Benvenuto Ospite

Forum Entomologi Italiani

www.entomologiitaliani.net/forum
 
Oggi è 25/10/2025, 2:45

Tutti gli orari sono UTC + 1 ora [ ora legale ]

Filtro località

Filtro località

In questo pannello è possibile effettuare delle ricerche mirate in base alle località inserite nel forum.

Statistiche

Statistiche
In totale ci sono 89542 taxa:
- 85643 taxa con dati completi
- 2724 taxa con dati parziali, riconducibili ad un paese
- 1175 taxa con dati incompleti


escludi dalla ricerca i subforum
Distribuzione in Europa
Distribuzione in Italia
Filtro applicato: POLONIA

Pagina 1 di 1 [ 9 messaggi ]

# A B C D E F G H I J K L M N O P Q R S T U V W X Y Z
 Argomenti   Autore   Risposte   Visite    Ultimo messaggio 
Aphidecta obliterata (Linnaeus, 1758) - Coccinellidae
22.XII.2015 - POLONIA - EE, Bielsko-Biala
Allegato(i) Dettagli della specie
Aphidecta obliterata (Linnaeus, 1758) - Coccinellidae

in Coccinellidae


Dati di raccolta: 22.XII.2015 - POLONIA - EE, Bielsko-Biala

GrzegorzG

2

976

08/04/2016, 23:00

GrzegorzG Vedi ultimo messaggio

Dendrophagus crenatus (Paykull, 1799) - Silvanidae
1.I.2016 - POLONIA - EE, -
Allegato(i)
Dendrophagus crenatus (Paykull, 1799) - Silvanidae

in Silvanidae


Dati di raccolta: 1.I.2016 - POLONIA - EE, -

GrzegorzG

1

786

06/01/2016, 0:30

Gianfranco Vedi ultimo messaggio

Allegato(i)
Glischrochilus quadripunctatus (Linnaeus, 1758) - Nitidulidae

in Nitidulidae


Dati di raccolta: 8.VIII.2015 - POLONIA - EE, -

GrzegorzG

2

611

19/12/2015, 22:54

GrzegorzG Vedi ultimo messaggio

Ipidia binotata Reitter, 1875 - Nitidulidae
8.VIII.2015 - POLONIA - EE, -
Allegato(i)
Ipidia binotata Reitter, 1875 - Nitidulidae

in Nitidulidae


Dati di raccolta: 8.VIII.2015 - POLONIA - EE, -

GrzegorzG

2

537

19/12/2015, 22:54

GrzegorzG Vedi ultimo messaggio

Myzia oblongoguttata (Linnaeus, 1758) - Coccinellidae
8.VIII.2015 - POLONIA - EE, -
Allegato(i)
Myzia oblongoguttata (Linnaeus, 1758) - Coccinellidae

in Coccinellidae


Dati di raccolta: 8.VIII.2015 - POLONIA - EE, -

GrzegorzG

2

831

17/12/2015, 16:16

f.izzillo Vedi ultimo messaggio

Platynaspis luteorubra (Goeze, 1777) - Coccinellidae
8.VII.2008 - POLONIA - EE, Warsaw
Allegato(i) Dettagli della specie
Platynaspis luteorubra (Goeze, 1777) - Coccinellidae

in Coccinellidae


Dati di raccolta: 8.VII.2008 - POLONIA - EE, Warsaw

mwkozlowski

3

1142

12/03/2016, 11:14

Carlo Monari Vedi ultimo messaggio

Propylea quatuordecimpunctata (Linnaeus, 1758) - Coccinellidae
15.IX.2013 - POLONIA - EE, Bielsko-Biala
Allegato(i) Dettagli della specie
Propylea quatuordecimpunctata (Linnaeus, 1758) - Coccinellidae

in Coccinellidae


Dati di raccolta: 15.IX.2013 - POLONIA - EE, Bielsko-Biala

GrzegorzG

2

919

18/01/2014, 5:30

GrzegorzG Vedi ultimo messaggio

Psyllobora vigintiduopunctata (Linnaeus, 1758) - Coccinellidae
3.IX.2013 - POLONIA - EE, Bielsko-Biala
Allegato(i) Dettagli della specie
Psyllobora vigintiduopunctata (Linnaeus, 1758) - Coccinellidae

in Coccinellidae


Dati di raccolta: 3.IX.2013 - POLONIA - EE, Bielsko-Biala

GrzegorzG

2

1117

12/01/2014, 18:28

GrzegorzG Vedi ultimo messaggio

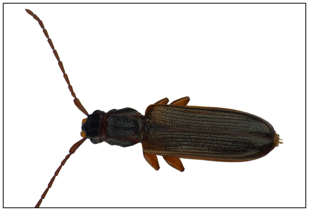
Uleiota planata (Linnaeus, 1761) - Silvanidae
8.VIII.2015 - POLONIA - EE, -
Allegato(i)
Uleiota planata (Linnaeus, 1761) - Silvanidae

in Silvanidae


Dati di raccolta: 8.VIII.2015 - POLONIA - EE, -

GrzegorzG

2

941

19/12/2015, 0:05

GrzegorzG Vedi ultimo messaggio


Inserisci un link per questa ricerca

Inserisci un link per questa ricerca URL
BBCode
HTML
Vai a: