Benvenuto Ospite

Forum Entomologi Italiani

www.entomologiitaliani.net/forum
 
Oggi è 24/10/2025, 21:00

Tutti gli orari sono UTC + 1 ora [ ora legale ]

Filtro località

Filtro località

In questo pannello è possibile effettuare delle ricerche mirate in base alle località inserite nel forum.

Statistiche

Statistiche
In totale ci sono 89542 taxa:
- 85643 taxa con dati completi
- 2724 taxa con dati parziali, riconducibili ad un paese
- 1175 taxa con dati incompleti


escludi dalla ricerca i subforum
Distribuzione in Europa
Distribuzione in Italia
Filtro applicato: BRASILE

Pagina 1 di 1 [ 11 messaggi ]

# A B C D E F G H I J K L M N O P Q R S T U V W X Y Z
 Argomenti   Autore   Risposte   Visite    Ultimo messaggio 
Allegato(i)
Acrocinus longimanus Linnaeus, 1758 - Cerambycidae - Brasile

in Cerambycidae


Dati di raccolta: 1973 - BRASILE - EE

Julodis

10

2402

03/10/2010, 20:38

Andricus Vedi ultimo messaggio

Coccoderus novempunctatus (Germar, 1824) - Cerambycidae Cerambycinae
10.XII.1988 - BRASILE - EE, Cascate dell'Iguazù
Allegato(i)
Coccoderus novempunctatus (Germar, 1824) - Cerambycidae Cerambycinae

in Cerambycidae


Dati di raccolta: 10.XII.1988 - BRASILE - EE, Cascate dell'Iguazù

StagBeetle

2

455

21/01/2022, 0:31

StagBeetle Vedi ultimo messaggio

Allegato(i)
Dorynota (s. str.) monoceros (Germar, 1824) - Chrysomelidae Cassidinae

in Chrysomelidae


Dati di raccolta: XI.1937 - BRASILE - EE, Mendes

Malpertuis

2

2227

22/11/2016, 9:27

Malpertuis Vedi ultimo messaggio

Eburodacrys sexguttata Lameere 1884 - Cerambycidae Cerambycinae
10.XII.1988 - BRASILE - EE, Cascate dell'Iguazù
Allegato(i)
Eburodacrys sexguttata Lameere 1884 - Cerambycidae Cerambycinae

in Cerambycidae


Dati di raccolta: 10.XII.1988 - BRASILE - EE, Cascate dell'Iguazù

StagBeetle

5

942

22/01/2022, 0:39

StagBeetle Vedi ultimo messaggio

Hypocephalus armatus Desmarest, 1832 - Cerambycidae
3.XII.2013 - BRASILE - EE, Minas Gerais, Aguas Vermelias
Allegato(i)
Hypocephalus armatus Desmarest, 1832 - Cerambycidae

in Cerambycidae


Dati di raccolta: 3.XII.2013 - BRASILE - EE, Minas Gerais, Aguas Vermelias

Julodis

13

3798

09/01/2015, 22:36

Julodis Vedi ultimo messaggio

Allegato(i)
Macrodontia cervicornis (Linnaeus, 1758) - Cerambycidae - Brasile

in Cerambycidae


Dati di raccolta: I.1986 - BRASILE - EE, Amazonas

Julodis

1

844

01/10/2010, 23:56

cosmln Vedi ultimo messaggio

Malacopterus pavidus (Germar, 1824) - Cerambycidae
10.XII.1988 - BRASILE - EE, Cascate dell'Iguazù
Allegato(i)
Malacopterus pavidus (Germar, 1824) - Cerambycidae

in Cerambycidae


Dati di raccolta: 10.XII.1988 - BRASILE - EE, Cascate dell'Iguazù

StagBeetle

1

534

23/01/2022, 19:56

StagBeetle Vedi ultimo messaggio

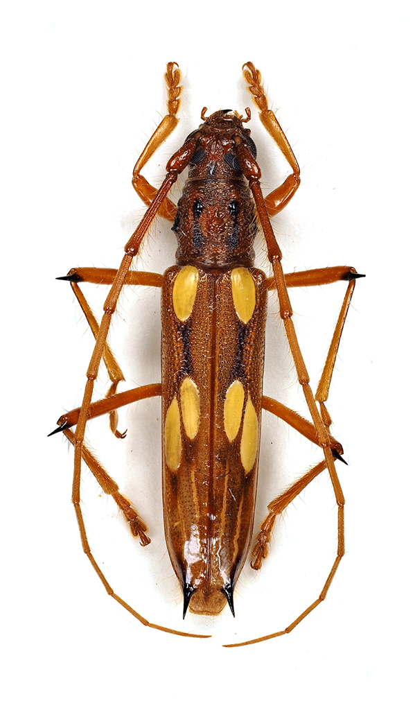
Mallaspis scutellaris (Olivier, 1795) - Cerambycidae
21.IV.2016 - BRASILE - EE, Porto Velho (Rondonia)
Allegato(i)
Mallaspis scutellaris (Olivier, 1795) - Cerambycidae

in Cerambycidae


Dati di raccolta: 21.IV.2016 - BRASILE - EE, Porto Velho (Rondonia)

Autarcontes

5

1683

31/05/2016, 23:08

Letizia Migliore Vedi ultimo messaggio

Mallodon spinibarbis (Linnaeus, 1758) (cf.) - Cerambycidae
10.XII.1988 - BRASILE - EE, Cascate dell'Iguazù
Allegato(i)
Mallodon spinibarbis (Linnaeus, 1758) (cf.) - Cerambycidae

in Cerambycidae


Dati di raccolta: 10.XII.1988 - BRASILE - EE, Cascate dell'Iguazù

StagBeetle

0

337

04/02/2022, 21:12

StagBeetle Vedi ultimo messaggio

Allegato(i)
Retrachydes thoracicus (Olivier, 1790) - Cerambycidae

in Cerambycidae


Dati di raccolta: VI.2011 - BRASILE - EE, .

Loriscola

4

1282

13/08/2011, 20:53

Glaphyrus Vedi ultimo messaggio

Tropidion sp. - Cerambycidae
10.XII.1988 - BRASILE - EE, Cascate dell'Iguazù
Allegato(i)
Tropidion sp. - Cerambycidae

in Cerambycidae


Dati di raccolta: 10.XII.1988 - BRASILE - EE, Cascate dell'Iguazù

StagBeetle

1

484

25/01/2022, 14:02

StagBeetle Vedi ultimo messaggio


Inserisci un link per questa ricerca

Inserisci un link per questa ricerca URL
BBCode
HTML
Vai a: