Benvenuto Ospite

Forum Entomologi Italiani

www.entomologiitaliani.net/forum
 
Oggi è 25/10/2025, 6:24

Tutti gli orari sono UTC + 1 ora [ ora legale ]

Filtro località

Filtro località

In questo pannello è possibile effettuare delle ricerche mirate in base alle località inserite nel forum.

Statistiche

Statistiche
In totale ci sono 89542 taxa:
- 85643 taxa con dati completi
- 2724 taxa con dati parziali, riconducibili ad un paese
- 1175 taxa con dati incompleti


escludi dalla ricerca i subforum
Distribuzione in Europa
Distribuzione in Italia
Filtro applicato: ITALIA - Lazio

Pagina 1 di 55 [ 823 messaggi ]

# A B C D E F G H I J K L M N O P Q R S T U V W X Y Z
 Argomenti   Autore   Risposte   Visite    Ultimo messaggio 
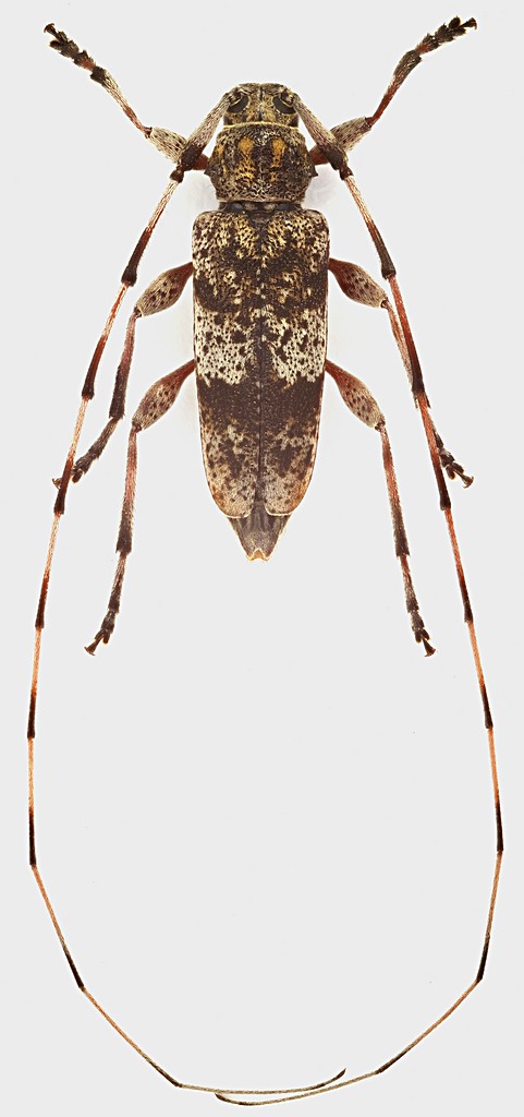
Acanthocinus griseus (Fabricius, 1792) - Cerambycidae
11.VIII.2016 - ITALIA - Lazio - FR, Serrone, 650 m
Allegato(i) Dettagli della specie
Acanthocinus griseus (Fabricius, 1792) - Cerambycidae

in Cerambycidae


Dati di raccolta: 11.VIII.2016 - ITALIA - Lazio - FR, Serrone, 650 m

Julodis

5

2136

13/08/2016, 21:33

Julodis Vedi ultimo messaggio

Acanthocinus griseus (Fabricius, 1792) - Cerambycidae
18.VI.2017 - ITALIA - Lazio - FR, Serrone, 650 m
Allegato(i) Dettagli della specie
Acanthocinus griseus (Fabricius, 1792) - Cerambycidae

in Cerambycidae


Dati di raccolta: 18.VI.2017 - ITALIA - Lazio - FR, Serrone, 650 m

Julodis

0

1291

19/06/2017, 17:13

Julodis Vedi ultimo messaggio

Acanthocinus xanthoneurus (Mulsant & Rey, 1852) - Cerambycidae
19.VII.2010 - ITALIA - Lazio - LT, M.te Sant'Angelo, 1100m
Allegato(i) Dettagli della specie
Acanthocinus xanthoneurus (Mulsant & Rey, 1852) - Cerambycidae

in Cerambycidae


Dati di raccolta: 19.VII.2010 - ITALIA - Lazio - LT, M.te Sant'Angelo, 1100m

Anillus

4

2009

10/10/2010, 21:55

Anillus Vedi ultimo messaggio

Acanthocinus xanthoneurus (Mulsant & Rey, 1852) - Cerambycidae
4.VII.1987 - ITALIA - Lazio - FR, Monte Viglio, 1800m, M. Gigli legit
Allegato(i) Dettagli della specie
Acanthocinus xanthoneurus (Mulsant & Rey, 1852) - Cerambycidae

in Cerambycidae


Dati di raccolta: 4.VII.1987 - ITALIA - Lazio - FR, Monte Viglio, 1800m, M. Gigli legit

Julodis

6

2427

24/03/2010, 10:50

Isotomus Vedi ultimo messaggio

Acanthocinus xanthoneurus (Mulsant & Rey, 1852) - Cerambycidae
19.VI.2011 - ITALIA - Lazio - RI, M. Terminillo, vers W, 1.670 m
Allegato(i) Dettagli della specie
Acanthocinus xanthoneurus (Mulsant & Rey, 1852) - Cerambycidae

[ Vai alla pagina: 1, 2 ]

in Cerambycidae


Dati di raccolta: 19.VI.2011 - ITALIA - Lazio - RI, M. Terminillo, vers W, 1.670 m

Valerio

18

5208

10/12/2014, 21:04

Valerio Vedi ultimo messaggio

Aegomorphus clavipes (Schrank, 1781) - Cerambycidae
24.VI.2010 - ITALIA - Lazio - RM, valle dell'Aniene
Allegato(i) Dettagli della specie
Aegomorphus clavipes (Schrank, 1781) - Cerambycidae

in Cerambycidae


Dati di raccolta: 24.VI.2010 - ITALIA - Lazio - RM, valle dell'Aniene

soken

2

1069

10/07/2010, 13:02

soken Vedi ultimo messaggio

Aegomorphus clavipes (Schrank, 1781) - Cerambycidae
VII.2013 - ITALIA - Lazio - RM, San Vittorino, da ciliegio
Allegato(i) Dettagli della specie
Aegomorphus clavipes (Schrank, 1781) - Cerambycidae

in Cerambycidae


Dati di raccolta: VII.2013 - ITALIA - Lazio - RM, San Vittorino, da ciliegio

Julodis

4

1614

03/09/2013, 22:13

f.izzillo Vedi ultimo messaggio

Aegosoma scabricorne (Scopoli, 1763) - Cerambycidae
25.VII.2009 - ITALIA - Lazio - RM, Anzio
Allegato(i) Dettagli della specie
Aegosoma scabricorne (Scopoli, 1763) - Cerambycidae

in Cerambycidae


Dati di raccolta: 25.VII.2009 - ITALIA - Lazio - RM, Anzio

Goliathus

1

852

20/12/2009, 13:59

Plagionotus Vedi ultimo messaggio

Aegosoma scabricorne (Scopoli, 1763) - Cerambycidae
2.VII.2010 - ITALIA - Lazio - RM, Maziana
Allegato(i) Dettagli della specie
Aegosoma scabricorne (Scopoli, 1763) - Cerambycidae

in Cerambycidae


Dati di raccolta: 2.VII.2010 - ITALIA - Lazio - RM, Maziana

madh

3

1217

12/07/2010, 14:59

Isotomus Vedi ultimo messaggio

Aegosoma scabricorne (Scopoli, 1763) - Cerambycidae
21.VII.2011 - ITALIA - Lazio - RM, Marino
Allegato(i) Dettagli della specie
Aegosoma scabricorne (Scopoli, 1763) - Cerambycidae

in Cerambycidae


Dati di raccolta: 21.VII.2011 - ITALIA - Lazio - RM, Marino

soken

2

1108

22/07/2011, 18:52

soken Vedi ultimo messaggio

Aegosoma scabricorne (Scopoli, 1763) - Cerambycidae
18.V.2012 - ITALIA - Lazio - RM, Querceta di Pomezia, da legna raccolta il 23/III/2012
Allegato(i) Dettagli della specie
Aegosoma scabricorne (Scopoli, 1763) - Cerambycidae

[ Vai alla pagina: 1, 2, 3 ]

in Cerambycidae


Dati di raccolta: 18.V.2012 - ITALIA - Lazio - RM, Querceta di Pomezia, da legna raccolta il 23/III/2012

Fabio Turchetti

34

7035

26/06/2012, 12:13

Fabio Turchetti Vedi ultimo messaggio

Aegosoma scabricorne (Scopoli, 1763) - Cerambycidae
27.VI.2012 - ITALIA - Lazio - RM, Manziana
Allegato(i) Dettagli della specie
Aegosoma scabricorne (Scopoli, 1763) - Cerambycidae

in Cerambycidae


Dati di raccolta: 27.VI.2012 - ITALIA - Lazio - RM, Manziana

Julodis

7

1508

22/08/2012, 21:54

Umbro Vedi ultimo messaggio

Aegosoma scabricorne (Scopoli, 1763) - Cerambycidae
11.VII.2013 - ITALIA - Lazio - RM, Nettuno, Bosco di Foglino
Allegato(i) Dettagli della specie
Aegosoma scabricorne (Scopoli, 1763) - Cerambycidae

in Cerambycidae


Dati di raccolta: 11.VII.2013 - ITALIA - Lazio - RM, Nettuno, Bosco di Foglino

Fabio Turchetti

1

850

14/07/2013, 10:13

Fabio Turchetti Vedi ultimo messaggio

Aegosoma scabricorne (Scopoli, 1763) - Cerambycidae
24.IX.2014 - ITALIA - Lazio - RM, Bosco di manziana
Allegato(i) Dettagli della specie
Aegosoma scabricorne (Scopoli, 1763) - Cerambycidae

in Cerambycidae


Dati di raccolta: 24.IX.2014 - ITALIA - Lazio - RM, Bosco di manziana

Julodis

2

1163

25/09/2014, 8:15

AleP Vedi ultimo messaggio

Aegosoma scabricorne (Scopoli, 1763) - Cerambycidae
25.II.2022 - ITALIA - Lazio - RM, Macchia di Gattaceca
Allegato(i) Dettagli della specie
Aegosoma scabricorne (Scopoli, 1763) - Cerambycidae

in Cerambycidae


Dati di raccolta: 25.II.2022 - ITALIA - Lazio - RM, Macchia di Gattaceca

Broc

3

665

05/03/2022, 8:57

Xylosteus Vedi ultimo messaggio



Inserisci un link per questa ricerca

Inserisci un link per questa ricerca URL
BBCode
HTML
Vai a:  
cron