Benvenuto Ospite

Forum Entomologi Italiani

www.entomologiitaliani.net/forum
 
Oggi è 24/10/2025, 20:53

Tutti gli orari sono UTC + 1 ora [ ora legale ]

Filtro località

Filtro località

In questo pannello è possibile effettuare delle ricerche mirate in base alle località inserite nel forum.

Statistiche

Statistiche
In totale ci sono 89542 taxa:
- 85643 taxa con dati completi
- 2724 taxa con dati parziali, riconducibili ad un paese
- 1175 taxa con dati incompleti


escludi dalla ricerca i subforum
Distribuzione in Europa
Distribuzione in Italia
Filtro applicato: KOREA, REPUBBLICA DI

Pagina 1 di 1 [ 6 messaggi ]

# A B C D E F G H I J K L M N O P Q R S T U V W X Y Z
 Argomenti   Autore   Risposte   Visite    Ultimo messaggio 
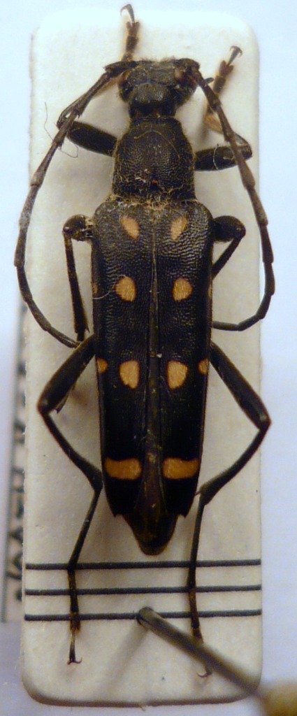
Anoplistes halodendri pirus (Arakawa, 1932) - Cerambycidae Purpuricenini
22.VI.1997 - KOREA, REPUBBLICA DI - EE, Dongsan
Allegato(i)
Anoplistes halodendri pirus (Arakawa, 1932) - Cerambycidae Purpuricenini

in Cerambycidae


Dati di raccolta: 22.VI.1997 - KOREA, REPUBBLICA DI - EE, Dongsan

marco paglialunga

1

1082

02/11/2010, 22:38

Xylosteus Vedi ultimo messaggio

Demonax seoulensis Mitono & Cho, 1942 - Cerambycidae
22.VI.1997 - KOREA, REPUBBLICA DI - EE, Dongsan
Allegato(i)
Demonax seoulensis Mitono & Cho, 1942 - Cerambycidae

in Cerambycidae


Dati di raccolta: 22.VI.1997 - KOREA, REPUBBLICA DI - EE, Dongsan

marco paglialunga

1

1087

02/11/2010, 22:27

Xylosteus Vedi ultimo messaggio

Leptura duodecimguttata duodecimguttata Fabricius, 1801 - Cerambycidae
22.VI.1997 - KOREA, REPUBBLICA DI - EE, Dongsan
Allegato(i)
Leptura duodecimguttata duodecimguttata Fabricius, 1801 - Cerambycidae

in Cerambycidae


Dati di raccolta: 22.VI.1997 - KOREA, REPUBBLICA DI - EE, Dongsan

marco paglialunga

1

1136

02/11/2010, 22:34

Xylosteus Vedi ultimo messaggio

Pedostrangalia (Neosphenalia) femoralis (Motschulsky, 1861) - Cerambycidae
22.VI.1997 - KOREA, REPUBBLICA DI - EE, Dongsan
Allegato(i)
Pedostrangalia (Neosphenalia) femoralis (Motschulsky, 1861) - Cerambycidae

in Cerambycidae


Dati di raccolta: 22.VI.1997 - KOREA, REPUBBLICA DI - EE, Dongsan

marco paglialunga

1

1102

02/11/2010, 22:32

Xylosteus Vedi ultimo messaggio

Pidonia (Pidonia) amurensis (Pic, 1900) - Cerambycidae
22.VI.1997 - KOREA, REPUBBLICA DI - EE, Dongsan
Allegato(i)
Pidonia (Pidonia) amurensis (Pic, 1900) - Cerambycidae

in Cerambycidae


Dati di raccolta: 22.VI.1997 - KOREA, REPUBBLICA DI - EE, Dongsan

marco paglialunga

1

1103

02/11/2010, 22:29

Xylosteus Vedi ultimo messaggio

Pidonia (Pidonia) amurensis (Pic, 1900) - Cerambycidae
22.VI.1997 - KOREA, REPUBBLICA DI - EE, Dongsan
Allegato(i)
Pidonia (Pidonia) amurensis (Pic, 1900) - Cerambycidae

in Cerambycidae


Dati di raccolta: 22.VI.1997 - KOREA, REPUBBLICA DI - EE, Dongsan

marco paglialunga

2

1262

02/11/2010, 22:23

Xylosteus Vedi ultimo messaggio


Inserisci un link per questa ricerca

Inserisci un link per questa ricerca URL
BBCode
HTML
Vai a: