Benvenuto Ospite

Forum Entomologi Italiani

www.entomologiitaliani.net/forum
 
Oggi è 24/10/2025, 23:34

Tutti gli orari sono UTC + 1 ora [ ora legale ]

Filtro località

Filtro località

In questo pannello è possibile effettuare delle ricerche mirate in base alle località inserite nel forum.

Statistiche

Statistiche
In totale ci sono 89542 taxa:
- 85643 taxa con dati completi
- 2724 taxa con dati parziali, riconducibili ad un paese
- 1175 taxa con dati incompleti


escludi dalla ricerca i subforum
Distribuzione in Europa
Distribuzione in Italia
Filtro applicato: FILIPPINE

Pagina 1 di 2 [ 26 messaggi ]

# A B C D E F G H I J K L M N O P Q R S T U V W X Y Z
 Argomenti   Autore   Risposte   Visite    Ultimo messaggio 
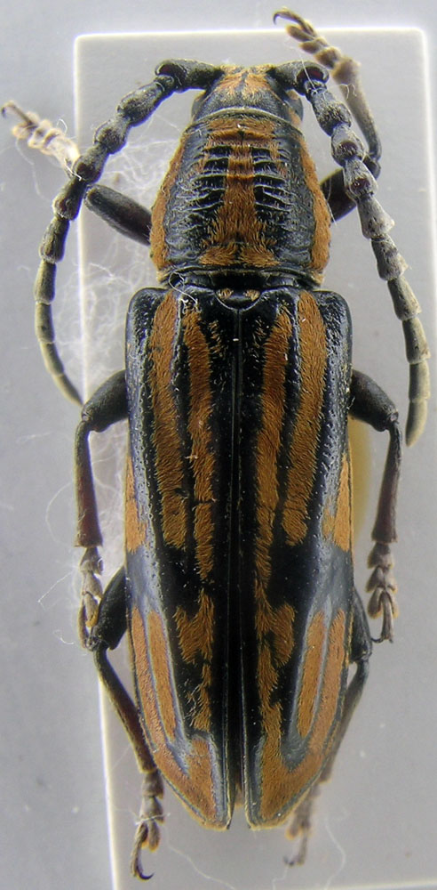
A. gloriosa (Schultze, 1922) (cf.) - Cerambycidae
14.VIII.2013 - FILIPPINE - EE, Is Leyete Mt Balocaue
Allegato(i)
A. gloriosa (Schultze, 1922) (cf.) - Cerambycidae

in Cerambycidae


Dati di raccolta: 14.VIII.2013 - FILIPPINE - EE, Is Leyete Mt Balocaue

tala

5

1451

08/02/2018, 20:37

Entomola Vedi ultimo messaggio

Agnia pulchra Aurivillius, 1891 var. sulphureomaculata Heller - Cerambycidae
VIII.2013 - FILIPPINE - EE, Is Leyete Mt Balocaue
Allegato(i)
Agnia pulchra Aurivillius, 1891 var. sulphureomaculata Heller - Cerambycidae

in Cerambycidae


Dati di raccolta: VIII.2013 - FILIPPINE - EE, Is Leyete Mt Balocaue

tala

2

855

02/03/2018, 19:38

tala Vedi ultimo messaggio

Allodissus sulcatipennis Schwarzer, 1926 - Cerambycidae Cerambycinae Cerambycini
VIII.2013 - FILIPPINE - EE, Is Leyete Mt Balocaue
Allegato(i)
Allodissus sulcatipennis Schwarzer, 1926 - Cerambycidae Cerambycinae Cerambycini

in Cerambycidae


Dati di raccolta: VIII.2013 - FILIPPINE - EE, Is Leyete Mt Balocaue

tala

1

776

01/03/2018, 17:37

Honza Vedi ultimo messaggio

Aphrodisium semiignitum (Chevrolat, 1841) - Cerambycidae
III.2012 - FILIPPINE - EE, Eastern Luzon, Aurora, Sierra Madre, leg. raccoglitore locale
Allegato(i)
Aphrodisium semiignitum (Chevrolat, 1841) - Cerambycidae

in Cerambycidae


Dati di raccolta: III.2012 - FILIPPINE - EE, Eastern Luzon, Aurora, Sierra Madre, leg. raccoglitore locale

Andricus

3

975

13/03/2013, 21:10

Andricus Vedi ultimo messaggio

Aspidimorpha (Aspidimorpha) fusconotata Boheman, 1854 - Chrysomelidae Cassidinae
VIII.2011 - FILIPPINE - EE, Conner Apayao Nord Luzon
Allegato(i)
Aspidimorpha (Aspidimorpha) fusconotata Boheman, 1854 - Chrysomelidae Cassidinae

in Chrysomelidae


Dati di raccolta: VIII.2011 - FILIPPINE - EE, Conner Apayao Nord Luzon

Maw89

1

1011

21/03/2018, 8:34

Lech Borowiec Vedi ultimo messaggio

Aspidimorpha (Aspidimorpha) luzonica Świętojańska, 2001 - Chrysomelidae Cassidinae
VI.2016 - FILIPPINE - EE, Conner Apayao Nord Luzon
Allegato(i)
Aspidimorpha (Aspidimorpha) luzonica Świętojańska, 2001 - Chrysomelidae Cassidinae

in Chrysomelidae


Dati di raccolta: VI.2016 - FILIPPINE - EE, Conner Apayao Nord Luzon

Maw89

2

1084

20/03/2018, 23:30

Maw89 Vedi ultimo messaggio

Aspidimorpha (Aspidimorpha) miliaris (Fabricius, 1775) - Chrysomelidae
I.2014 - FILIPPINE - EE, Mindanao, Bukidnon, Mt. Kalatungan
Allegato(i)
Aspidimorpha (Aspidimorpha) miliaris (Fabricius, 1775) - Chrysomelidae

in Chrysomelidae


Dati di raccolta: I.2014 - FILIPPINE - EE, Mindanao, Bukidnon, Mt. Kalatungan

Julodis

7

2164

03/12/2014, 20:00

Julodis Vedi ultimo messaggio

Basiprionota immaculata (Wagener, 1881) (cf.) - Chrysomelidae Cassidinae
VIII.2011 - FILIPPINE - EE, Conner Apayao Nord Luzon
Allegato(i)
Basiprionota immaculata (Wagener, 1881) (cf.) - Chrysomelidae Cassidinae

in Chrysomelidae


Dati di raccolta: VIII.2011 - FILIPPINE - EE, Conner Apayao Nord Luzon

Maw89

2

1186

25/03/2018, 11:54

Maw89 Vedi ultimo messaggio

Cassida mindanaoensis Spaeth, 1933 - Chrysomelidae Cassidinae
VI.2016 - FILIPPINE - EE, Sibagat Agusan del Norte Mindanao R. loc. Lg.
Allegato(i)
Cassida mindanaoensis Spaeth, 1933 - Chrysomelidae Cassidinae

in Chrysomelidae


Dati di raccolta: VI.2016 - FILIPPINE - EE, Sibagat Agusan del Norte Mindanao R. loc. Lg.

Maw89

2

1279

25/03/2018, 11:51

Maw89 Vedi ultimo messaggio

Cassida quinquemaculata Boheman, 1854 - Chrysomelidae Cassidinae
VI.2016 - FILIPPINE - EE, Sibagat Agusan del Norte Mindanao
Allegato(i)
Cassida quinquemaculata Boheman, 1854 - Chrysomelidae Cassidinae

in Chrysomelidae


Dati di raccolta: VI.2016 - FILIPPINE - EE, Sibagat Agusan del Norte Mindanao

Maw89

2

1015

20/03/2018, 23:31

Maw89 Vedi ultimo messaggio

Cerambycidae sp.
14.VIII.2013 - FILIPPINE - EE, MT. Balocaue Is. Of Leyete
Allegato(i)
Cerambycidae sp.

in Cerambycidae


Dati di raccolta: 14.VIII.2013 - FILIPPINE - EE, MT. Balocaue Is. Of Leyete

tala

1

815

04/05/2019, 18:51

tala Vedi ultimo messaggio

Cerambycidae sp.
14.VIII.2013 - FILIPPINE - EE, MT. Balocaue Is. Of Leyete
Allegato(i)
Cerambycidae sp.

in Cerambycidae


Dati di raccolta: 14.VIII.2013 - FILIPPINE - EE, MT. Balocaue Is. Of Leyete

tala

1

886

04/05/2019, 18:57

tala Vedi ultimo messaggio

Cerambycidae sp. from Philippinae
14.VIII.2013 - FILIPPINE - EE, MT. Balocaue Is. Of Leyete
Allegato(i)
Cerambycidae sp. from Philippinae

in Cerambycidae


Dati di raccolta: 14.VIII.2013 - FILIPPINE - EE, MT. Balocaue Is. Of Leyete

tala

1

823

23/01/2019, 23:35

Carlo A. Vedi ultimo messaggio

Cereopsius luctor (Newman, 1842) - Cerambycidae Lamiinae
VIII.2013 - FILIPPINE - EE, Is Leyete Mt Balocaue
Allegato(i)
Cereopsius luctor (Newman, 1842) - Cerambycidae Lamiinae

in Cerambycidae


Dati di raccolta: VIII.2013 - FILIPPINE - EE, Is Leyete Mt Balocaue

tala

2

832

02/03/2018, 19:39

tala Vedi ultimo messaggio

Cereopsius quaestor (Newman, 1842) - Cerambycidae
IV.2014 - FILIPPINE - EE, Mindanao, Agusan del Norte, Esperanza
Allegato(i)
Cereopsius quaestor (Newman, 1842) - Cerambycidae

in Cerambycidae


Dati di raccolta: IV.2014 - FILIPPINE - EE, Mindanao, Agusan del Norte, Esperanza

Julodis

0

634

23/12/2014, 0:30

Julodis Vedi ultimo messaggio



Inserisci un link per questa ricerca

Inserisci un link per questa ricerca URL
BBCode
HTML
Vai a: