Benvenuto Ospite

Forum Entomologi Italiani

www.entomologiitaliani.net/forum
 
Oggi è 24/10/2025, 23:46

Tutti gli orari sono UTC + 1 ora [ ora legale ]

Filtro località

Filtro località

In questo pannello è possibile effettuare delle ricerche mirate in base alle località inserite nel forum.

Statistiche

Statistiche
In totale ci sono 89542 taxa:
- 85643 taxa con dati completi
- 2724 taxa con dati parziali, riconducibili ad un paese
- 1175 taxa con dati incompleti


escludi dalla ricerca i subforum
Distribuzione in Europa
Distribuzione in Italia
Filtro applicato: ITALIA - Sardegna

Pagina 1 di 21 [ 308 messaggi ]

# A B C D E F G H I J K L M N O P Q R S T U V W X Y Z
 Argomenti   Autore   Risposte   Visite    Ultimo messaggio 
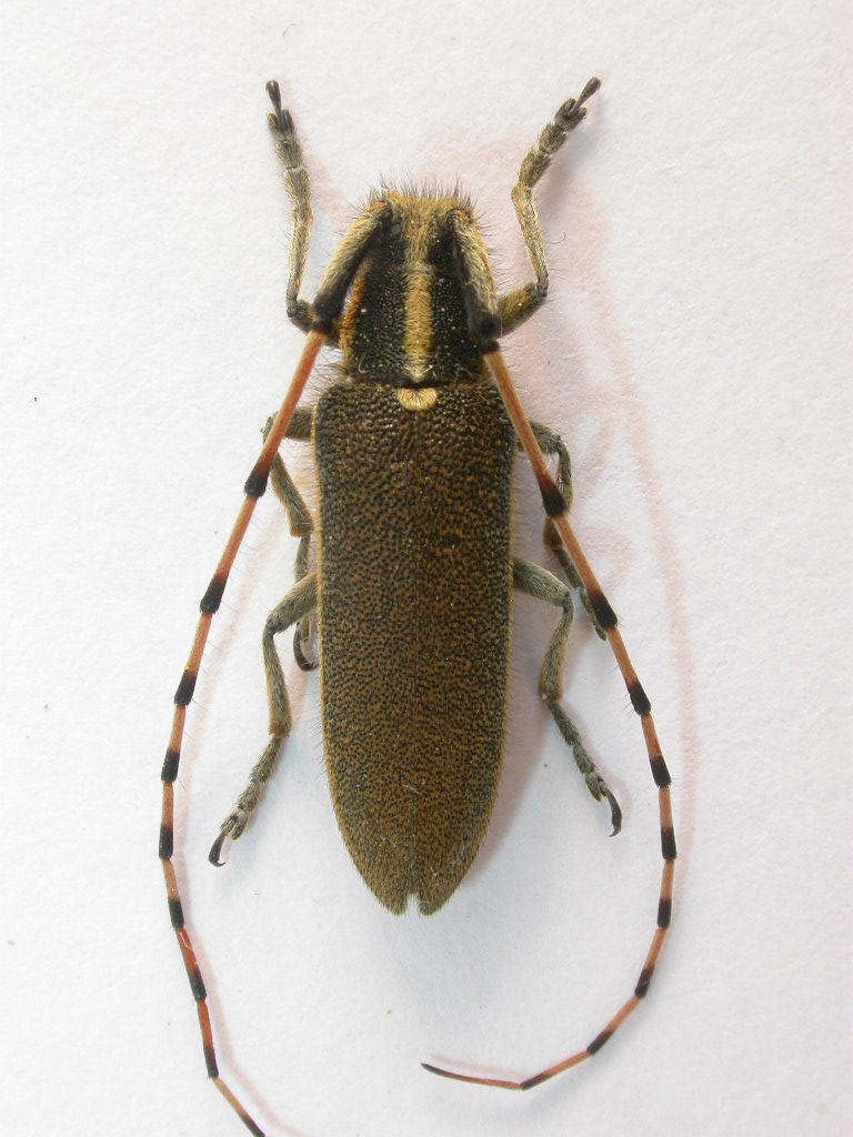
Aegomorphus clavipes (Schrank, 1781) - Cerambycidae
6.V.2014 - ITALIA - Sardegna - VS, Gonnosfanadiga, Rio Piras
Allegato(i) Dettagli della specie
Aegomorphus clavipes (Schrank, 1781) - Cerambycidae

in Cerambycidae


Dati di raccolta: 6.V.2014 - ITALIA - Sardegna - VS, Gonnosfanadiga, Rio Piras

Federico A.

2

1254

06/05/2014, 19:53

Federico A. Vedi ultimo messaggio

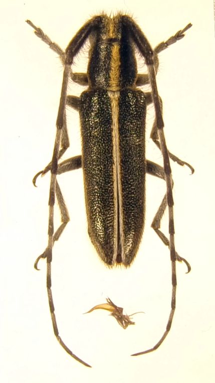
Aegomorphus clavipes (Schrank, 1781) - Cerambycidae
23.VII.2014 - ITALIA - Sardegna - CA, Sinnai, loc. Bau Arrexini, leg. R. Rattu
Allegato(i) Dettagli della specie
Aegomorphus clavipes (Schrank, 1781) - Cerambycidae

in Cerambycidae


Dati di raccolta: 23.VII.2014 - ITALIA - Sardegna - CA, Sinnai, loc. Bau Arrexini, leg. R. Rattu

Fumea crassiorella

0

695

30/07/2014, 10:24

Fumea crassiorella Vedi ultimo messaggio

Aegosoma scabricorne (Scopoli, 1763) - Cerambycidae
26.V.2014 - ITALIA - Sardegna - VS, Gonnosfanadiga, Rio Piras
Allegato(i) Dettagli della specie
Aegosoma scabricorne (Scopoli, 1763) - Cerambycidae

in Cerambycidae


Dati di raccolta: 26.V.2014 - ITALIA - Sardegna - VS, Gonnosfanadiga, Rio Piras

Federico A.

7

2488

27/05/2014, 22:48

Federico A. Vedi ultimo messaggio

Agapanthia (Agapanthia) suturalis (Fabricius, 1787) - Cerambycidae
30.III.2010 - ITALIA - Sardegna - CA, periferia est di Cagliari
Allegato(i) Dettagli della specie
Agapanthia (Agapanthia) suturalis (Fabricius, 1787) - Cerambycidae

in Cerambycidae


Dati di raccolta: 30.III.2010 - ITALIA - Sardegna - CA, periferia est di Cagliari

Fumea crassiorella

2

1112

30/03/2010, 21:34

Fumea crassiorella Vedi ultimo messaggio

Agapanthia (Agapanthia) suturalis (Fabricius, 1787) - Cerambycidae
19.IV.2010 - ITALIA - Sardegna - CA, periferia est
Allegato(i) Dettagli della specie
Agapanthia (Agapanthia) suturalis (Fabricius, 1787) - Cerambycidae

in Cerambycidae


Dati di raccolta: 19.IV.2010 - ITALIA - Sardegna - CA, periferia est

Fumea crassiorella

5

1411

22/04/2010, 13:46

Fumea crassiorella Vedi ultimo messaggio

Agapanthia (Agapanthia) suturalis (Fabricius, 1787) - Cerambycidae
15.V.2010 - ITALIA - Sardegna - CA, monte dei Sette Fratelli
Allegato(i) Dettagli della specie
Agapanthia (Agapanthia) suturalis (Fabricius, 1787) - Cerambycidae

in Cerambycidae


Dati di raccolta: 15.V.2010 - ITALIA - Sardegna - CA, monte dei Sette Fratelli

Fumea crassiorella

3

1261

15/05/2010, 21:43

Fumea crassiorella Vedi ultimo messaggio

Agapanthia (Agapanthia) suturalis (Fabricius, 1787) - Cerambycidae
19.V.2011 - ITALIA - Sardegna - OT, Olbia
Allegato(i) Dettagli della specie
Agapanthia (Agapanthia) suturalis (Fabricius, 1787) - Cerambycidae

in Cerambycidae


Dati di raccolta: 19.V.2011 - ITALIA - Sardegna - OT, Olbia

Mauro

2

1231

27/07/2011, 19:45

Mauro Vedi ultimo messaggio

Agapanthia (Agapanthia) suturalis (Fabricius, 1787) - Cerambycidae
13.IV.2017 - ITALIA - Sardegna - OT, SS 125, dint. Arzachena
Allegato(i) Dettagli della specie
Agapanthia (Agapanthia) suturalis (Fabricius, 1787) - Cerambycidae

in Cerambycidae


Dati di raccolta: 13.IV.2017 - ITALIA - Sardegna - OT, SS 125, dint. Arzachena

Chalybion

4

1172

09/01/2018, 22:06

Chalybion Vedi ultimo messaggio

Agapanthia (Agapanthia) suturalis (Fabricius, 1787) - Cerambycidae
14.V.2022 - ITALIA - Sardegna - VS, sopra Villacidro, verso Cuccurdoni Mannu, m 350
Allegato(i) Dettagli della specie
Agapanthia (Agapanthia) suturalis (Fabricius, 1787) - Cerambycidae

in Cerambycidae


Dati di raccolta: 14.V.2022 - ITALIA - Sardegna - VS, sopra Villacidro, verso Cuccurdoni Mannu, m 350

Chalybion

0

437

28/08/2022, 20:35

Chalybion Vedi ultimo messaggio

Agapanthia (Agapanthia) suturalis (Fabricius, 1787) cf. - Cerambycidae
18.V.2010 - ITALIA - Sardegna - SS, Uri
Allegato(i) Dettagli della specie
Agapanthia (Agapanthia) suturalis (Fabricius, 1787) - Cerambycidae cf.

in Cerambycidae


Dati di raccolta: 18.V.2010 - ITALIA - Sardegna - SS, Uri

Pietro Niolu

4

1737

05/11/2010, 22:02

Pietro Niolu Vedi ultimo messaggio

Agapanthia (Epoptes) asphodeli (Latreille, 1804) - Cerambycidae
22.III.2011 - ITALIA - Sardegna - CI, dintorni di Nuxis
Allegato(i) Dettagli della specie
Agapanthia (Epoptes) asphodeli (Latreille, 1804) - Cerambycidae

in Cerambycidae


Dati di raccolta: 22.III.2011 - ITALIA - Sardegna - CI, dintorni di Nuxis

Fumea crassiorella

5

1827

24/03/2011, 15:18

Plagionotus Vedi ultimo messaggio

Agapanthia (Epoptes) asphodeli (Latreille, 1804) - Cerambycidae
8.IV.1995 - ITALIA - Sardegna - OT, Tempio Pausania
Allegato(i) Dettagli della specie
Agapanthia (Epoptes) asphodeli (Latreille, 1804) - Cerambycidae

in Cerambycidae


Dati di raccolta: 8.IV.1995 - ITALIA - Sardegna - OT, Tempio Pausania

Mauro

3

986

04/08/2011, 21:00

conan Vedi ultimo messaggio

Agapanthia (Epoptes) asphodeli (Latreille, 1804) - Cerambycidae
15.X.2012 - ITALIA - Sardegna - SS, Nord della Sardegna, provincia di Sassari
Allegato(i) Dettagli della specie
Agapanthia (Epoptes) asphodeli (Latreille, 1804) - Cerambycidae

in Cerambycidae


Dati di raccolta: 15.X.2012 - ITALIA - Sardegna - SS, Nord della Sardegna, provincia di Sassari

Semanotus

3

1434

17/11/2012, 17:08

Semanotus Vedi ultimo messaggio

Agapanthia (Epoptes) asphodeli (Latreille, 1804) - Cerambycidae
23.II.2014 - ITALIA - Sardegna - CA, San Gregorio (Sìnnai), leg. R. Rattu
Allegato(i) Dettagli della specie
Agapanthia (Epoptes) asphodeli (Latreille, 1804) - Cerambycidae

in Cerambycidae


Dati di raccolta: 23.II.2014 - ITALIA - Sardegna - CA, San Gregorio (Sìnnai), leg. R. Rattu

Fumea crassiorella

3

1184

02/03/2014, 19:07

patacchiola Vedi ultimo messaggio

Agapanthia (Epoptes) asphodeli (Latreille, 1804) - Cerambycidae - Sardegna
21.II.2010 - ITALIA - Sardegna - CA, Saline di Cagliari
Allegato(i) Dettagli della specie
Agapanthia (Epoptes) asphodeli (Latreille, 1804) - Cerambycidae

in Cerambycidae


Dati di raccolta: 21.II.2010 - ITALIA - Sardegna - CA, Saline di Cagliari

Fumea crassiorella

1

889

22/02/2010, 20:10

Fumea crassiorella Vedi ultimo messaggio



Inserisci un link per questa ricerca

Inserisci un link per questa ricerca URL
BBCode
HTML
Vai a: