Benvenuto Ospite

Forum Entomologi Italiani

www.entomologiitaliani.net/forum
 
Oggi è 24/10/2025, 23:55

Tutti gli orari sono UTC + 1 ora [ ora legale ]

Filtro località

Filtro località

In questo pannello è possibile effettuare delle ricerche mirate in base alle località inserite nel forum.

Statistiche

Statistiche
In totale ci sono 89542 taxa:
- 85643 taxa con dati completi
- 2724 taxa con dati parziali, riconducibili ad un paese
- 1175 taxa con dati incompleti


escludi dalla ricerca i subforum
Distribuzione in Europa
Distribuzione in Italia
Filtro applicato: REPUBBLICA CECA

Pagina 1 di 1 [ 4 messaggi ]

# A B C D E F G H I J K L M N O P Q R S T U V W X Y Z
 Argomenti   Autore   Risposte   Visite    Ultimo messaggio 
Coccinella septempunctata (Linnaeus, 1758) - Coccinellidae
9.VI.2012 - REPUBBLICA CECA - EE, Praga
Allegato(i)
Coccinella septempunctata (Linnaeus, 1758) - Coccinellidae

in Coccinellidae


Dati di raccolta: 9.VI.2012 - REPUBBLICA CECA - EE, Praga

Menhit

4

1276

26/12/2012, 15:33

Menhit Vedi ultimo messaggio

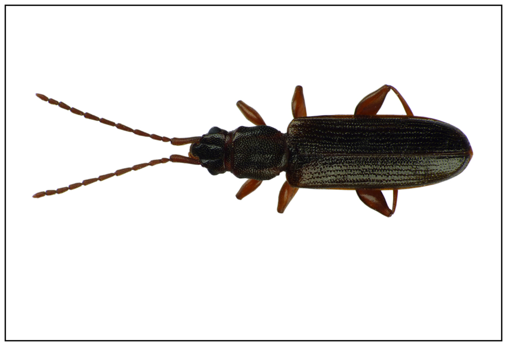
Dendrophagus crenatus (Paykull 1799) - Silvanidae
28.XII.2015 - REPUBBLICA CECA - EE, -
Allegato(i)
Dendrophagus crenatus (Paykull 1799) - Silvanidae

in Silvanidae


Dati di raccolta: 28.XII.2015 - REPUBBLICA CECA - EE, -

GrzegorzG

3

1030

30/12/2015, 12:13

Gianfranco Vedi ultimo messaggio

Harmonia axyridis (Pallas, 1773) - Coccinellidae
13.X.2013 - REPUBBLICA CECA - EE, Moravia bor.,Skalice
Allegato(i) Dettagli della specie
Harmonia axyridis (Pallas, 1773) - Coccinellidae

in Coccinellidae


Dati di raccolta: 13.X.2013 - REPUBBLICA CECA - EE, Moravia bor.,Skalice

ivo

0

684

14/10/2013, 10:15

ivo Vedi ultimo messaggio

Mycetina cruciata (Schaller, 1783) - Endomychidae Lycoperdininae
22.VII.1995 - REPUBBLICA CECA - EE, Boemia - Rakovnik env. (M. Kovarik lgt.)
Allegato(i)
Mycetina cruciata (Schaller, 1783) - Endomychidae Lycoperdininae

in Endomychidae


Dati di raccolta: 22.VII.1995 - REPUBBLICA CECA - EE, Boemia - Rakovnik env. (M. Kovarik lgt.)

Matteo Remigio 01

0

410

20/11/2022, 17:00

Matteo Remigio 01 Vedi ultimo messaggio


Inserisci un link per questa ricerca

Inserisci un link per questa ricerca URL
BBCode
HTML
Vai a: