Benvenuto Ospite

Forum Entomologi Italiani

www.entomologiitaliani.net/forum
 
Oggi è 24/10/2025, 23:55

Tutti gli orari sono UTC + 1 ora [ ora legale ]

Filtro località

Filtro località

In questo pannello è possibile effettuare delle ricerche mirate in base alle località inserite nel forum.

Statistiche

Statistiche
In totale ci sono 89542 taxa:
- 85643 taxa con dati completi
- 2724 taxa con dati parziali, riconducibili ad un paese
- 1175 taxa con dati incompleti


escludi dalla ricerca i subforum
Distribuzione in Europa
Distribuzione in Italia
Filtro applicato: AUSTRALIA

Pagina 1 di 1 [ 11 messaggi ]

# A B C D E F G H I J K L M N O P Q R S T U V W X Y Z
 Argomenti   Autore   Risposte   Visite    Ultimo messaggio 
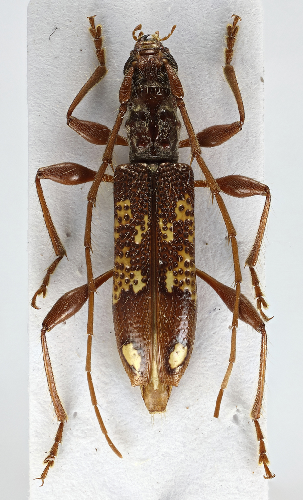
Agrianome spinicollis (MacLeay, 1826) - Cerambycidae Prioninae
VIII.2006 - AUSTRALIA - EE, Cape Tribulation
Allegato(i)
Agrianome spinicollis (MacLeay, 1826) - Cerambycidae Prioninae

in Cerambycidae


Dati di raccolta: VIII.2006 - AUSTRALIA - EE, Cape Tribulation

StagBeetle

2

641

04/02/2022, 13:31

StagBeetle Vedi ultimo messaggio

Agrianome spinicollis (Macleay, 1827) - Cerambycidae, Prioninae, Macrotominae
29.VIII.2011 - AUSTRALIA - EE, Queensland, Cape Tribulation
Allegato(i)
Agrianome spinicollis (Macleay, 1827) - Cerambycidae, Prioninae, Macrotominae

in Cerambycidae


Dati di raccolta: 29.VIII.2011 - AUSTRALIA - EE, Queensland, Cape Tribulation

Valerio

3

1437

22/11/2014, 21:15

marco villa Vedi ultimo messaggio

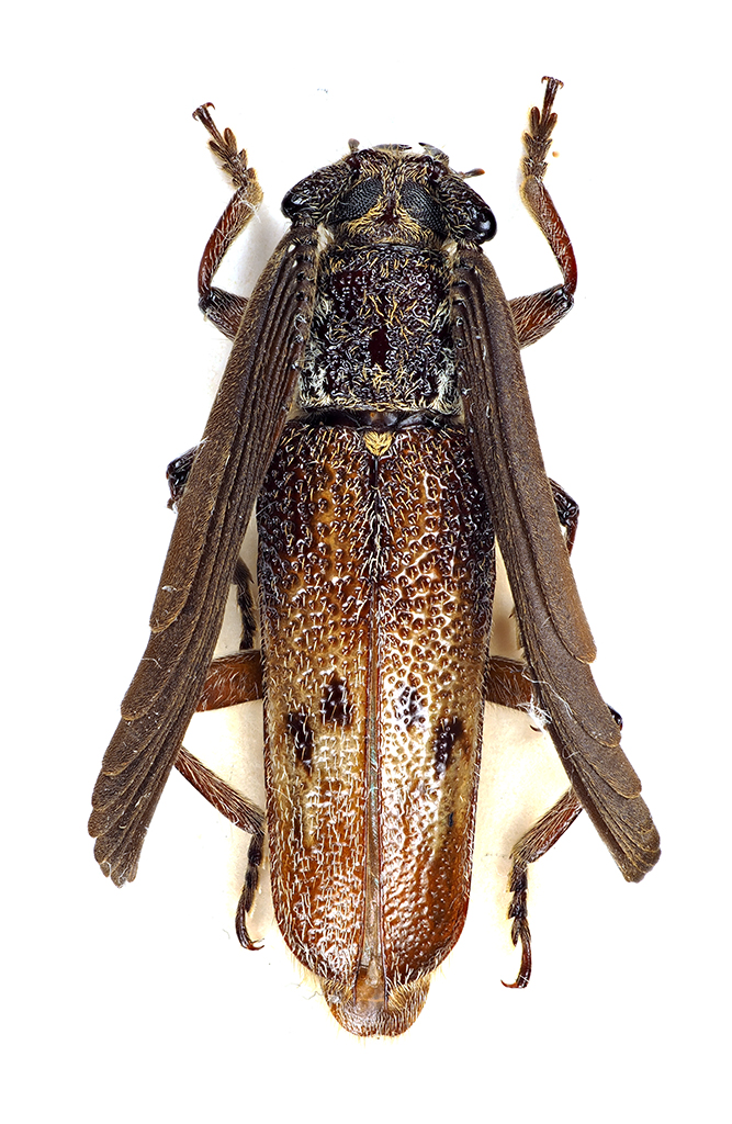
Batocera frenchi, van de Poll, 1886 - Cerambycidae
18.XII.2008 - AUSTRALIA - EE, Polly creeck, Garradunga, Queensland
Allegato(i)
Batocera frenchi, van de Poll, 1886 - Cerambycidae

in Cerambycidae


Dati di raccolta: 18.XII.2008 - AUSTRALIA - EE, Polly creeck, Garradunga, Queensland

Carlo A.

8

2643

08/02/2017, 20:02

Nicola Vedi ultimo messaggio

Allegato(i)
Coptocercus biguttatus (Donovan, 1805) - Cerambycidae Cerambycinae Elaphidiini

in Cerambycidae


Dati di raccolta: 11.I.2001 - AUSTRALIA - EE, QLD, Brochfield

Daniele Sechi

3

1073

29/11/2012, 16:42

Andricus Vedi ultimo messaggio

Pelargoderus rubropunctatus (Guérin-Méneville, 1838) - Australia
1.IX.2011 - AUSTRALIA - EE, Queensland, Cpe Tribulation
Allegato(i)
Pelargoderus rubropunctatus (Guérin-Méneville, 1838) - Australia

in Cerambycidae


Dati di raccolta: 1.IX.2011 - AUSTRALIA - EE, Queensland, Cpe Tribulation

Valerio

0

539

25/11/2014, 15:05

Valerio Vedi ultimo messaggio

Pentacosmia scoparia Newman, 1842 - Australia
X.1990 - AUSTRALIA - EE, Wollongong
Allegato(i)
Pentacosmia scoparia Newman, 1842 - Australia

in Cerambycidae


Dati di raccolta: X.1990 - AUSTRALIA - EE, Wollongong

marco paglialunga

5

1416

18/01/2011, 22:21

marco paglialunga Vedi ultimo messaggio

Piesarthrius bleeserae McKeown, 1942 - Cerambycidae Prioninae
VIII.2006 - AUSTRALIA - EE, Darwin
Allegato(i)
Piesarthrius bleeserae McKeown, 1942 - Cerambycidae Prioninae

in Cerambycidae


Dati di raccolta: VIII.2006 - AUSTRALIA - EE, Darwin

StagBeetle

4

657

21/01/2022, 13:42

StagBeetle Vedi ultimo messaggio

Poneridia sp. - Chrysomelidae
26.VIII.2011 - AUSTRALIA - EE, New South Wales, Byron Bay
Allegato(i)
Poneridia sp. - Chrysomelidae

in Chrysomelidae indeterminati


Dati di raccolta: 26.VIII.2011 - AUSTRALIA - EE, New South Wales, Byron Bay

Valerio

2

843

03/07/2017, 21:59

Julodis Vedi ultimo messaggio

Rhinophthalmus parvus McKeown, 1942 - Cerambycidae Cerambycinae Uracanthini
XII.2000 - AUSTRALIA - EE, QLD, Brochfield (Brisbane)
Allegato(i)
Rhinophthalmus parvus McKeown, 1942 - Cerambycidae Cerambycinae Uracanthini

in Cerambycidae


Dati di raccolta: XII.2000 - AUSTRALIA - EE, QLD, Brochfield (Brisbane)

Daniele Sechi

12

2504

09/12/2012, 12:48

Daniele Sechi Vedi ultimo messaggio

Rosenbergia drouini Rigut, 1992 - Cerambycidae
II.2005 - AUSTRALIA - EE, Polly Creek, Garradunga, North Queensland
Allegato(i)
Rosenbergia drouini Rigut, 1992 - Cerambycidae

in Cerambycidae


Dati di raccolta: II.2005 - AUSTRALIA - EE, Polly Creek, Garradunga, North Queensland

Carlo A.

2

1158

27/12/2017, 21:18

Carlo A. Vedi ultimo messaggio

Sybra sp. - Cerambycidae Lamiinae
1.IX.2011 - AUSTRALIA - EE, Queensland, Cape Tribulation
Allegato(i)
Sybra sp. - Cerambycidae Lamiinae

in Cerambycidae


Dati di raccolta: 1.IX.2011 - AUSTRALIA - EE, Queensland, Cape Tribulation

Valerio

2

896

25/11/2014, 0:55

Valerio Vedi ultimo messaggio


Inserisci un link per questa ricerca

Inserisci un link per questa ricerca URL
BBCode
HTML
Vai a: