Benvenuto Ospite

Forum Entomologi Italiani

www.entomologiitaliani.net/forum
 
Oggi è 24/10/2025, 21:03

Tutti gli orari sono UTC + 1 ora [ ora legale ]

Filtro località

Filtro località

In questo pannello è possibile effettuare delle ricerche mirate in base alle località inserite nel forum.

Statistiche

Statistiche
In totale ci sono 89542 taxa:
- 85643 taxa con dati completi
- 2724 taxa con dati parziali, riconducibili ad un paese
- 1175 taxa con dati incompleti


escludi dalla ricerca i subforum
Distribuzione in Europa
Distribuzione in Italia
Filtro applicato: PORTOGALLO

Pagina 1 di 1 [ 2 messaggi ]

# A B C D E F G H I J K L M N O P Q R S T U V W X Y Z
 Argomenti   Autore   Risposte   Visite    Ultimo messaggio 
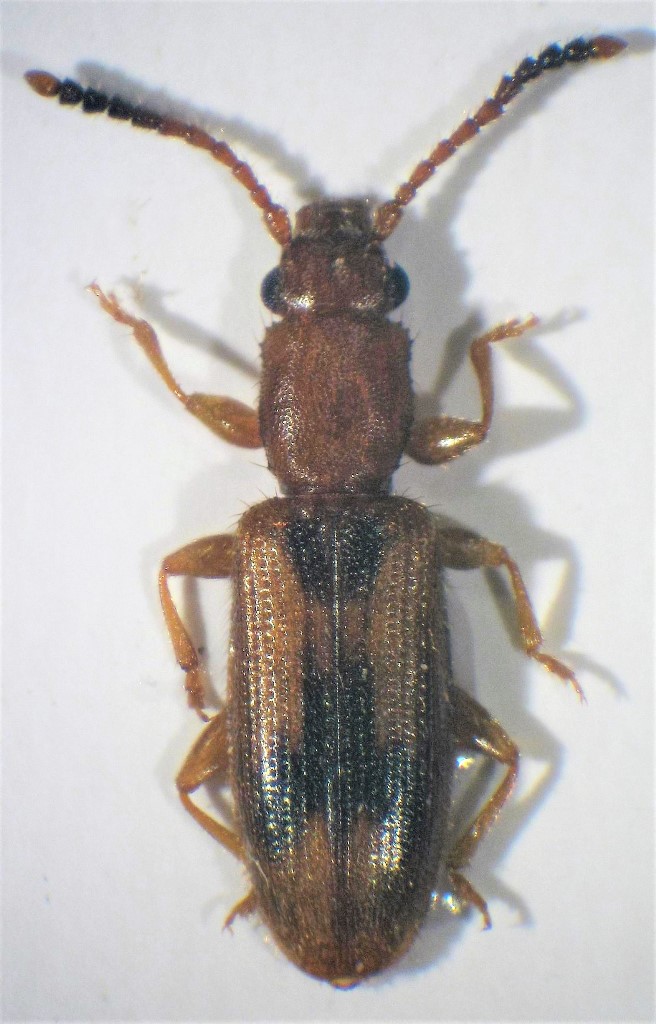
Cryptamorpha desjardinsii (Guérin-Méneville, 1844) - Silvanidae - da confermare
30.X.2019 - PORTOGALLO - EE, Azzorre - São Miguel - Ribeira Grande
Allegato(i)
Cryptamorpha desjardinsii (Guérin-Méneville, 1844) - Silvanidae - da confermare

in Silvanidae


Dati di raccolta: 30.X.2019 - PORTOGALLO - EE, Azzorre - São Miguel - Ribeira Grande

ruzzpa

0

782

16/11/2019, 19:34

ruzzpa Vedi ultimo messaggio

Epuraea sp. (cf.) - Nitidulidae
25.X.2019 - PORTOGALLO - EE, Azzorre - São Miguel - Ribeira Grande
Allegato(i)
Epuraea sp. (cf.) - Nitidulidae

in Nitidulidae


Dati di raccolta: 25.X.2019 - PORTOGALLO - EE, Azzorre - São Miguel - Ribeira Grande

ruzzpa

1

738

06/01/2020, 18:12

giuseppe55 Vedi ultimo messaggio


Inserisci un link per questa ricerca

Inserisci un link per questa ricerca URL
BBCode
HTML
Vai a: