 15:44

eurinomio Vedi ultimo messaggio

Carabus (Hygrocarabus) nodulosus Creutzer, 1799 - Carabidae
1.XI.2011 - AUSTRIA - EE, Steiermark, Graz, Leibnitz
Allegato(i) Dettagli della specie
Carabus (Hygrocarabus) nodulosus Creutzer, 1799 - Carabidae

in Carabidae


Dati di raccolta: 1.XI.2011 - AUSTRIA - EE, Steiermark, Graz, Leibnitz

Ivan

1

1039

04/11/2011, 14:01

hypotyphlus Vedi ultimo messaggio

Carabus (Platycarabus) irregularis Fabricius, 1792 - Carabidae
21.VI.2020 - AUSTRIA - EE, Monte Pal Piccolo, versante austriaco
Allegato(i)
Carabus (Platycarabus) irregularis Fabricius, 1792 - Carabidae

in Carabidae


Dati di raccolta: 21.VI.2020 - AUSTRIA - EE, Monte Pal Piccolo, versante austriaco

Michele A

6

1444

23/06/2020, 15:05

Michele A Vedi ultimo messaggio

Cicindela (Cicindela) hybrida transversalis Dejean, 1822 - Carabidae Cicindelinae
29.VII.2016 - AUSTRIA - EE, Oberlienz (Fluss Isel)
Allegato(i)
Cicindela (Cicindela) hybrida transversalis Dejean, 1822 - Carabidae Cicindelinae

in Carabidae


Dati di raccolta: 29.VII.2016 - AUSTRIA - EE, Oberlienz (Fluss Isel)

scarabaeidae

4

1325

31/03/2017, 9:37

scarabaeidae Vedi ultimo messaggio

Cychrus attenuatus (Fabricius, 1792) - Carabidae
15.IX.2014 - AUSTRIA - EE, Mts.Karawanken-Wurzenpass,1100m
Allegato(i)
Cychrus attenuatus (Fabricius, 1792) - Carabidae

in Carabidae


Dati di raccolta: 15.IX.2014 - AUSTRIA - EE, Mts.Karawanken-Wurzenpass,1100m

karia

2

1002

30/03/2015, 19:05

aug Vedi ultimo messaggio

Cychrus caraboides (Linnaeus, 1758) - Carabidae
15.IX.2014 - AUSTRIA - EE, Mts.Karawanken-Wurzenpass,1100m
Allegato(i)
Cychrus caraboides (Linnaeus, 1758) - Carabidae

in Carabidae


Dati di raccolta: 15.IX.2014 - AUSTRIA - EE, Mts.Karawanken-Wurzenpass,1100m

karia

3

1463

30/03/2015, 20:15

f.izzillo Vedi ultimo messaggio

Nebria (Nebria) hellwigii hellwigii (Panzer, 1797) - Carabidae
10.VII.2015 - AUSTRIA - EE, Grossglockner
Allegato(i) Dettagli della specie
Nebria (Nebria) hellwigii hellwigii (Panzer, 1797) - Carabidae

in Carabidae


Dati di raccolta: 10.VII.2015 - AUSTRIA - EE, Grossglockner

StagBeetle

0

255

12/10/2022, 12:28

StagBeetle Vedi ultimo messaggio

Orotrechus haraldi Daffner, 1990 - Carabidae
23.VI.2007 - AUSTRIA - EE, eisenkappel (K)
Allegato(i)
Orotrechus haraldi Daffner, 1990 - Carabidae

in Carabidae


Dati di raccolta: 23.VI.2007 - AUSTRIA - EE, eisenkappel (K)

andreafabbri

6

2208

22/03/2011, 22:52

andreafabbri Vedi ultimo messaggio

Pterostichus (Cheporus) burmeisteri burmeisteri Heer, 1838 - Carabidae
21.VI.2020 - AUSTRIA - EE, Monte Pal Piccolo, versante Nord
Allegato(i) Dettagli della specie
Pterostichus (Cheporus) burmeisteri burmeisteri Heer, 1838 - Carabidae

in Carabidae


Dati di raccolta: 21.VI.2020 - AUSTRIA - EE, Monte Pal Piccolo, versante Nord

Michele A

4

1062

24/06/2020, 9:01

Michele A Vedi ultimo messaggio

Pterostichus (Pterostichus) justusii W. Redtenbacher, 1842 - Carabidae
14.VII.1972 - AUSTRIA - EE, Carinzia, Koralpe, 2000 m, G. Calligaris leg.
Allegato(i)
Pterostichus (Pterostichus) justusii W. Redtenbacher, 1842 - Carabidae

in Carabidae


Dati di raccolta: 14.VII.1972 - AUSTRIA - EE, Carinzia, Koralpe, 2000 m, G. Calligaris leg.

Tenebrio

9

1139

14/12/2012, 10:07

ricdoc57 Vedi ultimo messaggio

Allegato(i)
Pterostichus panzeri (Panzer, 1803) - Carabidae

in Carabidae


Dati di raccolta: VI.2017 - AUSTRIA - EE

karabidek

2

867

22/06/2020, 19:06

karabidek Vedi ultimo messaggio


Inserisci un link per questa ricerca

Inserisci un link per questa ricerca URL
BBCode
HTML
Vai a: