Benvenuto Ospite

Forum Entomologi Italiani

www.entomologiitaliani.net/forum
 
Oggi è 24/10/2025, 20:53

Tutti gli orari sono UTC + 1 ora [ ora legale ]

Filtro località

Filtro località

In questo pannello è possibile effettuare delle ricerche mirate in base alle località inserite nel forum.

Statistiche

Statistiche
In totale ci sono 89542 taxa:
- 85643 taxa con dati completi
- 2724 taxa con dati parziali, riconducibili ad un paese
- 1175 taxa con dati incompleti


escludi dalla ricerca i subforum
Distribuzione in Europa
Distribuzione in Italia
Filtro applicato: KAZAKHSTAN

Pagina 1 di 1 [ 4 messaggi ]

# A B C D E F G H I J K L M N O P Q R S T U V W X Y Z
 Argomenti   Autore   Risposte   Visite    Ultimo messaggio 
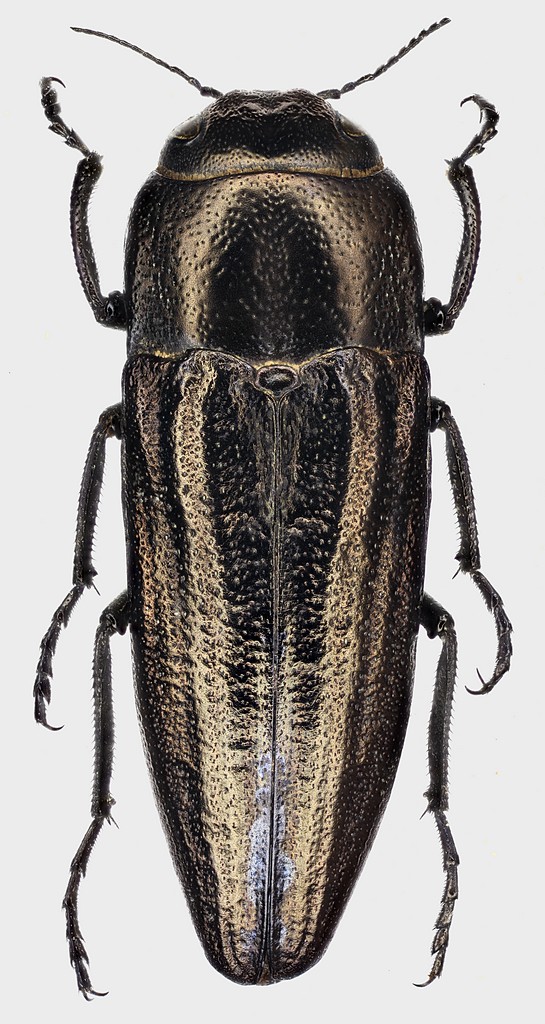
Cyphosoma tataricum (Pallas, 1773) - Buprestidae
5.V.2015 - KAZAKHSTAN - EE, South Kazakhstan, Suzak, Kyzilkol Lake
Allegato(i)
Cyphosoma tataricum (Pallas, 1773) - Buprestidae

in Buprestoidea


Dati di raccolta: 5.V.2015 - KAZAKHSTAN - EE, South Kazakhstan, Suzak, Kyzilkol Lake

Julodis

0

803

24/02/2018, 14:11

Julodis Vedi ultimo messaggio

Sphenoptera (Chrysoblemma) orichalcea (Pallas, 1781) - Buprestidae
11.VI.2008 - KAZAKHSTAN - EE, Almaty, Region Sharin river valley, 12 km NWW Chundza, m 700
Allegato(i)
Sphenoptera (Chrysoblemma) orichalcea (Pallas, 1781) - Buprestidae

in Buprestoidea


Dati di raccolta: 11.VI.2008 - KAZAKHSTAN - EE, Almaty, Region Sharin river valley, 12 km NWW Chundza, m 700

Daniele Sechi

2

1094

03/03/2018, 1:05

Julodis Vedi ultimo messaggio

Sphenoptera (Sphenoptera) laticeps Jakovlev, 1886 (cf.) - Buprestidae
8.V.2014 - KAZAKHSTAN - EE, Karatau Mountains, Kentau, Bayaldyr river, 785 m
Allegato(i)
Sphenoptera (Sphenoptera) laticeps Jakovlev, 1886 (cf.) - Buprestidae

in Buprestoidea


Dati di raccolta: 8.V.2014 - KAZAKHSTAN - EE, Karatau Mountains, Kentau, Bayaldyr river, 785 m

Julodis

0

806

03/03/2018, 22:25

Julodis Vedi ultimo messaggio

Sphenoptera sp. - Buprestidae
9.V.2017 - KAZAKHSTAN - EE, South Kazakhstan, Suzak, Kyzilkol Lake, 332 m
Allegato(i)
Sphenoptera sp. - Buprestidae

in Buprestidae indeterminati


Dati di raccolta: 9.V.2017 - KAZAKHSTAN - EE, South Kazakhstan, Suzak, Kyzilkol Lake, 332 m

Julodis

8

2237

04/03/2018, 17:52

Julodis Vedi ultimo messaggio


Inserisci un link per questa ricerca

Inserisci un link per questa ricerca URL
BBCode
HTML
Vai a: