Benvenuto Ospite

Forum Entomologi Italiani

www.entomologiitaliani.net/forum
 
Oggi è 25/10/2025, 2:54

Tutti gli orari sono UTC + 1 ora [ ora legale ]

Filtro località

Filtro località

In questo pannello è possibile effettuare delle ricerche mirate in base alle località inserite nel forum.

Statistiche

Statistiche
In totale ci sono 89542 taxa:
- 85643 taxa con dati completi
- 2724 taxa con dati parziali, riconducibili ad un paese
- 1175 taxa con dati incompleti


escludi dalla ricerca i subforum
Distribuzione in Europa
Distribuzione in Italia
Filtro applicato: MESSICO

Pagina 1 di 1 [ 10 messaggi ]

# A B C D E F G H I J K L M N O P Q R S T U V W X Y Z
 Argomenti   Autore   Risposte   Visite    Ultimo messaggio 
Atrypanius haldemani (LeConte, 1852) cf. - Cerambycidae
15.II.1996 - MESSICO - EE, Loc. Akumal Quintana Roo
Allegato(i)
Atrypanius haldemani (LeConte, 1852) cf. - Cerambycidae

in Cerambycidae


Dati di raccolta: 15.II.1996 - MESSICO - EE, Loc. Akumal Quintana Roo

StagBeetle

2

516

24/01/2022, 7:11

StagBeetle Vedi ultimo messaggio

Cirrhicera panamensis Bates 1885 (cf.) - Cerambycidae
15.VI.2016 - MESSICO - EE, Palenque, Chiapas
Allegato(i)
Cirrhicera panamensis Bates 1885 (cf.) - Cerambycidae

in Cerambycidae


Dati di raccolta: 15.VI.2016 - MESSICO - EE, Palenque, Chiapas

bunglegrind

8

1886

06/07/2016, 9:12

marco villa Vedi ultimo messaggio

Coptocycla (Psalidonota) dorsoplagiata Champion, 1894 - Chrysomelidae Cassidinae
18.VII.2004 - MESSICO - EE, MEXICO, Chiapas, Palenque env., 70 m, 17°29'41"N 92°01'07"W, I. Zappi leg.
Allegato(i)
Coptocycla (Psalidonota) dorsoplagiata Champion, 1894 - Chrysomelidae Cassidinae

in Chrysomelidae


Dati di raccolta: 18.VII.2004 - MESSICO - EE, MEXICO, Chiapas, Palenque env., 70 m, 17°29'41"N 92°01'07"W, I. Zappi leg.

Enoplium

2

1106

21/02/2019, 11:34

Enoplium Vedi ultimo messaggio

Desmiphora (Desmiphora) hirticollis Olivier, 1795 - Cerambycidae Lamiinae
13.X.2002 - MESSICO - EE, Ixtapan de la Sal
Allegato(i)
Desmiphora (Desmiphora) hirticollis Olivier, 1795 - Cerambycidae Lamiinae

in Cerambycidae


Dati di raccolta: 13.X.2002 - MESSICO - EE, Ixtapan de la Sal

Daniele Sechi

2

878

29/11/2012, 21:33

Daniele Sechi Vedi ultimo messaggio

Eburia porulosa Bates, 1892 - Cerambycidae
15.II.2012 - MESSICO - EE, Quintana Roo - Playa del Carmen - trovato di notte vicino a fonte luminosa.
Allegato(i)
Eburia porulosa Bates, 1892 - Cerambycidae

in Cerambycidae


Dati di raccolta: 15.II.2012 - MESSICO - EE, Quintana Roo - Playa del Carmen - trovato di notte vicino a fonte luminosa.

FORBIX

8

2350

28/05/2014, 1:10

FORBIX Vedi ultimo messaggio

Gen. sp. - Chrysomelidae Lamprosomatinae
18.VII.2004 - MESSICO - EE, Oaxaca, Candelaria Loxicha
Allegato(i)
Gen. sp. - Chrysomelidae Lamprosomatinae

in Chrysomelidae indeterminati


Dati di raccolta: 18.VII.2004 - MESSICO - EE, Oaxaca, Candelaria Loxicha

Daniele Sechi

3

1091

29/12/2012, 18:34

Daniele Sechi Vedi ultimo messaggio

Allegato(i)
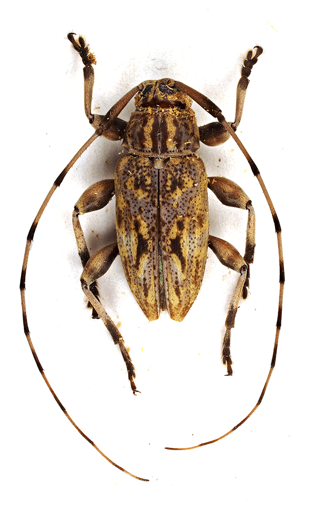
Ischnocnemis similis Chemsak & Noguera, 1997 - Cerambycidae Cerambycinae Trachyderini

in Cerambycidae


Dati di raccolta: 15.IX.2002 - MESSICO - EE, Guerrero, Acahuizotla

Daniele Sechi

2

969

30/11/2012, 21:48

Daniele Sechi Vedi ultimo messaggio

Lagocheirus araneiformis parvulus Casey, 1913 - Cerambycidae
15.II.1996 - MESSICO - EE, Loc. Akumal Quintana Roo
Allegato(i)
Lagocheirus araneiformis parvulus Casey, 1913 - Cerambycidae

in Cerambycidae


Dati di raccolta: 15.II.1996 - MESSICO - EE, Loc. Akumal Quintana Roo

StagBeetle

0

348

06/01/2022, 21:03

StagBeetle Vedi ultimo messaggio

Physonota stigmatilis Boheman, 1854 - Chrysomelidae Cassidinae
18.VII.2004 - MESSICO - EE, MEXICO, Chiapas, Palenque env., 70 m, 17°29'41"N 92°01'07"W, I. Zappi leg.
Allegato(i)
Physonota stigmatilis Boheman, 1854 - Chrysomelidae Cassidinae

in Chrysomelidae


Dati di raccolta: 18.VII.2004 - MESSICO - EE, MEXICO, Chiapas, Palenque env., 70 m, 17°29'41"N 92°01'07"W, I. Zappi leg.

Enoplium

2

1127

21/02/2019, 11:33

Enoplium Vedi ultimo messaggio

Ptychodes politus Audinet-Serville, 1835 - Cerambycidae Lamiinae Monochamini
VIII.2003 - MESSICO - EE, Puebla, Ocomantla
Allegato(i)
Ptychodes politus Audinet-Serville, 1835 - Cerambycidae Lamiinae Monochamini

in Cerambycidae


Dati di raccolta: VIII.2003 - MESSICO - EE, Puebla, Ocomantla

Daniele Sechi

7

1586

30/11/2012, 21:52

Daniele Sechi Vedi ultimo messaggio


Inserisci un link per questa ricerca

Inserisci un link per questa ricerca URL
BBCode
HTML
Vai a:  
cron