Benvenuto Ospite

Forum Entomologi Italiani

www.entomologiitaliani.net/forum
 
Oggi è 24/10/2025, 23:56

Tutti gli orari sono UTC + 1 ora [ ora legale ]

Filtro località

Filtro località

In questo pannello è possibile effettuare delle ricerche mirate in base alle località inserite nel forum.

Statistiche

Statistiche
In totale ci sono 89542 taxa:
- 85643 taxa con dati completi
- 2724 taxa con dati parziali, riconducibili ad un paese
- 1175 taxa con dati incompleti


escludi dalla ricerca i subforum
Distribuzione in Europa
Distribuzione in Italia
Filtro applicato: SUD AFRICA

Pagina 1 di 2 [ 22 messaggi ]

# A B C D E F G H I J K L M N O P Q R S T U V W X Y Z
 Argomenti   Autore   Risposte   Visite    Ultimo messaggio 
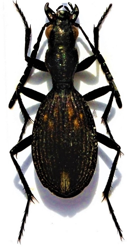
Anthia (Anthia) maxillosa Fabricius, 1793 - Carabidae
21.XII.1993 - SUD AFRICA - EE, Kruger NP, Mopani Lodge
Allegato(i)
Anthia (Anthia) maxillosa Fabricius, 1793 - Carabidae

in Carabidae


Dati di raccolta: 21.XII.1993 - SUD AFRICA - EE, Kruger NP, Mopani Lodge

Chalybion

3

1064

12/02/2014, 2:50

Chalybion Vedi ultimo messaggio

Anthia (Termophilum) omoplata Lequien, 1832
X.2008 - SUD AFRICA - EE, North Kruger
Allegato(i)
Anthia (Termophilum) omoplata Lequien, 1832

in Carabidae


Dati di raccolta: X.2008 - SUD AFRICA - EE, North Kruger

marco paglialunga

0

473

19/04/2010, 16:29

marco paglialunga Vedi ultimo messaggio

Anthia (Thermophilum) fornasinii
X.2008 - SUD AFRICA - EE, North Kruger
Allegato(i)
Anthia (Thermophilum) fornasinii

in Carabidae


Dati di raccolta: X.2008 - SUD AFRICA - EE, North Kruger

marco paglialunga

0

447

19/04/2010, 16:36

marco paglialunga Vedi ultimo messaggio

Bembidion (Notaphocampa) foveolatum Deajean, 1831 (cf.) - Carabidae
29.VII.2018 - SUD AFRICA - EE, prov. KwaZulu Natal - Mkuze
Allegato(i)
Bembidion (Notaphocampa) foveolatum Deajean, 1831 (cf.) - Carabidae

in Carabidae


Dati di raccolta: 29.VII.2018 - SUD AFRICA - EE, prov. KwaZulu Natal - Mkuze

Rothari

4

1059

05/11/2019, 0:32

ricdoc57 Vedi ultimo messaggio

Carabidae sp.
21.XII.1993 - SUD AFRICA - EE, Kruger, Phalaborwa gate
Allegato(i)
Carabidae sp.

in Carabidae indeterminati


Dati di raccolta: 21.XII.1993 - SUD AFRICA - EE, Kruger, Phalaborwa gate

Chalybion

0

719

23/01/2015, 16:02

Chalybion Vedi ultimo messaggio

Gonogenia atrata (Boheman, 1848) (cf.) - Carabidae
15.I.2001 - SUD AFRICA - EE, Van Zylsrus (Kalahari S)
Allegato(i)
Gonogenia atrata (Boheman, 1848) (cf.) - Carabidae

in Carabidae


Dati di raccolta: 15.I.2001 - SUD AFRICA - EE, Van Zylsrus (Kalahari S)

Daniele Sechi

3

556

23/05/2015, 13:18

Honza Vedi ultimo messaggio

Graphipterus cicindeloides (Swederus, 1787) - Carabidae
13.X.1998 - SUD AFRICA - EE, Capo Settentrionale - Pofadder - Springbok
Allegato(i)
Graphipterus cicindeloides (Swederus, 1787) - Carabidae

in Carabidae


Dati di raccolta: 13.X.1998 - SUD AFRICA - EE, Capo Settentrionale - Pofadder - Springbok

ruzzpa

6

1197

26/02/2015, 16:01

ricdoc57 Vedi ultimo messaggio

Graphipterus circumcinctus (Boheman, 1848) - Carabidae
12.XII.2008 - SUD AFRICA - EE, RSA: NW Limpopo, Thabazimbi, 12.XII.2008
Allegato(i)
Graphipterus circumcinctus (Boheman, 1848) - Carabidae

in Carabidae


Dati di raccolta: 12.XII.2008 - SUD AFRICA - EE, RSA: NW Limpopo, Thabazimbi, 12.XII.2008

Notoxus59

4

576

11/05/2015, 8:28

ricdoc57 Vedi ultimo messaggio

Graphipterus velutinus Boheman, 1848 - Carabidae
12.XI.2000 - SUD AFRICA - EE, RSA: Ben Lavin Nat. Res. N Pr. 12-13.XI.2000, Werner leg.
Allegato(i)
Graphipterus velutinus Boheman, 1848 - Carabidae

in Carabidae


Dati di raccolta: 12.XI.2000 - SUD AFRICA - EE, RSA: Ben Lavin Nat. Res. N Pr. 12-13.XI.2000, Werner leg.

Notoxus59

3

453

11/05/2015, 8:33

ricdoc57 Vedi ultimo messaggio

Lebistina sp. - Carabidae
22.XII.1993 - SUD AFRICA - EE, Kruger NP, Mopani Lodge
Allegato(i)
Lebistina sp. - Carabidae

in Carabidae indeterminati


Dati di raccolta: 22.XII.1993 - SUD AFRICA - EE, Kruger NP, Mopani Lodge

Chalybion

2

526

10/05/2014, 22:27

Chalybion Vedi ultimo messaggio

Pachydesus cfr. rufipes (Boheman, 1848) - Carabidae Trechinae
18.I.2003 - SUD AFRICA - EE, R.S.A.: O.F.S. Fouriesburg env. 18.I.2003
Allegato(i)
Pachydesus cfr. rufipes (Boheman, 1848) - Carabidae Trechinae

in Carabidae indeterminati


Dati di raccolta: 18.I.2003 - SUD AFRICA - EE, R.S.A.: O.F.S. Fouriesburg env. 18.I.2003

Notoxus59

5

1411

08/05/2018, 8:08

ricdoc57 Vedi ultimo messaggio

Pachydesus rafaelae Geginat, 2009 - Carabidae Trechinae
19.I.2003 - SUD AFRICA - EE, R.S.A.: O.F.S. Golden Gate, N.P. 19.I.2003
Allegato(i)
Pachydesus rafaelae Geginat, 2009 - Carabidae Trechinae

in Carabidae


Dati di raccolta: 19.I.2003 - SUD AFRICA - EE, R.S.A.: O.F.S. Golden Gate, N.P. 19.I.2003

Notoxus59

2

776

31/03/2018, 13:38

Notoxus59 Vedi ultimo messaggio

Piezia angusticollis angusticollis Boheman, 1848 - Carabidae
15.XII.2012 - SUD AFRICA - EE, Limpopo prov.,Waterberg br.1010 m,Marken env.
Allegato(i)
Piezia angusticollis angusticollis Boheman, 1848 - Carabidae

in Carabidae


Dati di raccolta: 15.XII.2012 - SUD AFRICA - EE, Limpopo prov.,Waterberg br.1010 m,Marken env.

Honza

3

430

03/03/2021, 17:56

ricdoc57 Vedi ultimo messaggio

Piezia pilosevittata Thomson, 1857 - Carabidae
28.XI.2013 - SUD AFRICA - EE, Kwazulu Natal, 25 km W Emangusi, 55 m, 27°02.067'S 32°19.315E, 27-29.XI.2013 S. Prepsl leg.
Allegato(i)
Piezia pilosevittata Thomson, 1857 - Carabidae

in Carabidae


Dati di raccolta: 28.XI.2013 - SUD AFRICA - EE, Kwazulu Natal, 25 km W Emangusi, 55 m, 27°02.067'S 32°19.315E, 27-29.XI.2013 S. Prepsl leg.

Notoxus59

3

782

03/05/2015, 20:30

aug Vedi ultimo messaggio

Siopelus (Haplocoleus) lucens (Putzeys in Chaudoir, 1878) - Carabidae, Harpalinae
30.VII.2018 - SUD AFRICA - EE, prov. KwaZulu Natal - Mkuze
Allegato(i)
Siopelus (Haplocoleus) lucens (Putzeys in Chaudoir, 1878) - Carabidae, Harpalinae

in Carabidae


Dati di raccolta: 30.VII.2018 - SUD AFRICA - EE, prov. KwaZulu Natal - Mkuze

Rothari

6

1561

04/05/2020, 19:31

ricdoc57 Vedi ultimo messaggio



Inserisci un link per questa ricerca

Inserisci un link per questa ricerca URL
BBCode
HTML
Vai a: