Benvenuto Ospite

Forum Entomologi Italiani

www.entomologiitaliani.net/forum
 
Oggi è 24/10/2025, 20:53

Tutti gli orari sono UTC + 1 ora [ ora legale ]

Filtro località

Filtro località

In questo pannello è possibile effettuare delle ricerche mirate in base alle località inserite nel forum.

Statistiche

Statistiche
In totale ci sono 89542 taxa:
- 85643 taxa con dati completi
- 2724 taxa con dati parziali, riconducibili ad un paese
- 1175 taxa con dati incompleti


escludi dalla ricerca i subforum
Distribuzione in Europa
Distribuzione in Italia
Filtro applicato: LIBANO

Pagina 1 di 1 [ 14 messaggi ]

# A B C D E F G H I J K L M N O P Q R S T U V W X Y Z
 Argomenti   Autore   Risposte   Visite    Ultimo messaggio 
Batocera rufomaculata rufomaculata (DeGeer, 1775) - Cerambycidae - Libano
10.IX.1992 - LIBANO - EE, Akkar ( vicino confine Siria )
Allegato(i)
Batocera rufomaculata rufomaculata (DeGeer, 1775) - Cerambycidae - Libano

[ Vai alla pagina: 1, 2 ]

in Cerambycidae


Dati di raccolta: 10.IX.1992 - LIBANO - EE, Akkar ( vicino confine Siria )

Agdistis

19

4698

01/09/2011, 7:07

Julodis Vedi ultimo messaggio

Cerambyx dux (Falderman, 1837 ) - Cerambycidae
30.V.1997 - LIBANO - EE, Akkar - Idbil
Allegato(i)
Cerambyx dux (Falderman, 1837 ) - Cerambycidae

in Cerambycidae


Dati di raccolta: 30.V.1997 - LIBANO - EE, Akkar - Idbil

f.izzillo

10

1742

14/03/2013, 11:41

f.izzillo Vedi ultimo messaggio

Chlorophorus gratiosus gratiosus (Marseul, 1868) - Cerambycidae - Libano
8.VI.1997 - LIBANO - EE, Qoubaìyat, Akkar
Allegato(i)
Chlorophorus gratiosus gratiosus (Marseul, 1868) - Cerambycidae - Libano

in Cerambycidae


Dati di raccolta: 8.VI.1997 - LIBANO - EE, Qoubaìyat, Akkar

f.izzillo

5

1129

25/02/2010, 19:42

Plagionotus Vedi ultimo messaggio

Chlorophorus yachovi Sama, 1996 - Cerambycidae
14.VI.1999 - LIBANO - EE, Akkar, Fnaideq, 1200/1600m, G.Sama legit
Allegato(i)
Chlorophorus yachovi Sama, 1996 - Cerambycidae

in Cerambycidae


Dati di raccolta: 14.VI.1999 - LIBANO - EE, Akkar, Fnaideq, 1200/1600m, G.Sama legit

Plagionotus

0

565

19/03/2011, 15:13

Plagionotus Vedi ultimo messaggio

Clytus madoni Pic, 1890 - Cerambycidae. Libano
V.2000 - LIBANO - EE, Jbali, machnaqa
Allegato(i)
Clytus madoni Pic, 1890 - Cerambycidae. Libano

in Cerambycidae


Dati di raccolta: V.2000 - LIBANO - EE, Jbali, machnaqa

Isotomus

1

745

25/02/2010, 14:51

Plagionotus Vedi ultimo messaggio

Allegato(i)
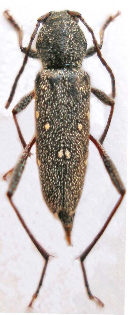
Dorcadion (Pedestredorcadion) drusum (Chevrolat, 1870) - Cerambycidae

in Cerambycidae


Dati di raccolta: LIBANO - EE

Isotomus

2

1158

27/10/2010, 10:05

Isotomus Vedi ultimo messaggio

Dorcadion (Pedestredorcadion) drusum Chevrolat, 1870 - Cerambycidae
9.V.2000 - LIBANO - EE, Djebel Sannine: Aayoun es Simaane, 2000 m
Allegato(i)
Dorcadion (Pedestredorcadion) drusum Chevrolat, 1870 - Cerambycidae

in Cerambycidae


Dati di raccolta: 9.V.2000 - LIBANO - EE, Djebel Sannine: Aayoun es Simaane, 2000 m

Isotomus

12

2070

22/08/2011, 22:16

Mimmo011 Vedi ultimo messaggio

Allegato(i)
Libanoclytus tommasoi Sama & Rapuzzi, 2010 - Cerambycidae - holotypo

in Cerambycidae


Dati di raccolta: LIBANO - EE

Isotomus

4

1751

01/11/2010, 13:06

Isotomus Vedi ultimo messaggio

Molorchus juglandis Sama, 1979 - Cerambycidae - Libano
IV.2010 - LIBANO - EE, Fnaideq, caza Aakkar, 700m
Allegato(i)
Molorchus juglandis Sama, 1979 - Cerambycidae - Libano

in Cerambycidae


Dati di raccolta: IV.2010 - LIBANO - EE, Fnaideq, caza Aakkar, 700m

lucio saltini

3

940

30/04/2010, 21:04

lucio saltini Vedi ultimo messaggio

Pedestredorcadion drusum (Chevrolat, 1870) - Cerambycidae
29.V.1997 - LIBANO - EE, Becharré - dintorni
Allegato(i)
Pedestredorcadion drusum (Chevrolat, 1870) - Cerambycidae

in Cerambycidae


Dati di raccolta: 29.V.1997 - LIBANO - EE, Becharré - dintorni

f.izzillo

5

1281

09/02/2013, 13:02

f.izzillo Vedi ultimo messaggio

Pogonocherus ehdenensis Sama & Rapuzzi, 2000 - Cerambycidae
LIBANO - EE, Zghorta, riserva naturale di Horsh Ehden
Allegato(i)
Pogonocherus ehdenensis Sama & Rapuzzi, 2000 - Cerambycidae

in Cerambycidae


Dati di raccolta: LIBANO - EE, Zghorta, riserva naturale di Horsh Ehden

Isotomus

0

1247

06/08/2010, 18:45

Isotomus Vedi ultimo messaggio

Purpuricenus (Purpuricenus) budensis (Götz, 1783) - Cerambycidae
7.VI.1997 - LIBANO - EE, Jbail - El Houssoun
Allegato(i) Dettagli della specie
Purpuricenus (Purpuricenus) budensis (Götz, 1783) - Cerambycidae

in Cerambycidae


Dati di raccolta: 7.VI.1997 - LIBANO - EE, Jbail - El Houssoun

f.izzillo

14

2327

25/01/2013, 20:24

f.izzillo Vedi ultimo messaggio

Stenopterus rufus syriacus Pic, 1892 - Cerambycidae
11.VI.1997 - LIBANO - EE, El Houssoun, Jbail
Allegato(i)
Stenopterus rufus syriacus Pic, 1892 - Cerambycidae

in Cerambycidae


Dati di raccolta: 11.VI.1997 - LIBANO - EE, El Houssoun, Jbail

f.izzillo

1

808

23/08/2010, 9:13

Isotomus Vedi ultimo messaggio

Turanoclytus raghidae (Sama & Rapuzzi, 2000) - Cerambycidae
9.V.2000 - LIBANO - EE, Djebel Sannine: Aayoun es Simaane, 2000 m
Allegato(i)
Turanoclytus raghidae (Sama & Rapuzzi, 2000) - Cerambycidae

in Cerambycidae


Dati di raccolta: 9.V.2000 - LIBANO - EE, Djebel Sannine: Aayoun es Simaane, 2000 m

Isotomus

1

786

21/08/2011, 16:14

Sleepy Moose Vedi ultimo messaggio


Inserisci un link per questa ricerca

Inserisci un link per questa ricerca URL
BBCode
HTML
Vai a: