Benvenuto Ospite

Forum Entomologi Italiani

www.entomologiitaliani.net/forum
 
Oggi è 24/10/2025, 23:34

Tutti gli orari sono UTC + 1 ora [ ora legale ]

Filtro località

Filtro località

In questo pannello è possibile effettuare delle ricerche mirate in base alle località inserite nel forum.

Statistiche

Statistiche
In totale ci sono 89542 taxa:
- 85643 taxa con dati completi
- 2724 taxa con dati parziali, riconducibili ad un paese
- 1175 taxa con dati incompleti


escludi dalla ricerca i subforum
Distribuzione in Europa
Distribuzione in Italia
Filtro applicato: ITALIA - Basilicata

Pagina 1 di 6 [ 89 messaggi ]

# A B C D E F G H I J K L M N O P Q R S T U V W X Y Z
 Argomenti   Autore   Risposte   Visite    Ultimo messaggio 
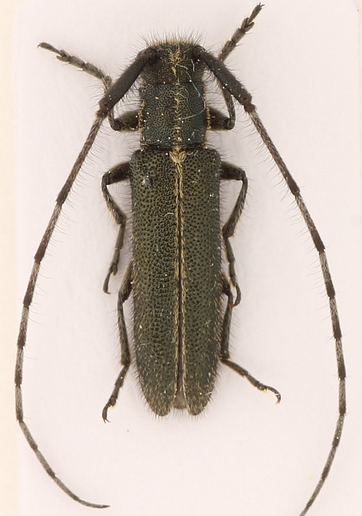
Agapanthia (Agapanthia) cardui (Linnaeus, 1767) - Cerambycidae
21.V.2011 - ITALIA - Basilicata - MT, Gallipoli Cognato
Allegato(i) Dettagli della specie
Agapanthia (Agapanthia) cardui (Linnaeus, 1767) - Cerambycidae

in Cerambycidae


Dati di raccolta: 21.V.2011 - ITALIA - Basilicata - MT, Gallipoli Cognato

Mimmo011

2

1201

21/05/2011, 18:04

Mimmo011 Vedi ultimo messaggio

Agapanthia (Agapanthia) cardui (Linnaeus, 1767) - Cerambycidae
22.VII.2004 - ITALIA - Basilicata - PZ, Terranova del Pollino, fraz. Casa del Conte, 1000 m circa, 22.VII.2004
Allegato(i) Dettagli della specie
Agapanthia (Agapanthia) cardui (Linnaeus, 1767) - Cerambycidae

in Cerambycidae


Dati di raccolta: 22.VII.2004 - ITALIA - Basilicata - PZ, Terranova del Pollino, fraz. Casa del Conte, 1000 m circa, 22.VII.2004

Isotomus

3

1559

21/08/2011, 19:51

Julodis Vedi ultimo messaggio

Agapanthia (Agapanthia) cardui (Linnaeus, 1767) - Cerambycidae
9.IV.2012 - ITALIA - Basilicata - MT, Matera
Allegato(i) Dettagli della specie
Agapanthia (Agapanthia) cardui (Linnaeus, 1767) - Cerambycidae

in Cerambycidae


Dati di raccolta: 9.IV.2012 - ITALIA - Basilicata - MT, Matera

Mimmo011

5

1764

19/04/2012, 23:24

Mimmo011 Vedi ultimo messaggio

Agapanthia (Epoptes) asphodeli (Latreille, 1804) - Cerambycidae
22.IV.2011 - ITALIA - Basilicata - MT, Matera
Allegato(i) Dettagli della specie
Agapanthia (Epoptes) asphodeli (Latreille, 1804) - Cerambycidae

in Cerambycidae


Dati di raccolta: 22.IV.2011 - ITALIA - Basilicata - MT, Matera

Mimmo011

9

2500

24/04/2011, 17:35

Isotomus Vedi ultimo messaggio

Agapanthia (Epoptes) asphodeli (Latreille, 1804) - Cerambycidae
2.V.2012 - ITALIA - Basilicata - MT, Murgia Timone
Allegato(i) Dettagli della specie
Agapanthia (Epoptes) asphodeli (Latreille, 1804) - Cerambycidae

in Cerambycidae


Dati di raccolta: 2.V.2012 - ITALIA - Basilicata - MT, Murgia Timone

Mimmo011

12

2795

07/09/2012, 18:51

Plagionotus Vedi ultimo messaggio

Agapanthia (Epoptes) asphodeli (Latreille, 1804) - Cerambycidae
7.V.2017 - ITALIA - Basilicata - MT, Matera
Allegato(i) Dettagli della specie
Agapanthia (Epoptes) asphodeli (Latreille, 1804) - Cerambycidae

[ Vai alla pagina: 1, 2 ]

in Cerambycidae


Dati di raccolta: 7.V.2017 - ITALIA - Basilicata - MT, Matera

aguaplano

15

4885

13/05/2017, 19:19

aguaplano Vedi ultimo messaggio

Agapanthia (Epoptes) cynarae (Germar, 1817) - Cerambycidae
7.VII.2015 - ITALIA - Basilicata - PZ, San Martino d'Agri
Allegato(i) Dettagli della specie
Agapanthia (Epoptes) cynarae (Germar, 1817) - Cerambycidae

in Cerambycidae


Dati di raccolta: 7.VII.2015 - ITALIA - Basilicata - PZ, San Martino d'Agri

gigilmozzi

2

1410

14/07/2015, 19:20

gigilmozzi Vedi ultimo messaggio

Agapanthia (Epoptes) cynarae (Germar, 1817) - Cerambycidae
15.IV.2016 - ITALIA - Basilicata - MT, Montalbano Jonico (MT)
Allegato(i) Dettagli della specie
Agapanthia (Epoptes) cynarae (Germar, 1817) - Cerambycidae

in Cerambycidae


Dati di raccolta: 15.IV.2016 - ITALIA - Basilicata - MT, Montalbano Jonico (MT)

donatol

10

2739

02/05/2016, 14:09

donatol Vedi ultimo messaggio

Altica sp. - Chrysomelidae - Basilicata
2.IX.2010 - ITALIA - Basilicata - MT, Matera
Allegato(i)
Altica sp. - Chrysomelidae - Basilicata

in Chrysomelidae indeterminati


Dati di raccolta: 2.IX.2010 - ITALIA - Basilicata - MT, Matera

Mimmo011

12

2539

06/09/2010, 9:24

Mimmo011 Vedi ultimo messaggio

Anoplodera (Anoplodera) rufipes izzilloi Sama, 1999 - Cerambycidae
27.V.2014 - ITALIA - Basilicata - MT, Accettura - dintorni
Allegato(i) Dettagli della specie
Anoplodera (Anoplodera) rufipes izzilloi Sama, 1999 - Cerambycidae

in Cerambycidae


Dati di raccolta: 27.V.2014 - ITALIA - Basilicata - MT, Accettura - dintorni

f.izzillo

8

2265

27/05/2014, 21:18

AleP Vedi ultimo messaggio

Arhopalus sp. ? - Cerambycidae - larva
4.I.2012 - ITALIA - Basilicata - PZ, Senise, 412 m, 40°09'41"N 16°15'59"E, ex larva Pinus pinea, leg. I. Zappi
Allegato(i)
Arhopalus sp. ? - Cerambycidae - larva

in Cerambycidae


Dati di raccolta: 4.I.2012 - ITALIA - Basilicata - PZ, Senise, 412 m, 40°09'41"N 16°15'59"E, ex larva Pinus pinea, leg. I. Zappi

Enoplium

4

1071

08/11/2012, 18:09

Enoplium Vedi ultimo messaggio

Bruchus gr. brachialis - Chrysomelidae Bruchinae
21.V.2011 - ITALIA - Basilicata - MT, Gallipoli Cognato
Allegato(i)
Bruchus gr. brachialis - Chrysomelidae Bruchinae

in Chrysomelidae


Dati di raccolta: 21.V.2011 - ITALIA - Basilicata - MT, Gallipoli Cognato

Mimmo011

10

2010

21/05/2011, 20:05

Lech Borowiec Vedi ultimo messaggio

Cerambyx cerdo cerdo Linnaeus, 1758 - Cerambycidae
13.VI.1993 - ITALIA - Basilicata - PZ, Noepoli
Allegato(i) Dettagli della specie
Cerambyx cerdo cerdo Linnaeus, 1758 - Cerambycidae

in Cerambycidae


Dati di raccolta: 13.VI.1993 - ITALIA - Basilicata - PZ, Noepoli

f.izzillo

3

1416

24/07/2013, 21:30

f.izzillo Vedi ultimo messaggio

Cerambyx miles Bonelli, 1812 - Cerambycidae
6.VII.2015 - ITALIA - Basilicata - PZ, Senise
Allegato(i) Dettagli della specie
Cerambyx miles Bonelli, 1812 - Cerambycidae

in Cerambycidae


Dati di raccolta: 6.VII.2015 - ITALIA - Basilicata - PZ, Senise

Mimmo011

13

2490

13/03/2016, 11:30

Plagionotus Vedi ultimo messaggio

Cerambyx miles Bonelli, 1812 - Cerambycidae
9.VII.2016 - ITALIA - Basilicata - MT, Montalbano Jonico (MT)
Allegato(i) Dettagli della specie
Cerambyx miles Bonelli, 1812 - Cerambycidae

in Cerambycidae


Dati di raccolta: 9.VII.2016 - ITALIA - Basilicata - MT, Montalbano Jonico (MT)

donatol

2

1243

10/07/2016, 20:03

donatol Vedi ultimo messaggio



Inserisci un link per questa ricerca

Inserisci un link per questa ricerca URL
BBCode
HTML
Vai a: