Benvenuto Ospite

Forum Entomologi Italiani

www.entomologiitaliani.net/forum
 
Oggi è 25/10/2025, 7:34

Tutti gli orari sono UTC + 1 ora [ ora legale ]

Filtro località

Filtro località

In questo pannello è possibile effettuare delle ricerche mirate in base alle località inserite nel forum.

Statistiche

Statistiche
In totale ci sono 89542 taxa:
- 85643 taxa con dati completi
- 2724 taxa con dati parziali, riconducibili ad un paese
- 1175 taxa con dati incompleti


escludi dalla ricerca i subforum
Distribuzione in Europa
Distribuzione in Italia
Filtro applicato: COREA, REPUBBLICA DEMOCRATICA DI

Pagina 1 di 1 [ 6 messaggi ]

# A B C D E F G H I J K L M N O P Q R S T U V W X Y Z
 Argomenti   Autore   Risposte   Visite    Ultimo messaggio 
Lamiomimus gottschei (Kolbe, 1886)? - Cerambycidae Lamiini
VI.1997 - COREA, REPUBBLICA DEMOCRATICA DI - EE, Dongsan
Allegato(i)
Lamiomimus gottschei (Kolbe, 1886)? - Cerambycidae Lamiini

in Cerambycidae


Dati di raccolta: VI.1997 - COREA, REPUBBLICA DEMOCRATICA DI - EE, Dongsan

marco paglialunga

0

1153

04/11/2010, 21:08

marco paglialunga Vedi ultimo messaggio

Moechotypa diphysis (Pascoe, 1871) - Cerambycidae Lamiinae Crossotini
VI.1997 - COREA, REPUBBLICA DEMOCRATICA DI - EE, Dongsan
Allegato(i)
Moechotypa diphysis (Pascoe, 1871) - Cerambycidae Lamiinae Crossotini

in Cerambycidae


Dati di raccolta: VI.1997 - COREA, REPUBBLICA DEMOCRATICA DI - EE, Dongsan

marco paglialunga

0

1109

04/11/2010, 20:56

marco paglialunga Vedi ultimo messaggio

Neocerambyx (Mallambyx) cf. raddei (Blessig & Solsky, 1872) - Cerambycidae Cerambycini
VI.1997 - COREA, REPUBBLICA DEMOCRATICA DI - EE, Dongsan
Allegato(i)
Neocerambyx (Mallambyx) cf. raddei (Blessig & Solsky, 1872) - Cerambycidae Cerambycini

in Cerambycidae


Dati di raccolta: VI.1997 - COREA, REPUBBLICA DEMOCRATICA DI - EE, Dongsan

marco paglialunga

2

1531

04/11/2010, 21:30

marco paglialunga Vedi ultimo messaggio

Paraglenea fortunei (Saunders, 1853) - Cerambycidae - località incerta
VI.1997 - COREA, REPUBBLICA DEMOCRATICA DI - EE, North Korea - Dongsan
Allegato(i)
Paraglenea fortunei (Saunders, 1853) - Cerambycidae - località incerta

in Cerambycidae


Dati di raccolta: VI.1997 - COREA, REPUBBLICA DEMOCRATICA DI - EE, North Korea - Dongsan

marco paglialunga

4

1961

09/11/2010, 0:38

marco paglialunga Vedi ultimo messaggio

Purpuricenus lituratus Ganglbauer, 1886 - Cerambycidae Trachyderini
VI.1997 - COREA, REPUBBLICA DEMOCRATICA DI - EE, Dongsan
Allegato(i)
Purpuricenus lituratus Ganglbauer, 1886 - Cerambycidae Trachyderini

in Cerambycidae


Dati di raccolta: VI.1997 - COREA, REPUBBLICA DEMOCRATICA DI - EE, Dongsan

marco paglialunga

3

1642

05/11/2010, 21:13

marco paglialunga Vedi ultimo messaggio

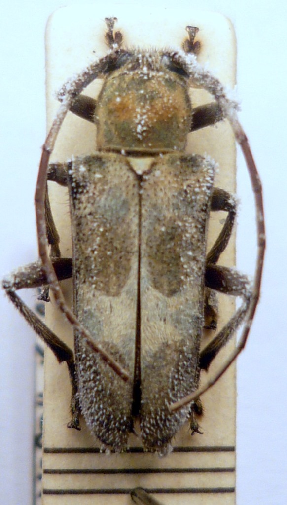
Spondylis buprestoides (Linnaeus, 1758) - Cerambycidae
VI.1997 - COREA, REPUBBLICA DEMOCRATICA DI - EE, Dongsan
Allegato(i) Dettagli della specie
Spondylis buprestoides (Linnaeus, 1758) - Cerambycidae

in Cerambycidae


Dati di raccolta: VI.1997 - COREA, REPUBBLICA DEMOCRATICA DI - EE, Dongsan

marco paglialunga

0

1260

04/11/2010, 21:00

marco paglialunga Vedi ultimo messaggio


Inserisci un link per questa ricerca

Inserisci un link per questa ricerca URL
BBCode
HTML
Vai a:  
cron