Benvenuto Ospite

Forum Entomologi Italiani

www.entomologiitaliani.net/forum
 
Oggi è 24/10/2025, 20:52

Tutti gli orari sono UTC + 1 ora [ ora legale ]

Filtro località

Filtro località

In questo pannello è possibile effettuare delle ricerche mirate in base alle località inserite nel forum.

Statistiche

Statistiche
In totale ci sono 89542 taxa:
- 85643 taxa con dati completi
- 2724 taxa con dati parziali, riconducibili ad un paese
- 1175 taxa con dati incompleti


escludi dalla ricerca i subforum
Distribuzione in Europa
Distribuzione in Italia
Filtro applicato: SPAGNA

Pagina 1 di 15 [ 221 messaggi ]

# A B C D E F G H I J K L M N O P Q R S T U V W X Y Z
 Argomenti   Autore   Risposte   Visite    Ultimo messaggio 
Abax pyrenaeus Dejean, 1828 - Carabidae Pterostichinae Pterostichini Molopina
28.IV.2019 - SPAGNA - EE, Castellfollit de la Roca (Girona)
Allegato(i)
Abax pyrenaeus Dejean, 1828 - Carabidae Pterostichinae Pterostichini Molopina

in Carabidae


Dati di raccolta: 28.IV.2019 - SPAGNA - EE, Castellfollit de la Roca (Girona)

Dicomed

9

1776

26/12/2021, 11:21

Lorenzo Zanella Vedi ultimo messaggio

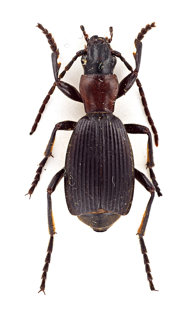
Acinopus (Acinopus) giganteus Dejean, 1831 - Carabidae
1.X.2012 - SPAGNA - EE, Los Barrios, Cádiz
Allegato(i)
Acinopus (Acinopus) giganteus Dejean, 1831 - Carabidae

in Carabidae


Dati di raccolta: 1.X.2012 - SPAGNA - EE, Los Barrios, Cádiz

Antonio Verdugo

10

2438

08/10/2012, 9:04

Antonio Verdugo Vedi ultimo messaggio

Acinopus (Acinopus) picipes (A.G. Olivier, 1795) - Carabidae
4.VIII.2016 - SPAGNA - EE, isole Baleari, Minorca, dintorni di Ciutadella, R. Rattu leg.
Allegato(i) Dettagli della specie
Acinopus (Acinopus) picipes (A.G. Olivier, 1795) - Carabidae

in Carabidae


Dati di raccolta: 4.VIII.2016 - SPAGNA - EE, isole Baleari, Minorca, dintorni di Ciutadella, R. Rattu leg.

Fumea crassiorella

3

1391

17/08/2016, 15:45

gomphus Vedi ultimo messaggio

Acinopus (Oedematicus) gutturosus Buquet 1840 - Carabidae
17.VIII.2009 - SPAGNA - EE, Porto Cristo, Maiorca
Allegato(i)
Acinopus (Oedematicus) gutturosus Buquet 1840 - Carabidae

in Carabidae


Dati di raccolta: 17.VIII.2009 - SPAGNA - EE, Porto Cristo, Maiorca

vitalfranz

3

1167

26/08/2009, 15:16

vitalfranz Vedi ultimo messaggio

Acupalpus (Acupalpus) meridianus (Linnaeus 1761) - Carabidae
30.III.2012 - SPAGNA - EE, Peñaflor, Zaragoza
Allegato(i)
Acupalpus (Acupalpus) meridianus (Linnaeus 1761) - Carabidae

in Carabidae


Dati di raccolta: 30.III.2012 - SPAGNA - EE, Peñaflor, Zaragoza

Isidro

3

575

02/04/2012, 21:05

Isidro Vedi ultimo messaggio

Agabus sp. - Dytiscidae
9.VI.2012 - SPAGNA - EE, Caldena, Moncayo montagni, Zaragoza
Allegato(i)
Agabus sp. - Dytiscidae

in Dytiscidae


Dati di raccolta: 9.VI.2012 - SPAGNA - EE, Caldena, Moncayo montagni, Zaragoza

Isidro

5

1133

13/12/2013, 0:02

Hydropaulus Vedi ultimo messaggio

Agabus sp. - Dytiscidae
9.VI.2012 - SPAGNA - EE, Calcena, Moncayo montagni, Zaragoza
Allegato(i)
Agabus sp. - Dytiscidae

in Dytiscidae


Dati di raccolta: 9.VI.2012 - SPAGNA - EE, Calcena, Moncayo montagni, Zaragoza

Isidro

1

912

08/08/2012, 21:00

AleP Vedi ultimo messaggio

Agonum (Agonum) monachum (Duftschmid, 1812) - Carabidae
25.VII.2009 - SPAGNA - EE, Santander
Allegato(i) Dettagli della specie
Agonum (Agonum) monachum (Duftschmid, 1812) - Carabidae

in Carabidae


Dati di raccolta: 25.VII.2009 - SPAGNA - EE, Santander

StagBeetle

9

1494

08/08/2009, 10:36

gomphus Vedi ultimo messaggio

Agonum (Agonum) muelleri muelleri (Herbst, 1784) - Carabidae
27.VII.2009 - SPAGNA - EE, Fontibre, fonte dell'Ebro
Allegato(i) Dettagli della specie
Agonum (Agonum) muelleri muelleri (Herbst, 1784) - Carabidae

in Carabidae


Dati di raccolta: 27.VII.2009 - SPAGNA - EE, Fontibre, fonte dell'Ebro

StagBeetle

9

654

05/08/2009, 18:02

vitalfranz Vedi ultimo messaggio

Agonum (Agonum) muelleri muelleri (Herbst, 1784) - Carabidae
25.VII.2009 - SPAGNA - EE, Santander
Allegato(i) Dettagli della specie
Agonum (Agonum) muelleri muelleri (Herbst, 1784) - Carabidae

in Carabidae


Dati di raccolta: 25.VII.2009 - SPAGNA - EE, Santander

StagBeetle

1

417

05/08/2009, 16:46

gomphus Vedi ultimo messaggio

Amara (Amara) aenea (De Geer, 1774) - Carabidae
11.VI.2020 - SPAGNA - EE, Molì l'Ombria, Banyeres de Mariola (Alicante)
Allegato(i) Dettagli della specie
Amara (Amara) aenea (De Geer, 1774) - Carabidae

in Carabidae


Dati di raccolta: 11.VI.2020 - SPAGNA - EE, Molì l'Ombria, Banyeres de Mariola (Alicante)

Dicomed

2

445

19/07/2020, 20:14

Dicomed Vedi ultimo messaggio

Anchomenus dorsalis (Pontoppidan 1763) - Carabidae
23.VII.2009 - SPAGNA - EE, Islares, Cantabria
Allegato(i)
Anchomenus dorsalis (Pontoppidan 1763) - Carabidae

in Carabidae


Dati di raccolta: 23.VII.2009 - SPAGNA - EE, Islares, Cantabria

StagBeetle

2

402

06/08/2009, 13:09

StagBeetle Vedi ultimo messaggio

Anisodactylus (Hexatrichus) virens virens Dejean, 1829 - Carabidae
23.III.2011 - SPAGNA - EE, Chiclana de la Frontera
Allegato(i) Dettagli della specie
Anisodactylus (Hexatrichus) virens virens Dejean, 1829 - Carabidae

in Carabidae


Dati di raccolta: 23.III.2011 - SPAGNA - EE, Chiclana de la Frontera

Isotomus

2

682

07/04/2011, 16:53

Isotomus Vedi ultimo messaggio

Aptinus displosor (L.Dufour, 1811) - Carabidae
13.V.1991 - SPAGNA - EE, Alcoceber, Valencia
Allegato(i)
Aptinus displosor (L.Dufour, 1811) - Carabidae

in Carabidae


Dati di raccolta: 13.V.1991 - SPAGNA - EE, Alcoceber, Valencia

StagBeetle

2

388

03/03/2022, 21:35

StagBeetle Vedi ultimo messaggio

Aulonogyrus concinnus (Klug, 1834) - Gyrinidae
SPAGNA - EE, Nord della Spagna
Allegato(i)
Aulonogyrus concinnus (Klug, 1834) - Gyrinidae

in Gyrinidae


Dati di raccolta: SPAGNA - EE, Nord della Spagna

t_cancellario

9

2964

17/11/2017, 9:44

t_cancellario Vedi ultimo messaggio



Inserisci un link per questa ricerca

Inserisci un link per questa ricerca URL
BBCode
HTML
Vai a: