Benvenuto Ospite

Forum Entomologi Italiani

www.entomologiitaliani.net/forum
 
Oggi è 24/10/2025, 21:03

Tutti gli orari sono UTC + 1 ora [ ora legale ]

Filtro località

Filtro località

In questo pannello è possibile effettuare delle ricerche mirate in base alle località inserite nel forum.

Statistiche

Statistiche
In totale ci sono 89542 taxa:
- 85643 taxa con dati completi
- 2724 taxa con dati parziali, riconducibili ad un paese
- 1175 taxa con dati incompleti


escludi dalla ricerca i subforum
Distribuzione in Europa
Distribuzione in Italia
Filtro applicato: GERMANIA

Pagina 1 di 2 [ 27 messaggi ]

# A B C D E F G H I J K L M N O P Q R S T U V W X Y Z
 Argomenti   Autore   Risposte   Visite    Ultimo messaggio 
Agapanthia (Epoptes) villosoviridescens (De Geer, 1775) - Cerambycidae
28.V.2010 - GERMANIA - EE, SE Berlino, Spreewald
Allegato(i) Dettagli della specie
Agapanthia (Epoptes) villosoviridescens (De Geer, 1775) - Cerambycidae

in Cerambycidae


Dati di raccolta: 28.V.2010 - GERMANIA - EE, SE Berlino, Spreewald

matthew gandy

6

2074

31/05/2010, 14:06

Plagionotus Vedi ultimo messaggio

Agelastica alni (Linnaeus, 1758) - Chrysomelidae
25.IV.2011 - GERMANIA - EE, Spreewald, Brandenburg (south of Berlin)
Allegato(i)
Agelastica alni (Linnaeus, 1758) - Chrysomelidae

in Chrysomelidae


Dati di raccolta: 25.IV.2011 - GERMANIA - EE, Spreewald, Brandenburg (south of Berlin)

matthew gandy

4

1055

29/04/2011, 20:43

Maw89 Vedi ultimo messaggio

Alosterna tabacicolor (De Geer, 1775) - Cerambycidae
29.V.2010 - GERMANIA - EE, SE Berlino, Spreewald
Allegato(i) Dettagli della specie
Alosterna tabacicolor (De Geer, 1775) - Cerambycidae

in Cerambycidae


Dati di raccolta: 29.V.2010 - GERMANIA - EE, SE Berlino, Spreewald

matthew gandy

7

1747

03/06/2010, 14:06

Giuseppe Vedi ultimo messaggio

Anaglyptus mysticus (Linnaeus, 1758). Cerambycidae. Germania
19.VI.2010 - GERMANIA - EE, S Berlino, Sprewald
Allegato(i)
Anaglyptus mysticus (Linnaeus, 1758). Cerambycidae. Germania

in Cerambycidae


Dati di raccolta: 19.VI.2010 - GERMANIA - EE, S Berlino, Sprewald

matthew gandy

2

758

20/06/2010, 9:57

matthew gandy Vedi ultimo messaggio

Allegato(i) Dettagli della specie
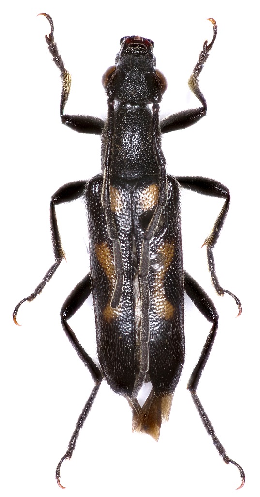
Anoplodera (Anoplodera) sexguttata (Fabricius, 1775) - Cerambycidae

in Cerambycidae


Dati di raccolta: 8.VI.2012 - GERMANIA - EE, Northeim

gstalker

2

1024

05/01/2016, 23:33

gstalker Vedi ultimo messaggio

Arhopalus rusticus (Linnaeus, 1758) - Cerambycidae
18.VI.2014 - GERMANIA - EE, Northeim
Allegato(i) Dettagli della specie
Arhopalus rusticus (Linnaeus, 1758) - Cerambycidae

in Cerambycidae


Dati di raccolta: 18.VI.2014 - GERMANIA - EE, Northeim

gstalker

4

1365

05/01/2016, 20:16

gstalker Vedi ultimo messaggio

Aromia moschata moschata (Linnaeus, 1758) - Cerambycidae
23.VII.2011 - GERMANIA - EE, Spreewald, Brandenburg (south of Berlin)
Allegato(i) Dettagli della specie
Aromia moschata moschata (Linnaeus, 1758) - Cerambycidae

in Cerambycidae


Dati di raccolta: 23.VII.2011 - GERMANIA - EE, Spreewald, Brandenburg (south of Berlin)

matthew gandy

7

1662

24/07/2011, 17:12

Sleepy Moose Vedi ultimo messaggio

Callidium violaceum (Linnaeus, 1758) - Cerambycidae
7.VI.2015 - GERMANIA - EE, Northeim
Allegato(i) Dettagli della specie
Callidium violaceum (Linnaeus, 1758) - Cerambycidae

in Cerambycidae


Dati di raccolta: 7.VI.2015 - GERMANIA - EE, Northeim

gstalker

2

927

09/06/2015, 22:31

gstalker Vedi ultimo messaggio

Cassida (Cassida) nebulosa Linnaeus, 1758
13.VI.2011 - GERMANIA - EE, Spreewald, Brandenburg (south of Berlin)
Allegato(i)
Cassida (Cassida) nebulosa Linnaeus, 1758

in Chrysomelidae


Dati di raccolta: 13.VI.2011 - GERMANIA - EE, Spreewald, Brandenburg (south of Berlin)

matthew gandy

3

854

20/06/2011, 17:18

Lech Borowiec Vedi ultimo messaggio

Chrysolina (Erythrochrysa) polita (Linnaeus, 1758) - Chrysomelidae - Germany
29.V.2010 - GERMANIA - EE, Spreewald, near Berlin
Allegato(i)
Chrysolina (Erythrochrysa) polita (Linnaeus, 1758) - Chrysomelidae - Germany

in Chrysomelidae


Dati di raccolta: 29.V.2010 - GERMANIA - EE, Spreewald, near Berlin

matthew gandy

4

1264

07/06/2010, 23:06

matthew gandy Vedi ultimo messaggio

Allegato(i)
Chrysolina (Euchrysolina) graminis (Linnaeus, 1758) (cf.) - Chrysomelidae

in Chrysomelidae


Dati di raccolta: 11.VII.2014 - GERMANIA - EE, Northeim

gstalker

1

761

15/08/2016, 19:28

gstalker Vedi ultimo messaggio

Allegato(i) Dettagli della specie
Chrysolina (Fastuolina) fastuosa fastuosa (Scopoli, 1763) - Chrysomelidae

in Chrysomelidae


Dati di raccolta: 11.VII.2014 - GERMANIA - EE, Northeim

gstalker

2

985

05/03/2016, 14:36

Glaphyrus Vedi ultimo messaggio

Crepidodera aurata (Marsham, 1802) - Chrysomelidae
17.VI.2010 - GERMANIA - EE, Spreewald
Allegato(i) Dettagli della specie
Crepidodera aurata (Marsham, 1802) - Chrysomelidae

in Chrysomelidae


Dati di raccolta: 17.VI.2010 - GERMANIA - EE, Spreewald

matthew gandy

4

1527

21/12/2010, 22:18

Lech Borowiec Vedi ultimo messaggio

Crepidodera aurea (Geoffroy, 1785) - Chrysomelidae
24.V.2015 - GERMANIA - EE, Northeim
Allegato(i) Dettagli della specie
Crepidodera aurea (Geoffroy, 1785) - Chrysomelidae

in Chrysomelidae


Dati di raccolta: 24.V.2015 - GERMANIA - EE, Northeim

gstalker

2

747

02/11/2015, 19:22

gstalker Vedi ultimo messaggio

Allegato(i) Dettagli della specie
Cryptocephalus (Cryptocephalus) sericeus intrusus Weise, 1882 - Chrysomelidae cf.

in Chrysomelidae indeterminati


Dati di raccolta: 4.VII.2015 - GERMANIA - EE, Northeim

gstalker

5

1398

21/06/2016, 15:56

enneaccatre Vedi ultimo messaggio



Inserisci un link per questa ricerca

Inserisci un link per questa ricerca URL
BBCode
HTML
Vai a: