Benvenuto Ospite

Forum Entomologi Italiani

www.entomologiitaliani.net/forum
 
Oggi è 24/10/2025, 20:53

Tutti gli orari sono UTC + 1 ora [ ora legale ]

Filtro località

Filtro località

In questo pannello è possibile effettuare delle ricerche mirate in base alle località inserite nel forum.

Statistiche

Statistiche
In totale ci sono 89542 taxa:
- 85643 taxa con dati completi
- 2724 taxa con dati parziali, riconducibili ad un paese
- 1175 taxa con dati incompleti


escludi dalla ricerca i subforum
Distribuzione in Europa
Distribuzione in Italia
Filtro applicato: TOGO

Pagina 1 di 1 [ 6 messaggi ]

# A B C D E F G H I J K L M N O P Q R S T U V W X Y Z
 Argomenti   Autore   Risposte   Visite    Ultimo messaggio 
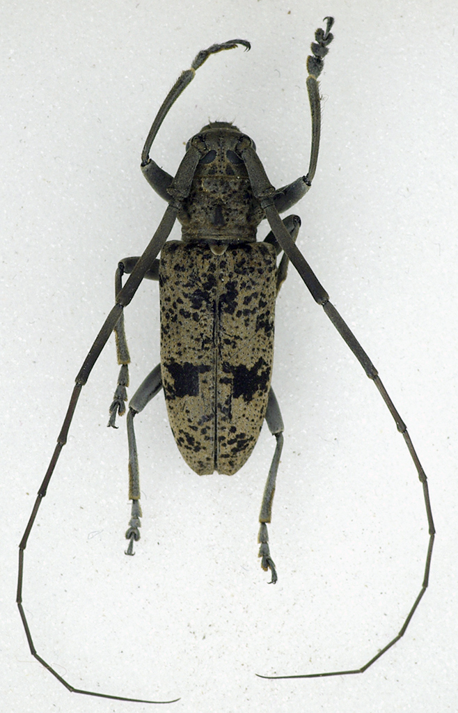
Ceroplesis molator Fabricius, 1787 cf. - Cerambycide
8.VI.2011 - TOGO - EE, Gbalavé
Allegato(i)
Ceroplesis molator Fabricius, 1787 cf. - Cerambycide

in Cerambycidae


Dati di raccolta: 8.VI.2011 - TOGO - EE, Gbalavé

Sleepy Moose

7

1862

07/03/2012, 20:48

Umbro Vedi ultimo messaggio

Epidichostates strandi (Breuning 1935) (cf.) - Cerambycidae
V.2021 - TOGO - EE, Foret de Missahoe
Allegato(i)
Epidichostates strandi (Breuning 1935) (cf.) - Cerambycidae

in Cerambycidae


Dati di raccolta: V.2021 - TOGO - EE, Foret de Missahoe

tala

3

678

14/04/2022, 13:28

tala Vedi ultimo messaggio

Allegato(i)
Hippopsicon puncticolle Aurivillius, 1907 (cf.) - Cerambycidae

in Cerambycidae


Dati di raccolta: TOGO - EE, Africa

chus

3

1019

18/08/2015, 22:13

chus Vedi ultimo messaggio

Allegato(i)
Monochamus (Ethiopiochamus) scabiosus Quedenfeldt, 1882 cf. - Cerambycidae

in Cerambycidae


Dati di raccolta: 8.VI.2011 - TOGO - EE, Gbalavé

Sleepy Moose

1

912

07/03/2012, 21:09

Umbro Vedi ultimo messaggio

Petrognatha gigas Fabricius, 1792 - Cerambicidae
X.2012 - TOGO - EE, Plateau reg. Kpalime - Missaoe forest
Allegato(i)
Petrognatha gigas Fabricius, 1792 - Cerambicidae

in Cerambycidae


Dati di raccolta: X.2012 - TOGO - EE, Plateau reg. Kpalime - Missaoe forest

Agdistis

2

1113

30/10/2016, 22:06

Agdistis Vedi ultimo messaggio

Phryneta hecphora Thomson, 1857 - Cerambycide
8.VI.2011 - TOGO - EE, Gbalavé
Allegato(i)
Phryneta hecphora Thomson, 1857 - Cerambycide

in Cerambycidae


Dati di raccolta: 8.VI.2011 - TOGO - EE, Gbalavé

Sleepy Moose

3

1251

28/01/2012, 22:00

Sleepy Moose Vedi ultimo messaggio


Inserisci un link per questa ricerca

Inserisci un link per questa ricerca URL
BBCode
HTML
Vai a: